본문바로가기

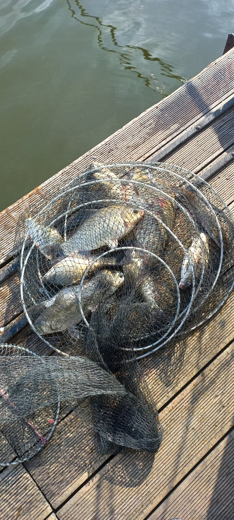
아산 산들낚시터의 6월9일에 올리는 금요일 방류 모습입니다.

IP 175.*.176.33 18697 0

 

 

 

산들-3.jpg

 

 

 

            

 

 

그곳에 가고 싶다~ 아산의 대표 힐링터

           

산들 낚시터

 

 

 

 

안녕하세요.

아산의 맑고 아름다운 산들낚시터입니다.

 

금요일 붕어 방류에 들어갑니다.

 

그간 토종붕어를 방류함에 조황이 약간 저조함에

2주 전부터 향붕어를 방류하기 시작 했습니다.

 

다시 활성화가 되면 토종도 병형해서 방류할 계획입니다.

 

그리고 산들은 잔챙이가 많으므로 글루텐은 자제하시고

보리와 어분를 손톱 크기로  단단히 뭉치시고, 

찌 맞춤을 조금은 무겁게 운영하는것이 효과를 볼것 같습니다.

 

예약 문의는 041)532-6980으로 전화주세요.

감사합니다.

 

 

[꾸미기]1.jpg

 

 

[꾸미기]2.jpg

 

 

[꾸미기]3.jpg

 

 

[꾸미기]4.jpg

 

 

[꾸미기]5.jpg

 

 

[꾸미기]6.jpg

 

 

[꾸미기]7.jpg

 

 

[꾸미기]8.jpg

 

 

[꾸미기]9.jpg

 

 

[꾸미기]10.jpg

 

 

[꾸미기]11.jpg

 

 

[꾸미기]12.jpeg

 

 

[꾸미기]13.jpeg

 

 

[꾸미기]14.jpeg

 

 

 

 

 


 

 

 

 

<낚시터정보>

 

 ● 위 치 : 충남 아산시 배방면 수철리 270-1 (네비게이션:산들낚시터)
● 전 화 : 010-8391-8884 / 041-532 -6980
● 교 통 : 대중교통
● 면 적 : 2만 5천 여 평
● 수 질 : 자연계곡수
● 어 종 : 떡붕어, 토종붕어, 수입붕어, 잉어,향어,메기
● 수 심 : 1.5~4m
● 미 끼 : 떡밥,지렁이 ,생미끼

 


● 수상좌대이용요금

 

  중형좌대(3인) : 주중 1인 부터  8만원 / 주말 2인 부터 10만원

       대형좌대(4인) : 주중 2인 부터 11만원 / 주말 3인 부터 13만원
       특대좌대(6인) : 주중 3인 부터 17만원 / 주말 5인 부터 20만원

       연안(연륙)좌대: 주중 1인 부터 8만원 / 주말 2인 부터 10만원

     * 금, 토와 공휴일 전일은 주말요금이 적용됩니다.

      *7월 15일~ 8월 15일 여름 성수기는 주말요금이 적용됩니다. 

     * 1인 추가 이용시 : 25,000원 별도

 

 
      
 
● 노지 및 잔교 이용요금 : 25,000원(손맛, 잡이 구분 없음)
 
   
 

 


● 부대시설 : 식당, 매점, 화장실, 주차시설 
● 영업시간 : 24시간

 

sandul_co_kr_20160809_163313.jpg

 

 

 

동교-56.jpg

 

 

이전글 없음
다음글 없음

댓글 0

page 1
  • 댓글이 없습니다.
댓글 작성은 로그인 후 가능합니다.

내용 하단 목록

전체 목록