본문바로가기

물속에서 야동을 찍는 거 같아요~~

IP 218.*.200.241 5946 1

 잉어들의 산란으로 퍼덕거리는 소리가 마치

 야동에서의 신음소리마냥 들리는데

 독정관리인 문제 많은 거겠죠???ㅋㅋ

암튼 지금은 산란으로 인해 독정이 시끌벅적합니다

이 시기를 잘 노리신다면

카톡프샤에 찍을 사진정도는 건질 수 있으니

많은 관심부탁드립니다....

 

 

20220422_101910.jpg

 

오늘의 방류~~ 장어를 시작으로

20220422_102000.jpg

 

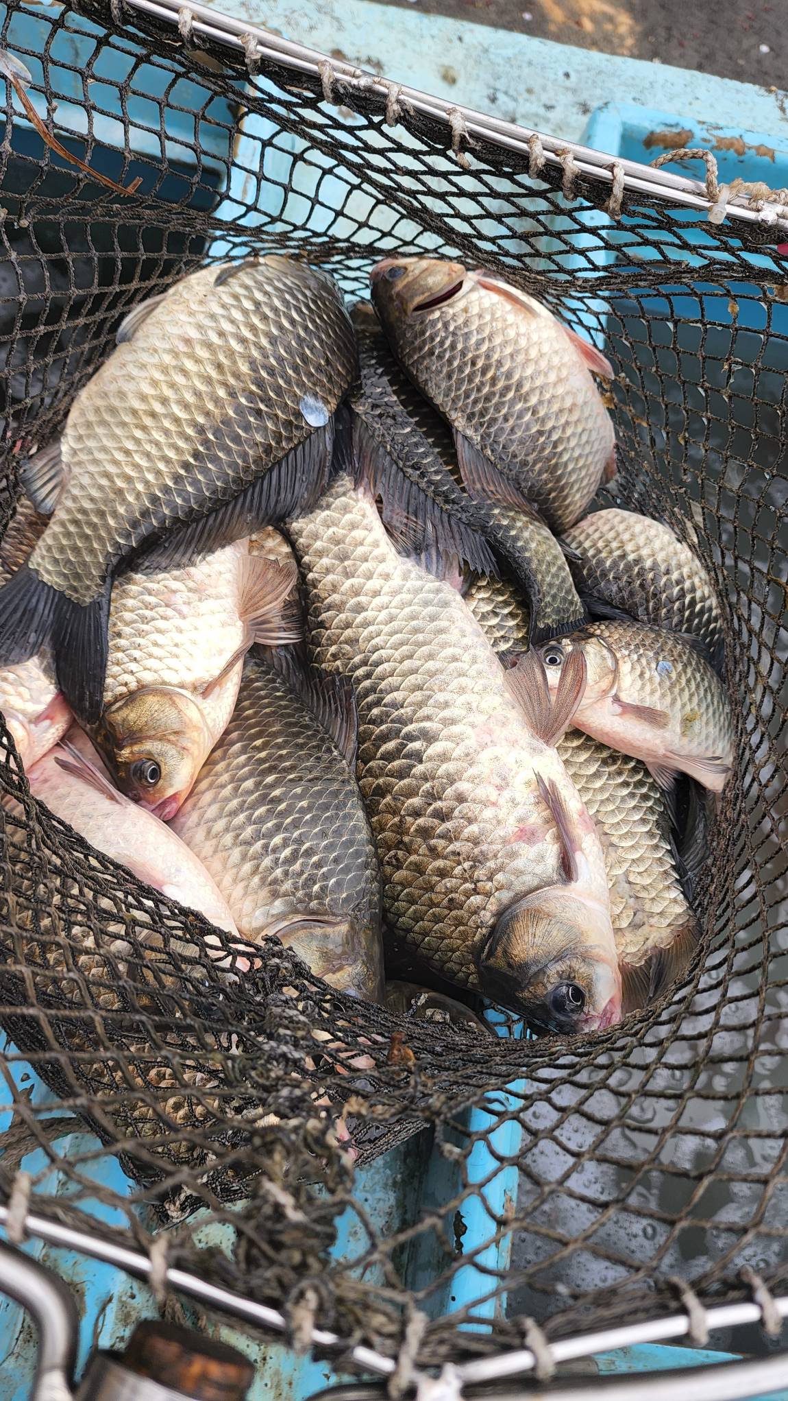
자연산잉어

20220422_102602.jpg

 

월척급의 토종붕어

20220422_103024.jpg

향어

 

20220422_103406.jpg

 

그리고 메기까지....

오늘도 정성껏 넣었습니다.

20220420_140125.jpg

 

메기와 장어조황이 좋은 제방권포인트

20220420_205848.jpg

 

 

20220421_063227.jpg

 

메기는 아주그냥 충분히 나와주네요~~ 물론 맨날 그러는 건 아니지만,,,,,,

20220421_063237.jpg

 

 

20220421_063541.jpg

 

 

20220421_063544.jpg

 

잉어산란때문인가요??

잉어가 나와주었지만

잉어산란도 이제 막바지....

20220421_063749.jpg

 

 

20220422_071103.jpg

 

 

20220422_071210.jpg

또 4자가 나와주었습니다

 

20220422_071214.jpg

 

 

20220422-071255.jpg

 

 딱 4자되겟습니다

20220422_071446.jpg

 

 좋은 조황을 위해 많은 양을 방류해놓은 독정에서

주말 좋은 추억 만들길 바랄게요~~

 

그럼 조사님들 행복한 주말되세요~~

 

 

1647424042546.png

 

 

1648601879710.jpg

 

 

 

이전글 없음
다음글 없음

댓글 1

page 1
  • 살모사 · 04-22 13:35 · IP 223.*.242.101
    야동 찍어야 산란하죠 ㅎㅎ
댓글 작성은 로그인 후 가능합니다.

내용 하단 목록

전체 목록