본문바로가기

가깝고 물 좋고 경치 좋은 곳~~!!-용인삼인낚시터-

IP 210.*.22.164 18657 0

 

 

           

 안녕 하세요~~!! 

 

 

물 맑고 힘 좋은 낚시터, 힐링의 공간 용인 삼인낚시터입니다~~!!

 

 

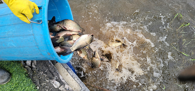
붕어들이 계속 나와 주고 있습니다.

개인편차는 있지만 큰놈과 작은놈 다양하게 

손맛을 즐기실수 있도록 꾸준히 나와 주고 있습니다.

찌올림역시 좋습니다.

붕어방류는 계속 되고 있습니다.

앞으로도 최대한 방류를 할 것입니다.

언제든 오셔서 손맛,찌맛 즐기시며  자연속에서 힐링하세요~~!!

 

 

올해는 2인실에도 에어컨을 설치 하여 

 

더 쾌적하게 낚시를 즐기실수 있도록 하였습니다.

 

 

건강들 잘 챙기시고 즐거운 하루하루 되세요~~!!

 

 

***궁금하신점 있으시면 전화로 문의 하시기 바랍니다~~!! 

 

 

     문의전화:031)332-6795,010-8379-9080 삼인낚시터 

 

     홈페이지: https://tkadlsskrtlxj.modoo.at/

 

1686276384985-1.jpg

 

 

1686276384985-2.jpg

 

 

1686276384985-0.jpg

 

 

1686276384985-9.jpg

 

 

1686276384985-3.jpg

 

 

1686276384985-4.jpg

 

 

1686276384985-5.jpg

 

 

1686276384985-6.jpg

 

 

1686276384985-7.jpg

 

 

1686276384985-8.jpg

 

 

1686276384985-10.jpg

 

 

1686276384985-11.jpg

 

 

1686276384985-12.jpg

 

 

1686276384985-13.jpg

 

 

1686276384985-14.jpg

 

 

1686276384985-15.jpg

 

 

1686276384985-16.jpg

 

 

1686276384985-17.jpg

 

 

1686276384985-18.jpg

 

 

1686276384985-19.jpg

 

 

1686276408184-0.jpg

 

 

1686276384985-14.jpg

 

 

1686276384985-15.jpg

 

 

1686276384985-16.jpg

 

 

1686276384985-17.jpg

 

 

1686276384985-18.jpg

 

 

1686276384985-19.jpg

 

 

1686276408184-0.jpg

 

1686276408184-1.jpg

 

 

1686276408184-2.jpg

 

 

1686276408184-3.jpg

 

 

1686276408184-4.jpg

 

 

1686276408184-5.jpg

 

 

1686276408184-6.jpg

 

 

1686276408184-7.jpg

 

 

1686276408184-8.jpg

 

 

1686276408184-9.jpg

 

 

1686276408184-10.jpg

 

 

1686276408184-11.jpg

 

 

1686276408184-12.jpg

 

 

1686276408184-13.jpg

 

 

1686276408184-14.jpg

 

 

1686276408184-15.jpg

 

이전글 없음
다음글 없음

댓글 0

page 1
  • 댓글이 없습니다.
댓글 작성은 로그인 후 가능합니다.

내용 하단 목록

전체 목록