본문바로가기

가깝고 물 좋고 경치 좋은 곳~~!!-용인삼인낚시터-

IP 210.*.22.164 16656 0

 

 

           

 안녕 하세요~~!! 

 

 

물 맑고 힘 좋은 낚시터, 힐링의 공간 용인 삼인낚시터입니다~~!!

 

 

 

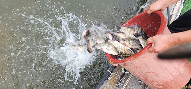
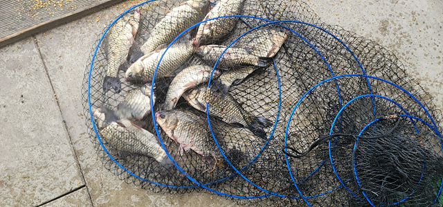
붕어들은 계속 꾸준히 나와 주고 있습니다.

붕어도 계속 방류 하고 있습니다.

오늘도 들어 갔고 

내일도 연이어 붕어가 들어 갑니다.

시원한 풍경과 함께 즐거운 손맛도 즐기세요~~!!

 

 

 

올해는 2인실에도 에어컨을 설치 하여 

 

더 쾌적하게 낚시를 즐기실수 있도록 하였습니다.

 

 

건강들 잘 챙기시고 즐거운 하루하루 되세요~~!!

 

 

***궁금하신점 있으시면 전화로 문의 하시기 바랍니다~~!! 

 

 

     문의전화:031)332-6795,010-8379-9080 삼인낚시터 

 

     홈페이지: https://tkadlsskrtlxj.modoo.at/

 

TimePhoto_20230622_051655(1).jpg

 

 

TimePhoto_20230622_051703(1).jpg

 

 

TimePhoto_20230622_051703(2).jpg

 

 

 

1687482924880-3.jpg

 

 

1687482924880-4.jpg

 

 

1687482924880-5.jpg

 

 

1687482924880-6.jpg

 

 

1687482924880-7.jpg

 

 

1687482924880-8.jpg

 

 

1687482924880-9.jpg

 

 

1687482924880-10.jpg

 

 

1687482924880-11.jpg

 

 

1687482924880-12.jpg

 

 

1687482924880-13.jpg

 

 

1687482946516-0.jpg

 

 

1687482946516-1.jpg

 

 

1687482946516-2.jpg

 

 

1687482946516-3.jpg

 

 

1687482946516-4.jpg

 

 

1687482946516-5.jpg

 

 

1687482946516-6.jpg

 

 

1687482946516-7.jpg

 

 

1687482946516-8.jpg

 

 

1687482946516-9.jpg

 

 

1687482946516-10.jpg

 

 

1687482946516-11.jpg

 

 

1687482946516-12.jpg

 

 

1687482946516-13.jpg

 

 

1687482946516-14.jpg

 

 

1687482946516-15.jpg

 

 

1687482946516-16.jpg

 

 

1687482946516-17.jpg

 

이전글 없음
다음글 없음

댓글 0

page 1
  • 댓글이 없습니다.
댓글 작성은 로그인 후 가능합니다.

내용 하단 목록

전체 목록