본문바로가기

가깝고 물좋고 경치 좋은곳~~!!-용인삼인낚시터-

IP 221.*.215.115 9547 1

 안녕 하세요~~!!

물 맑고 힘 좋은 낚시터, 힐링의 공간 용인 삼인낚시터입니다~
 
수려한 풍광과 깨끗한 수질과 다양한 수심에서 환상적인 붕어의
찌맛 손맛을 만끽하실수 있습니다.

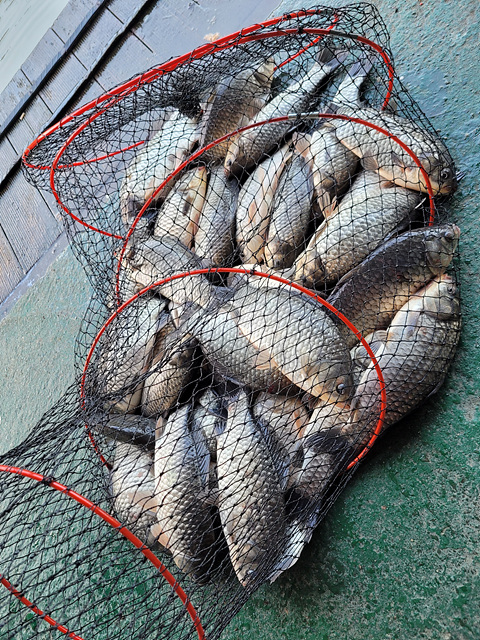
오늘아침 조황도 무척 좋았습니다.
오신 모든 분들이 많은 붕어손맛을 보셨습니다.
낮에도 나오고 밤에도 꾸준히 나와 주었습니다.
오늘도 붕어 방류 하였습니다.
내일도 더 많은 붕어가 방류 됩니다.
많이들 손맛 보세요~~!!

항상 감사드리며. 오늘도 즐겁고 행복한 하루 되세요~~!!
감사합니다~~!!
 
 
 
낚시터 이용요금안내-
평일- 일요일~금요일
주말- 토요일,공휴일전날

입어료:3만원

1인실:평일-4만,주말(공휴일 포함)5만원-입어료포함

2인실:평일-8만,주말(공휴일포함)9만원-입어료포함

일반좌대:,주말,공휴일-11만(2명기준) -입어료포함(1번,7번-12만)
          -평일-10만(2명기준)-입어료포함 (1번,7번-11만)
          

로얄좌대:-주말(공휴일포함)3명기준17만-입어료포함
        -평일-2명기준 입어료 포함 14만

*1인실,2인실, 일반좌대,로얄좌대를 이용하시는 분들은
 낚시를 안하시더라도 추가요금 1만원이(초등학생이하 제외) 부과됩니다.*

* 금요일,일요일도 다음날이 법정 공휴일이 아닌경우  평일 요금이 적용됩니다.    

***궁금하신점 있으시면 전화로 문의 하시기 바랍니다~~!!

     문의전화:031)332-6795,010-8379-9080 삼인낚시터
       홈페이지: https://tkadlsskrtlxj.modoo.at/

 

 

Resized_20220901_054704.jpg

 

 

Resized_20220901_054618.jpg

 

 

 

 

 

 

 

20220901_063516.jpg

 

 

20220901_063523.jpg

 

 

20220901_063535.jpg

 

 

 

 

Resized_1661985252246.jpg

 

 

1662084256532-0.jpg

 

 

1662084256532-1.jpg

 

 

20220826_102309.jpg

 

 

20220826_184346.jpg

 

 

20220826_184357.jpg

 

 

20220901_125115.jpg

 

 

20220901_125146.jpg

 

 

20220902_075913.jpg

 

 

20220902_080021.jpg

 

 

20220902_080031.jpg

 

 

20220902_103540.jpg

 

 

20220902_103542.jpg

 

 

20220902_103657.jpg

 

 

20220902_103748.jpg

 

 

20220902_104217.jpg

 

 

20220902_104219.jpg

 

 

20220902_104417(0).jpg

 

 

20220902_104517.jpg

 

 

20220902_104518.jpg

 

 

이전글 없음
다음글 없음

댓글 1

page 1
  • 수심쨩 · 09-02 11:26 · IP 223.*.94.10
    정보감사합니다 잘보고갑니다 ^^
댓글 작성은 로그인 후 가능합니다.

내용 하단 목록

전체 목록