본문바로가기

시월둘째주 주중반 양평 수곡낚시터 수,목 조황 및 금일 방류 완료

IP 175.*.153.224 616 0

칠보산 기슭 해발 120미터 맑은 물과 청정한 공기,

반딧불이가 노니는 사계절 수려한 풍광속 힐링 낚시 아지트

 가을시즌 풍광좋은 붕어낚시 힐링 양평 수곡낚시터

 

힐링 양평 수곡낚시터 펜션 오픈 

 

10월 둘째주 수,목 주중반 조황 및 금일 붕어방류 완료

 

KakaoTalk_20200705_125601069 - 복사본.jpg

 

 

 

KakaoTalk_20200705_125600924.jpg   

 

 

인체에 무해한 최고급 소독제를 사용하여

매일 방역소독 실시중 입니다 

마스크 필히 지참 바랍니다

 

프레젠테이션1-1.jpg 

 

수곡낚시터 펜션을 새롭게 오픈하였습니다

수세식화장실, 온수샤워장, 냉.난방, 침구, 식기일체, 인덕션렌지

숯불이용가능 야외 테이블등

가족,연인들과 함께 깨끗한 펜션 많은 이용바라며

낚시는 펜션앞 부교및 발판좌대 이용하시면 됩니다

 

슬라이드1.JPG

 

 

슬라이드2.JPG

 

 

프레젠테이션1.jpg 

 

 

수곡낚시터 좌대및 시설안내 클릭하세요!   

 

10월 둘째주도 주중반을 지나고 있네요

수요일과 목요일 가을비가 내리면서 바람도

불고 물결도 일어 낚시여건은 좋지 못했지만

조황편차는 있지만 포인트별 고른편 조과입니다

 

3칸대정도와 다소 짧은칸수 에서도 고르게

붕어들은 들어왔으며 낮시간도 꾸준히 입질이 옵니다

 

가을밤낚시의 계절이 서서히 다가오면서

씨알좋은 가을붕어들이 손맛을 안겨준답니다

 

오늘도 오전일찍 붕어들 방류 완료하였으며

화,목,토요일 붕어방류는 예정대로 진행하며

오늘조황과 어제조황 순서로 사진올립니다

 

 

3.jpg

 

 

3-1.jpg

 

 

3-2.jpg

 

상.하류권 대체로 고르게 입질이 들어오네요

 

3-3.jpg

 

 

3-4.jpg

 

 

3-5.jpg

 

 

3-6.jpg

 

 

3-6-1.jpg

 

 

3-7.jpg

 

 

3-8.jpg

 

 

3-9.jpg

 

 

4.jpg

 

 

4-1.jpg

 

 

9 (3).jpg

 

 

9 (4).jpg

 

 

9 (5).jpg

 

 

9 (6).jpg

 

 

9 (7).jpg

 

 

9 (18).jpg

 

바람불던 어제보단 오늘이 좀더 좋았던듯 합니다

 

3.jpg

 

 

9 (1).jpg

 

 

9 (2).jpg

 

 

9 (3).jpg

 

 

9 (4).jpg

 

 

9 (5).jpg

 

 

9 (6).jpg

 

 

9 (7).jpg

 

 

9 (8).jpg

 

 

9 (9).jpg

 

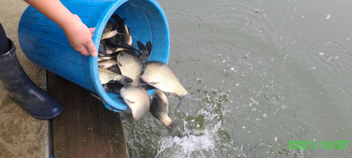
화요일 방류에 이어서 오늘도 일찍 붕어방류하였으며 

토요일 주말도 붕어방류 진행합니다

 

 

꾸미_20211007_110617.jpg

 

 

꾸미_20211007_110737.jpg

 

 

꾸미_20211007_110920.jpg

 

 

꾸미_20211007_110922.jpg

 

 

꾸미_20211007_111207.jpg

 

 

꾸미_20211007_111209.jpg

 

 

꾸미_20211007_111211.jpg

 

 

이미지 1.png

 

 

 

 

9 (2).jpg

 

 

9 (3).jpg

 

 

9 (4).jpg

 

 

9 (5).jpg

 

 

9 (6).jpg

 

 

9 (7).jpg

 

 

9 (8).jpg

 

 

9 (9).jpg

 

 

9 (10).jpg

 

 

KakaoTalk_20200705_125600924.jpg

 

 

KakaoTalk_20200705_125601069 - 복사본.jpg

 

이전글 없음
다음글 없음

댓글 0

page 1
  • 댓글이 없습니다.
댓글 작성은 로그인 후 가능합니다.

내용 하단 목록

전체 목록