본문바로가기

겨울물낚시 붕어조황

IP 218.*.200.241 2212 1

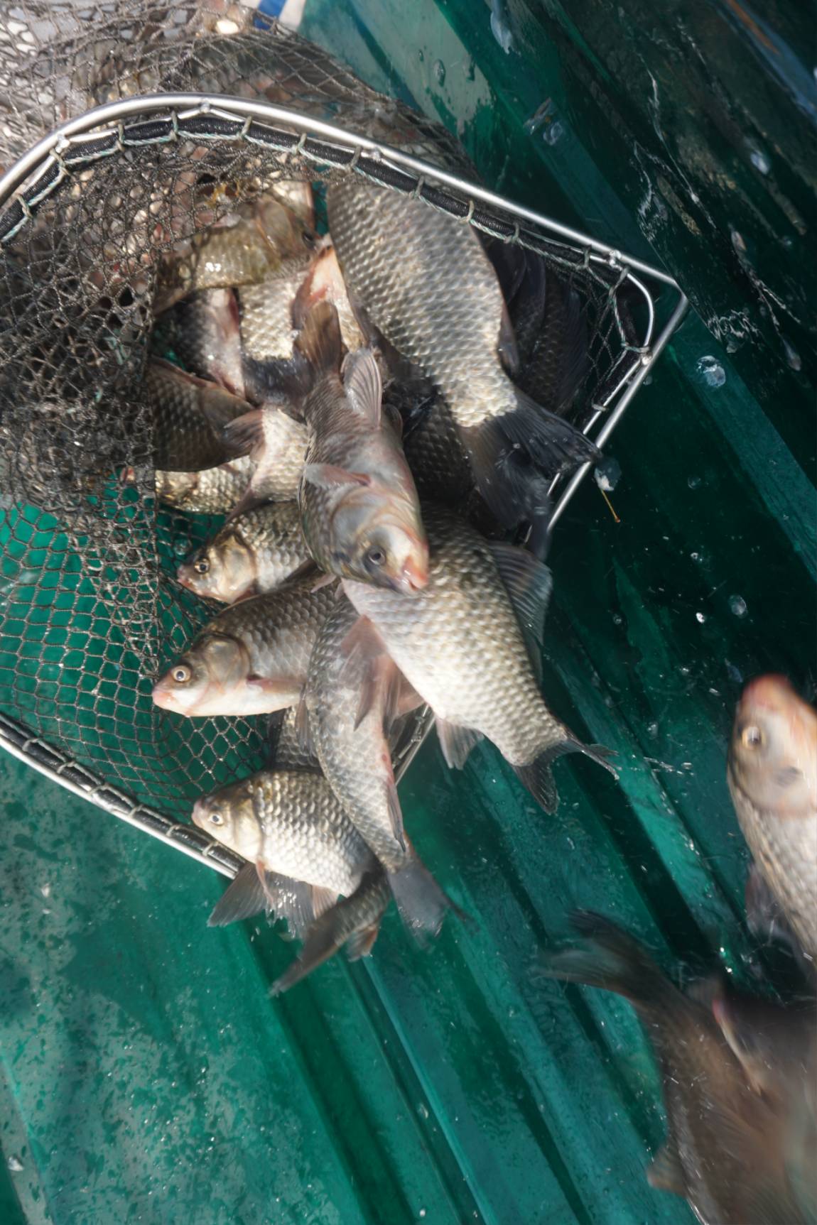
 겨울이 되면서 어째 여름보다 방류량이 더 많아지고 있습니다

하지만 어부와 계약한 상태이기에

안 받는 다는 말은 못하고 

아주 대량의 붕어를 지난주에 이어 이번주도 넣고 있습니다.

사진은 지난 일요일과 어제,,,

양일간에 거쳐 시행한 방류입니다...

 

 

DSC09341.JPG

 

 

DSC09342.JPG

 

 어제의 붕어방류... 어제도 대량방류~~

DSC09335.JPG

 

 

DSC09336.JPG

 

 

DSC09337.JPG

 일요일 붕어와 잉어방류~!~

1639439096271.jpg

 

 

1639439192708.jpg

 

 

DSC09344.JPG

 

붕어는 해가 지면서 밤에 신나게 찌불을 요동치게 한답니다...

절대 심심할 틈을 주지 않는 독정붕어를 만나보시고요~~

낮에는 붕어대신 송어를 추천하는데

어느 조사님이 식사하시며 하는 말씀...

송어의 배를 갈라보니

옥수수로 꽉 차 있더라~~

고로 송어낚시를 하려거든

옥수수를 집어제로 쓰면 좋다~~

하시네요~~

 

 

 

이전글 없음
다음글 없음

댓글 1

page 1
  • 수심쨩 · 12-15 05:55 · IP 223.*.53.4
    잘보고갑니다 정보감사합니다
댓글 작성은 로그인 후 가능합니다.

내용 하단 목록

전체 목록