본문바로가기

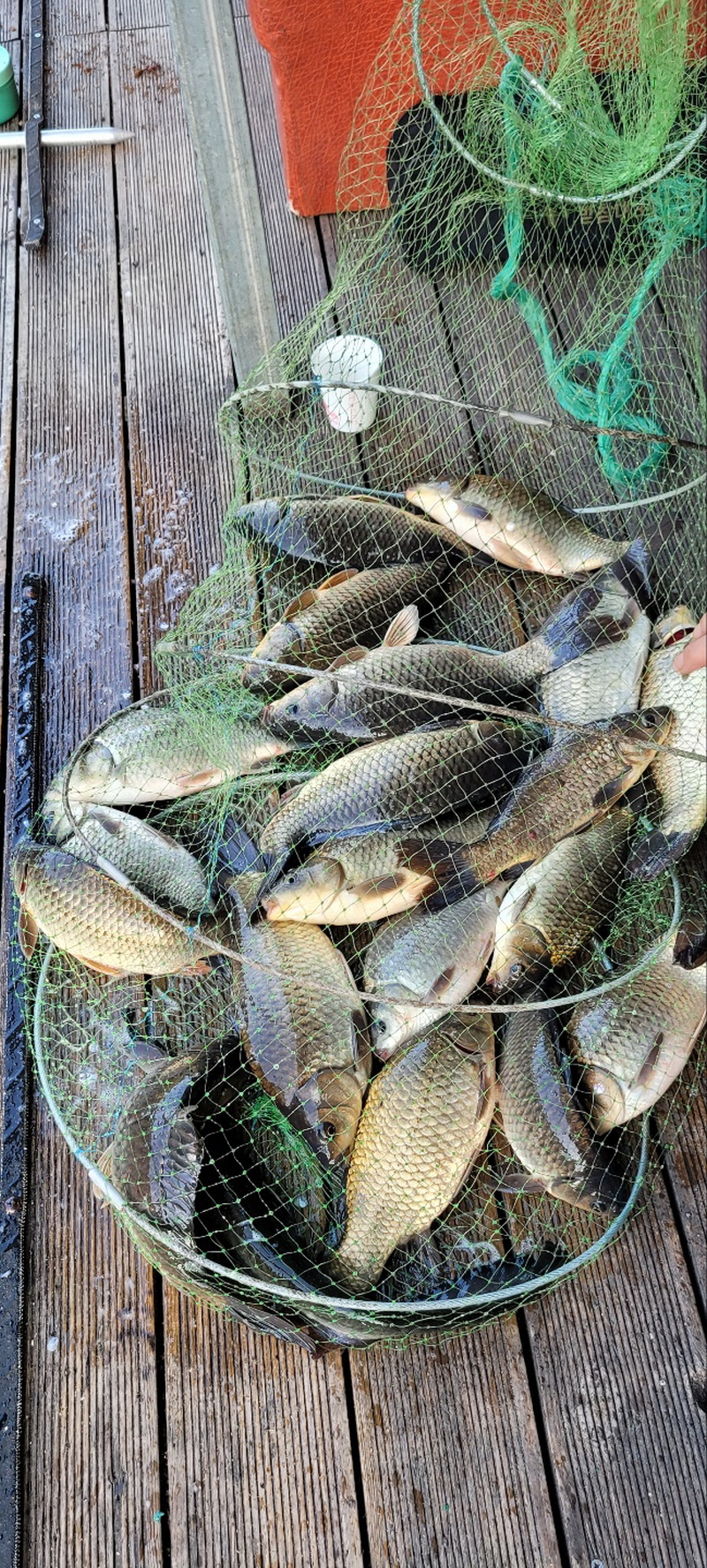
아산 산들낚시터의 5월18일에 올리는 주중 조황 모습입니다.

IP 121.*.150.3 11980 2

그곳에 가고 싶다~ 아산의 대표 힐링터

           

산들 낚시터

 

 

안녕하세요.

아산의 맑고 아름다운 산들낚시터입니다.

 

주말 조황 보다는 일요일 조황이 훨~~~ 좋았습니다.

조황 모습 올립니다.

 

문의 사항 및 좌대 이용 문의는 041)532-6980으로 전화주세요.

감사합니다.

 

[꾸미기]1.jpg

 

 

[꾸미기]2.jpg

 

 

[꾸미기]3.jpeg

 

 

[꾸미기]4.jpeg

 

 

[꾸미기]5.jpg

 

 

[꾸미기]6.jpg

 

 

[꾸미기]7.jpg

 

 

[꾸미기]8.jpg

 

 

[꾸미기]9.jpg

 

[꾸미기]17.jpg

 

 

[꾸미기]18.jpg

 

 

 


 

 

 

 

<낚시터정보>

 

 ● 위 치 : 충남 아산시 배방면 수철리 270-1 (네비게이션:산들낚시터)
● 전 화 : 010-8391-8884 / 041-532 -6980
● 교 통 : 대중교통
● 면 적 : 2만 5천 여 평
● 수 질 : 자연계곡수
● 어 종 : 떡붕어, 토종붕어, 수입붕어, 잉어,향어,메기
● 수 심 : 1.5~4m
● 미 끼 : 떡밥,지렁이 ,생미끼

 


● 수상좌대이용요금

 

  중형좌대(3인) : 주중 1인 부터  8만원 / 주말 2인 부터 10만원

       대형좌대(4인) : 주중 2인 부터 11만원 / 주말 3인 부터 13만원
       특대좌대(6인) : 주중 3인 부터 17만원 / 주말 5인 부터 20만원

       연안(연륙)좌대: 주중 1인 부터 8만원 / 주말 2인 부터 10만원

     * 금, 토와 공휴일 전일은 주말요금이 적용됩니다.

      *7월 15일~ 8월 15일 여름 성수기는 주말요금이 적용됩니다. 

     * 1인 추가 이용시 : 25,000원 별도

 

 
      
 
● 노지 및 잔교 이용요금 : 25,000원(손맛, 잡이 구분 없음)
 
   
 

 


● 부대시설 : 식당, 매점, 화장실, 주차시설 
● 영업시간 : 24시간

 

이전글 없음
다음글 없음

댓글 2

page 1
  • 수심쨩 · 05-18 12:14 · IP 115.*.23.54
    잘보고갑니다
  • 살모사 · 05-18 16:24 · IP 223.*.248.61
    잘보고 갑니다
댓글 작성은 로그인 후 가능합니다.

내용 하단 목록

전체 목록