본문바로가기

붕어방류 두 번 방류

IP 218.*.200.241 11467 2


어제는 붕어를 두번이나 방류했구요~~

오늘도 붕어방류가 예정되어있습니다
물론 모두가 토종으로....
붕어방류량이 많아지다보니
다행히 나오는 어종의 대부분을 붕어가 차지하네요~~

 

 

 

 

20220518_102617.jpg

 

 

20220518_102628.jpg

 어제 오전 10시경 직접실어와 한 번 방류햇꾸요~~ 

 

20220518_110612.jpg

 

 

20220518_110626.jpg

 

 

20220518_110731.jpg

 

 

20220518_111158.jpg

 

 

20220518-110831.jpg

 

 어제 11시경 업자한테 좋은 붕어 있다는 소식에 한 번 더 방류했습니다...

오늘도 방류예정이 있으니 앞으로 붕어조황이 오를 것으로 보여집니다

20220519_080815.jpg

 깔끔하게 덩어리 붕어를 잡으셧네요~~

 

20220519-080944.jpg

 

 그 덩어리 중

가장 큰 넘을 골라,,,,

20220519_081103.jpg

 

여기도 덩어리가 있네요~~

20220519-081158.jpg

 

 취권으로 한 자질이라 붕어가 많이 줄었는데

 거의 4자에 가까운 붕어입니다.....

 

20220519_081237.jpg

 

 

20220519_081244.jpg

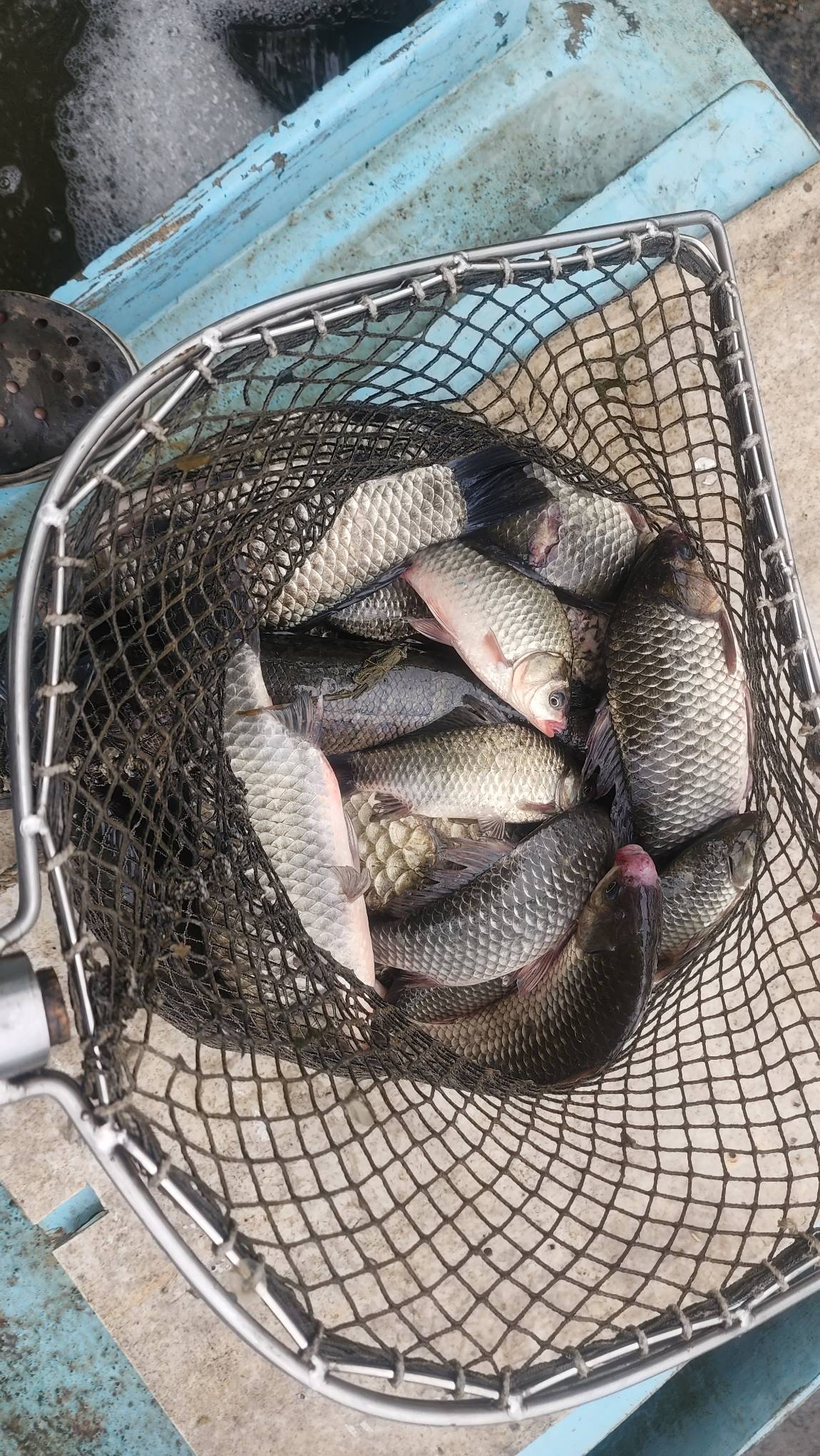
 메기와 향어도 보이지만 거의 대부분이 붕어임을 볼 수 있고요~~

 앞으로도 붕어비율을 높이겠습니다...

 

 

 

20220519_080745.jpg

 그렇다고 기존에 넣았던 메기랑 장어를 안 넣다는 게 아니고

 붕어방류량을 확~~!! 늘리겠다는 의미로 받아주십시요~~!!

 

1647424042546.png

 

 

1652340332171.png

 

많이 바뀐 독정의 요금제도

끌리는 게 있거덩 출조부탁드려요~~

 

이상 독정이었습니다

이전글 없음
다음글 없음

댓글 2

page 1
  • 살모사 · 05-19 11:06 · IP 223.*.202.85
    잘보고 갑니다
  • 수심쨩 · 05-19 15:09 · IP 115.*.23.54
    정보감사합니다 잘보고갑니다 ^^
댓글 작성은 로그인 후 가능합니다.

내용 하단 목록

전체 목록