본문바로가기

4짜가 꼴등 주말조황 성호낚시터 이천.

16119 0

 

20260328_183201.jpg

 

노지 한라낚시 시조회  

전국 노지조사님 너무나 좋은 날씨에

이천 성호낚시터에서 대물 덩어리들과 함께 했습니다.

 

4짜 잡은 여조사님이 10등(등수로 꼴찌인가?) 이라는 후문으로

상당한 마릿수가 나왔다는 소문입니다.

 

 

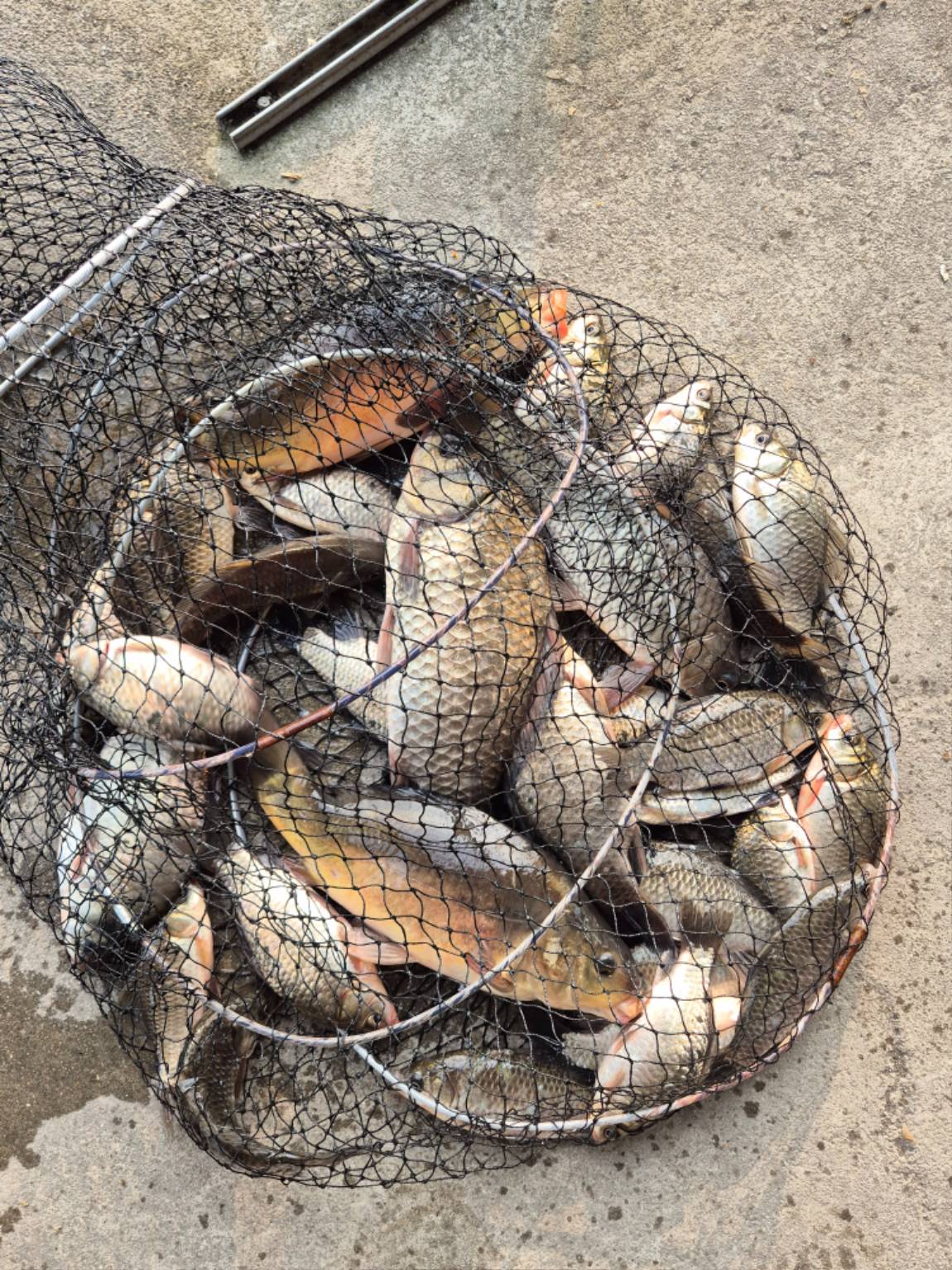
주말 조황은 좌대 4짜 부터 

마릿수 어망 소식으로 좌대 조황만 올라 갑니다.

 

  

 

20260327_081253.jpg

 

 

20260327_081201.jpg

 

 

20260328_183122.jpg

 

 

20260328_183314.jpg

 

 

20260328_182738.jpg

 

 

20260329_081419.jpg

 

  

  

 

 

20260327_081209.jpg

 

 

20260327_081207.jpg

 

 

20260327_081133.jpg

 

 

20260327_081144.jpg

 

 

20260327_081923.jpg

 

 

20260327_081238.jpg

 

 

20260327_081243.jpg

 

 

20260327_081126.jpg

 

 

20260327_081125.jpg

 

 

20260328_182951.jpg

 

이전글 없음
다음글 없음