본문바로가기

가깝고 물 좋고 경치 좋은 곳~~!!-용인삼인낚시터-

IP 210.*.22.164 16183 0

 

 

           

 

 안녕 하세요~~!! 

 

물 맑고 힘 좋은 낚시터, 힐링의 공간 용인 삼인낚시터입니다~~!!

 

 

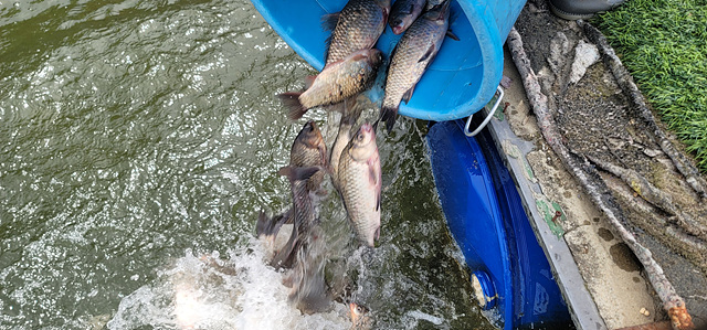
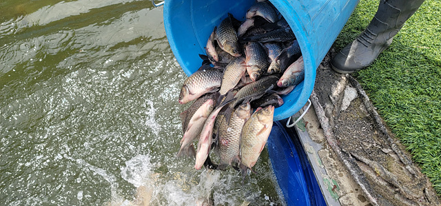
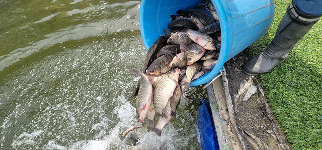
주말에는 씨알좋은 토종붕어가 들어 갔습니다.

이번주에도 토종붕어가 계속 들어 갑니다.

이놈들이 더 많은 조사분들께 즐거움을 주었으면 좋겠습니다.

앞으로도 가능한 많은 토좋붕어가 계속  들어갈 계획입니다.

이제 5월이네요 

이제 배수가 시작 됩니다.

삼인낚시터는 배수가 될수록 더욱 좋은 조황을 보여 왔습니다.

이점 참고 하셔서 출조하시면 됩니다.

 

 

올해는 2인실에도 에어컨을 설치 하여 

더 쾌적하게 낚시를 즐기실수 있도록 하였습니다.

 

건강들 잘 챙기시고 즐거운 하루하루 되세요~~!!

 

***궁금하신점 있으시면 전화로 문의 하시기 바랍니다~~!! 

 

     문의전화:031)332-6795,010-8379-9080 삼인낚시터 

     홈페이지: https://tkadlsskrtlxj.modoo.at/

 

1682910626214-16.jpg

 

 

1682910626214-7.jpg

 

 

1682910626214-8.jpg

 

 

1682910626214-9.jpg

 

 

1682910626214-10.jpg

 

 

1682910626214-11.jpg

 

 

1682910626214-12.jpg

 

 

1682910626214-13.jpg

 

 

1682910626214-14.jpg

 

 

1682910626214-15.jpg

 

 

1682910626214-16.jpg

 

 

1682910626214-17.jpg

 

 

1682910626214-0.jpg

 

 

1682910626214-1.jpg

 

 

1682910626214-2.jpg

 

 

1682910626214-3.jpg

 

 

1682910626214-4.jpg

 

 

1682910626214-5.jpg

 

 

1682910626214-6.jpg

 

 

1682910626214-18.jpg

 

 

1682910626214-19.jpg

 

 

1682910626214-20.jpg

 

 

1682910626214-21.jpg

 

 

1682910626214-22.jpg

 

 

1682910626214-23.jpg

 

 

1682910626214-24.jpg

 

 

1682910626214-25.jpg

 

 

1682910626214-26.jpg

 

 

1682910626214-27.jpg

 

 

1682910626214-28.jpg

 

 

1682910626214-29.jpg

 

이전글 없음
다음글 없음

댓글 0

page 1
  • 댓글이 없습니다.
댓글 작성은 로그인 후 가능합니다.

내용 하단 목록

전체 목록