안녕 하세요~~!!
수려한 풍광, 힘 좋은 토종붕어 낚시터, 힐링의 공간 (토종붕어터) 용인 삼인낚시터입니다
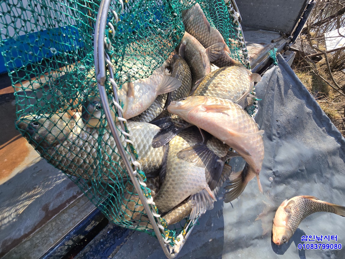
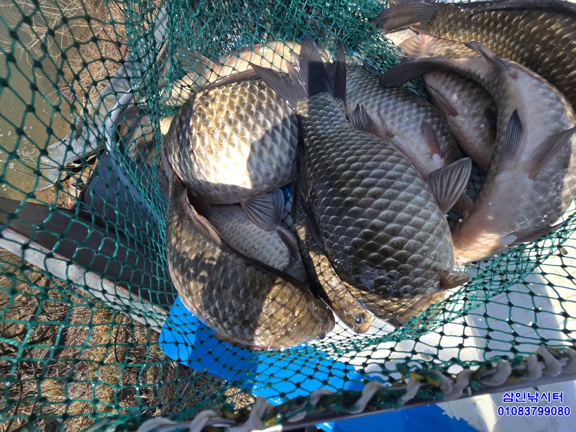
말씀 드린대로 씨알 좋은 토종붕어들이 계속 들어 가고 있습니다.
앞으로도 수급이 되는 대로 계속 들어 갈 예정입니다.
조황도 씨알 좋은 붕어들이 계속 나와 주고 있습니다.
연제든 편하게 오셔서 씨알좋은 토종붕어 손맛 보시기 바랍니다.
관리실앞 일반좌대는 겨울동안 전면적이 내부작업을 하여 좀더 아늑하고
편하게 쉬시면서 낚시를 즐기실수 있도록 바뀌었습니다.
2동을 분리 이동시켜 전체적으로 간격을 충분히 벌려
낚시하시는데 불편이 없도록 하였습니다.
로얄좌대도 바닥 페인트 작업을 하여
더욱 산뜻한 기분으로 즐기실수 있도록 하였습니다.
많은 이용 부탁 드립니다.
건강 유의 하시면서 즐겁고 행복한 하루 되세요~~!!
삼인낚시터는 바람을 많이 타지 않고 저녁이면 대부분 바람이
잦아들어 바람의 영향을 적게 받습니다.
또한 좌대시설 모두가 연안에서 걸어서 안전하게 이용하실수 있습니다.
바로 뒤에 주차하시고 언제든 편하게 오시고 가실수 있습니다.
서울 근교에 자리한 가까운 낚시터 입니다
산과 숲으로 둘러싸여 있어 녹조도 없어 물도 깨끗하고 풍광도 수려합니다.
조용하게 (토종붕어) 낚시도 즐기시며 산책도 하시고 자연과 함께 하실수 있습니다.
***궁금하신점 있으시면 전화로 문의 하시기 바랍니다~~!!
문의전화:031)332-6795,010-8379-9080 삼인낚시터


































