본문바로가기

가깝고 물좋고 경치 좋은곳~~!!-용인삼인낚시터-

IP 221.*.215.115 8382 1

 안녕 하세요~~!!

물 맑고 힘 좋은 낚시터, 힐링의 공간 용인 삼인낚시터입니다~

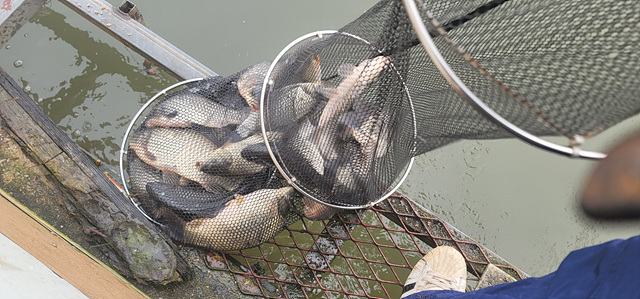
붕어 방류는 계속 하고 있으며
그에 맞게 붕어들도 지속적으로 나와 주고 있습니다.
찌맞춤과 미끼운용에 그때그때 변화를 주신 분들이 좋은 조황을 보였습니다.
환절기에는 더욱 그렇게 하시는 것이 유리 합니다.
이점 꼭 유의 하시기 바랍니다.
빗길 안전운전 하시고 즐겁고 행복한 하루 되세요~~!!
감사합니다~~!!
이제는 따뜻하게 챙겨서 출조하세요~~!!
 
 
 
 
낚시터 이용요금안내-
평일- 일요일~금요일
주말- 토요일,공휴일전날

입어료:3만원

1인실:평일-4만,주말(공휴일 포함)5만원-입어료포함

2인실:평일-8만,주말(공휴일포함)9만원-입어료포함

일반좌대:,주말,공휴일-11만(2명기준) -입어료포함(1번,7번-12만)
          -평일-10만(2명기준)-입어료포함 (1번,7번-11만)
          

로얄좌대:-주말(공휴일포함)3명기준17만-입어료포함
        -평일-2명기준 입어료 포함 14만

*1인실,2인실, 일반좌대,로얄좌대를 이용하시는 분들은
 낚시를 안하시더라도 추가요금 1만원이(초등학생이하 제외) 부과됩니다.*

* 금요일,일요일도 다음날이 법정 공휴일이 아닌경우  평일 요금이 적용됩니다.    

***궁금하신점 있으시면 전화로 문의 하시기 바랍니다~~!!

     문의전화:031)332-6795,010-8379-9080 삼인낚시터
       홈페이지: https://tkadlsskrtlxj.modoo.at/

 

 

20221001_140126.jpg

 

 

 

20221001_082102.jpg

 

 

20221001_082110.jpg

 

 

20221001_082119.jpg

 

 

20221001_082757.jpg

 

 

20221001_082809.jpg

 

 

20221001_084612.jpg

 

 

20221001_084614.jpg

 

 

20221001_084800.jpg

 

 

20221001_084801.jpg

 

 

20221001_212302.jpg

 

 

20221002_075448.jpg

 

 

20221002_075517.jpg

 

 

20221002_075523.jpg

 

 

20221002_075526.jpg

 

 

20221001_135508.jpg

 

 

20221001_135758.jpg

 

 

20221001_135906.jpg

 

 

20221001_135918.jpg

 

 

20221001_140036.jpg

 

 

20221001_140126.jpg

 

 

20221001_175002.jpg

 

 

20221001_175750.jpg

 

20221001_110929.jpg

 

 

20221001_110932.jpg

 

 

20221001_111020.jpg

 

 

20221001_111031.jpg

 

 

20221001_111032.jpg

 

 

20221001_111746.jpg

 

 

20221001_111751.jpg

 

 

20221001_112022.jpg

 

 

20221001_112023.jpg

 

 

20221001_112024.jpg

 

 

20221001_112429.jpg

 

 

20221001_112507.jpg

 

 

20221001_112600.jpg

 

 

20221001_112601.jpg

 

 

이전글 없음
다음글 없음

댓글 1

page 1
  • 수심쨩 · 10-03 17:54 · IP 211.*.197.201
    잘보고갑니다 정보감사합니다
댓글 작성은 로그인 후 가능합니다.

내용 하단 목록

전체 목록