본문바로가기

가깝고 물 좋고 경치 좋은 곳~~!!-용인삼인낚시터-

IP 210.*.22.164 19608 0

           

 안녕 하세요~~!! 

 

 

물 맑고 힘 좋은 낚시터, 힐링의 공간 용인 삼인낚시터입니다~~!!

 

 

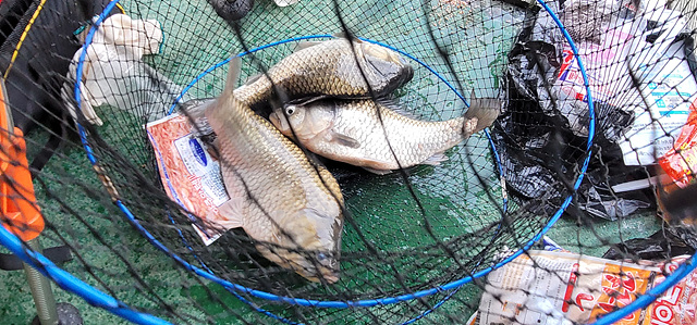
오늘도 토종붕어가 방류 되었습니다.

씨알좋습니다.

연이어서 내일도 모레도 계속 방류됩니다.

가능한 계속 기회되는 대로 방류는 지속 됩니다.

아카시아꽃이 한창이어서 어두워 지면서 

그향이 더욱 짙어집니다.

손맛도 보시고 자연이 주는 선물도 즐기시길 바랍니다.

 

 

올해는 2인실에도 에어컨을 설치 하여 

 

더 쾌적하게 낚시를 즐기실수 있도록 하였습니다.

 

 

건강들 잘 챙기시고 즐거운 하루하루 되세요~~!!

 

 

***궁금하신점 있으시면 전화로 문의 하시기 바랍니다~~!! 

 

 

     문의전화:031)332-6795,010-8379-9080 삼인낚시터 

 

     홈페이지: https://tkadlsskrtlxj.modoo.at/

 

1684288873198-0.jpg

 

 

1684288873198-1.jpg

 

 

1684288873198-3.jpg

 

 

1684288873198-4.jpg

 

 

1684288873198-5.jpg

 

 

1684288873198-6.jpg

 

 

1684288873198-7.jpg

 

 

1684288873198-8.jpg

 

 

1684288873198-9.jpg

 

 

1684288873198-10.jpg

 

 

1684288873198-11.jpg

 

 

1684288873198-12.jpg

 

 

1684288873198-13.jpg

 

 

1684288873198-14.jpg

 

 

1684288873198-15.jpg

 

 

1684288873198-16.jpg

 

 

1684288873198-17.jpg

 

 

1684288873198-18.jpg

 

 

1684288873198-19.jpg

 

 

1684288873198-20.jpg

 

 

1684288873198-24.jpg

 

 

1684288873198-25.jpg

 

 

1684288873198-26.jpg

 

 

1684288873198-27.jpg

 

 

1684288873198-28.jpg

 

 

1684288873198-29.jpg

 

 

1684288873198-21.jpg

 

 

1684288873198-22.jpg

 

 

1684288873198-23.jpg

 

1684288849008-0.jpg

 

 

1684288849008-1.jpg

 

 

1684288849008-2.jpg

 

 

1684288849008-3.jpg

 

 

1684288849008-4.jpg

 

이전글 없음
다음글 없음

댓글 0

page 1
  • 댓글이 없습니다.
댓글 작성은 로그인 후 가능합니다.

내용 하단 목록

전체 목록