본문바로가기

화보조행기 2025년 마지막 물낚시.....

29231 10 15

#조행기
#2025년마지막출조

본격적인 겨울로 접어들면서 1월이면 얼음이 얼겠지요?ㅎ

여러분들은 2025년 하고자하신일들 많이 이루셨나요?

저는 개인적으로 참~ 행복한 한해였습니다.

너무 감사한 일들도 많았지요~

그럼 사면초가의2025년 마지막 낚시일기 시작합니다.
 

  • 사용자가 올린 이미지



마지막 출조지 선정하기에 고민이많았다..

독조가될듯해서 더 고민이 많았는지도 모르겠다..

혼자 출조 계획을잡다가 새로운 낚시동행이생겨 남도로 정했다.ㅎㅎ

내려가는길...한산한 고속도로는 진짜 오랜만이였다..

맘까지 여유로와졌다~ ㅎ

  • 사용자가 올린 이미지



3시간을달려도착하니..어둠이 내리고있었고..

노을이 내려앉은 물가는 운치가 더해지고있었다.

  • 사용자가 올린 이미지



2박을 보낼 좌대부터 튼튼하고 느긋하게 펼치고...

  • 사용자가 올린 이미지



그위에 텐트까지올리니 어느새 어둠이 내렸다.

  • 사용자가 올린 이미지



연밭이라 어둠속에서 구멍찾는데 힘들었으나..
한대한대 느긋하게 즐기며 셋팅완료~ ㅎ

  • 사용자가 올린 이미지



왠걸?ㅎㅎ 셋팅하다가 나오기시작하는 붕어들...분명 한방터로 알고있는데...

6치 7치 8치...붕어들이 너무너무 많이 반겨주었다.ㅎㅎㅎㅎ

  • 사용자가 올린 이미지



정신없이 셋팅하다보니 저녁이 늦어졌다.

둘이서 허겁지겁 흡입..ㅎㅎ

너무 배가고팟는지...순삭이였다.ㅎㅎ

  • 사용자가 올린 이미지



다행이 많이 춥지않아서 옆에 형님도 잘견딜수있으실꺼 같았다..ㅎㅎ

오랜만에 대좌셋팅하셨다고~ ㅎㅎㅎ

  • 사용자가 올린 이미지



그렇게...

6.7.8 붕어들과 놀다보니..날이 밝아오고..

  • 사용자가 올린 이미지



형님도 아침장 스타트~ ㅎ

  • 사용자가 올린 이미지



운치를 더해줄...

비가온다...ㅎㅎ

  • 사용자가 올린 이미지



낮에 오히려 시알이 더 커졌다.

8.9치 붕어들..ㅎㅎㅎ

  • 사용자가 올린 이미지



너무 신나게 잡다가..

어쩔수없이 아점으로 주변 백반집으로.

전라도 음식 맛났다..

은퇴하면 전라도에 살고싶을만큼~ ㅎ

  • 사용자가 올린 이미지



자리로 돌아오니..

저~~~멀리~~ 고니들이..

아~주~ 시끄럽게 울어댄다~

마치 지들끼리 축제하는것처럼~ ㅎ

  • 사용자가 올린 이미지




대낮인데도..

새벽같은 느낌..

시간이...분명 오후인데...ㅎㅎ

  • 사용자가 올린 이미지



그렇게 6.7.8.9 붕어들은 지치지않고 나오고

나의 팔에 고통이 최고조에 이를때쯤~

나타난 반가운동생~

함께한다는건 언제나 즐겁다.

퇴근하고 일보고 1시간을달려 왔다.

그마저도 참~ 고마운일이였다.ㅎ

  • 사용자가 올린 이미지



초간단 셋팅으로 버텨본다고~

  • 사용자가 올린 이미지



아침에보니 잘~버틴듯하다.ㅎ

마찬가지로 6.7.8 붕어들 타작~ ㅎㅎ

  • 사용자가 올린 이미지



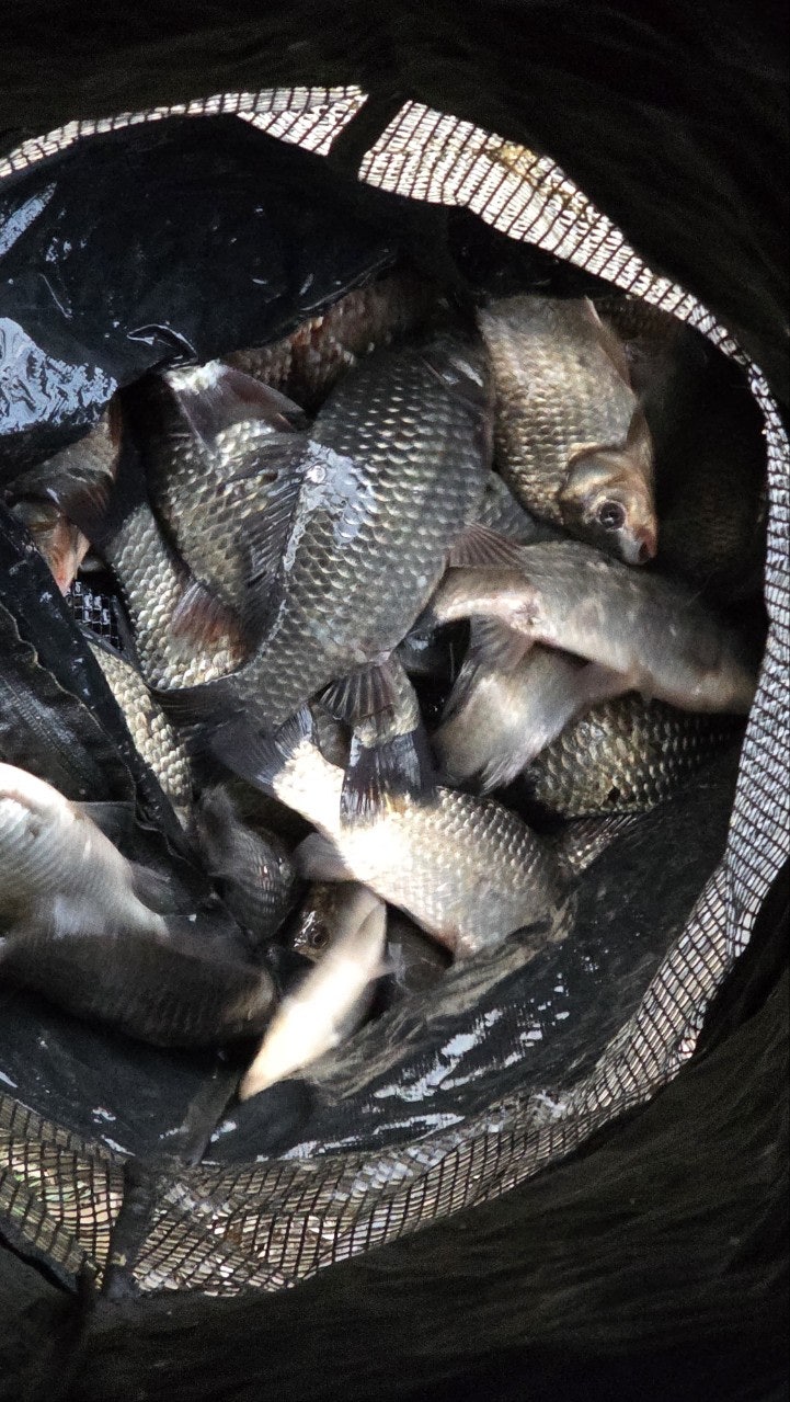
첫날은 담지도 않았고 둘째날 부터 몇수나 잡을까하고 붕어만 담았는데...

ㅎㅎㅎ 몇십수되는듯..

뭐 기억나는 숫자가..78까지는 기억이 나는데...그이후는 기억이 없다~ ㅎ

  • 사용자가 올린 이미지



잘~~놀고 2025년을 마무리 할수있어서 다할나위없이 좋았다.ㅎ

내가 머문자리는 흔적없이 다시 자연한테 돌려주고..나의흔적은 내차에 싣고 떠난다.

  • 사용자가 올린 이미지



어제 그집이 너무 맛있어서 다시방문..

우리들의 무용담은 디져트였다.ㅎ

  • 사용자가 올린 이미지



집으로 돌아가기전..

형~~ 부르더니..

선물요~ 하고 무심한척 툭~전해준다.ㅎㅎ

  • 사용자가 올린 이미지



나를 생각해주는 그마음은 5년이 아니라 50년 숙성된듯 느껴졌다.ㅎㅎ

이렇게 2025년 마지막 물낚시를 마칩니다..

한해~ 아니 몇년동안 사면초가의 낚시일기를 봐주신 모든분들께 감사인사를 전합니다.

좀더 재미있고 좀더 생동감있게 작성하도록 노력해보겠습니다.ㅎㅎ

동영상보다는 못해도 글을 읽으시면서 가끔 공감하는 추억들이 떠오르셨으면 좋겠습니다.

건강하십시요~ ㅎ

이전글 없음
다음글 없음