본문바로가기

가깝고 물좋고 경치 좋은곳~~!!-용인삼인낚시터-

IP 221.*.215.115 8319 2

 안녕 하세요~~!!

물 맑고 힘 좋은 낚시터, 힐링의 공간 용인 삼인낚시터입니다~

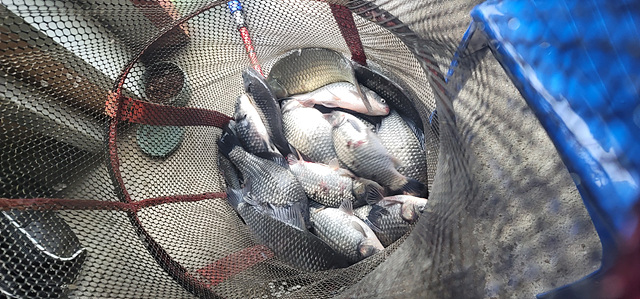
붕어들은 여전히 꾸준히 잘 나와 주고 있습니다.
장소 구분없이 손맛들 보실수 있습니다.
그리고 앞에서도 말씀 드렸듯이 찌맟춤은 탄력적으로 하시고
미끼 운용도 좀더 다양하게 하시는 것이 좋습니다.
환절기 수온이 변화하는 시기이다 보니 참고 하시는 것이 좋습니다.
늘 건강 하시고 즐거운 하루 되세요~~!!
이제는 따뜻하게 챙겨서 출조하세요~~!!
 
 
 
 
낚시터 이용요금안내-
평일- 일요일~금요일
주말- 토요일,공휴일전날

입어료:3만원

1인실:평일-4만,주말(공휴일 포함)5만원-입어료포함

2인실:평일-8만,주말(공휴일포함)9만원-입어료포함

일반좌대:,주말,공휴일-11만(2명기준) -입어료포함(1번,7번-12만)
          -평일-10만(2명기준)-입어료포함 (1번,7번-11만)
          

로얄좌대:-주말(공휴일포함)3명기준17만-입어료포함
        -평일-2명기준 입어료 포함 14만

*1인실,2인실, 일반좌대,로얄좌대를 이용하시는 분들은
 낚시를 안하시더라도 추가요금 1만원이(초등학생이하 제외) 부과됩니다.*

* 금요일,일요일도 다음날이 법정 공휴일이 아닌경우  평일 요금이 적용됩니다.    

***궁금하신점 있으시면 전화로 문의 하시기 바랍니다~~!!

     문의전화:031)332-6795,010-8379-9080 삼인낚시터
       홈페이지: https://tkadlsskrtlxj.modoo.at/

 

20220928_094405.jpg

 

 

20220928_094409.jpg

 

 

20220928_094413.jpg

 

 

20220929_093053.jpg

 

 

20220929_093101.jpg

 

 

20220929_093111.jpg

 

 

20220929_093116.jpg

 

 

Resized_20220929_033718.jpg

 

 

Resized_20220929_033725.jpg

 

 

20220925_181257.jpg

 

 

20220928_074258.jpg

 

 

20220928_083356.jpg

 

 

20220928_083414.jpg

 

 

20220929_092256.jpg

 

 

20220929_092306.jpg

 

 

20220929_092345.jpg

 

 

20220929_092357.jpg

 

 

20220929_092835.jpg

 

 

20220929_092844.jpg

 

 

20220929_093146.jpg

 

 

이전글 없음
다음글 없음

댓글 2

page 1
  • 수심쨩 · 09-29 12:57 · IP 211.*.188.248
    잘보고갑니다 정보감사합니다
  • 살모사 · 09-29 21:26 · IP 223.*.250.128
    정보 잘보고 갑니다
댓글 작성은 로그인 후 가능합니다.

내용 하단 목록

전체 목록