본문바로가기

아산 산들낚시터의 9월 초 좌대 배치도 입니다.

IP 220.*.208.117 1109 0

 

그곳에 가고 싶다~ 아산의 대표 힐링터

           

산들 낚시터

 

 

안녕하세요.

아산의 맑고 아름다운 산들낚시터입니다.

 

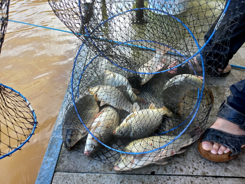
때 늦은 비가 한바탕 쏟아진 9 초 산들에도 정신이 없었습니다.

그래도 흙탕물이라도 고른 조황으로 손맛을 보시고 계십니다.

 

이 번 비로 좌대을 이동 했습니다. 아래 사진을 참고 하세요.

 

그리고 아산시에는 백신 접종후 14일이 지나신 분들은 집합 금지 모임에서 

제외 된다고 합니다.

 

(2회 접종자(모더나등)는 2회 모두 마친 후, 1회접종자(얀센)는 1회 접종 후 14일이후 부터 이용 가능.)

참조하시고 혹시 이용 하실 분들은 접종 증서및 핸드폰 앱 확인을 관리실에서 꼭 하셔야 가능합니다.

 

그리고 예약 문의 전화는 041)532-6980으로 해주세요. 꼭~~~~~~~~~요!!!

 

ps1. 7월13일부로 거리두기 2단계에 따라

특대형좌대 요금을 한시적으로 아래와 같이 운영합니다.

(통상) 5인기준 평일 170,000 ->(변경) 평일 4인기준 150,000

(통상) 5인기준 주말 200,000 ->(변경) 주말 4인기준 170,000

ps2. 코로나19의 영향으로 인해 

올해는 성수기 요금을 적용하지 않습니다.

ps3. 최근 발생한 낚시터 안전사고 예방을 위해

저희 낚시터에서는 주류 판매를 중단하였음을 알려드립니다.

ps4. 저희 낚시터는 쾌적한 환경 조성을 위해 서치사용을 금지함을 알려드립니다.

ps5. 낚시터 전지역에서의 숯불 사용을 금지합니다.

ps6. 좌대에는 반려동물을 데리고 들어가실 수 없습니다.

 

예약 문의는 041)532-6980으로 전화주세요.

감사합니다.

 

[꾸미기]+.jpeg

 

 

[꾸미기]1.jpeg

 

 

[꾸미기]2.jpeg

 

 

[꾸미기]3.jpeg

 

 

[꾸미기]4.jpeg

 

 

[꾸미기]5.jpeg

 

 

[꾸미기]6.jpeg

 

 

[꾸미기]7.jpeg

 

 

[꾸미기]8.jpeg

 

 

[꾸미기]9 (2).jpeg

 

 

[꾸미기]9.jpeg

 

 

[꾸미기]10.jpeg

 

 

[꾸미기]11.jpeg

 

 

[꾸미기]12.jpeg

 

 

[꾸미기]13.jpeg

 

 

[꾸미기]14.jpeg

 

 

[꾸미기]15.jpeg

 

 

[꾸미기]16.jpeg

 

 

[꾸미기]17.jpg

 

 

[꾸미기]18.jpg

맨 왼쪽 산 좌대-1.5m,  대3번-1.8m, 대2번-2m, 로 하류와 중류권 좌대를 산쪽을 옮겼습니다.

나머지는 그대로 입니다.

 

 


 

 

 

 

<낚시터정보>

 

 ● 위 치 : 충남 아산시 배방면 수철리 270-1 (네비게이션:산들낚시터)
● 전 화 : 010-8771-9988 / 041-532 -6980
● 교 통 : 대중교통
● 면 적 : 2만 5천 여 평
● 수 질 : 자연계곡수
● 어 종 : 떡붕어, 토종붕어, 수입붕어, 잉어,향어,메기
● 수 심 : 1.5~4m
● 미 끼 : 떡밥,지렁이 ,생미끼

 


● 수상좌대이용요금

 

  중형좌대(3인) : 주중 1인 부터  8만원 / 주말 2인 부터 10만원

       대형좌대(4인) : 주중 2인 부터 11만원 / 주말 3인 부터 13만원
       특대좌대(6인) : 주중 3인 부터 17만원 / 주말 5인 부터 20만원

       연안(연륙)좌대: 주중 1인 부터 8만원 / 주말 2인 부터 10만원

     * 금, 토와 공휴일 전일은 주말요금이 적용됩니다.

      *7월 15일~ 8월 15일 여름 성수기는 주말요금이 적용됩니다. 

     * 1인 추가 이용시 : 25,000원 별도

 

 
      
 
● 노지 및 잔교 이용요금
 
      손맛터 : 2만원(여성 및 미성년자 1만원)
      잡이터/노지: 3만원 (여성 및 미성년자 2만원)
 
   
 

 


● 부대시설 : 식당, 매점, 화장실, 주차시설 
● 영업시간 : 24시간

 

sandul_co_kr_20160809_163313.jpg

 

 

 

동교-56.jpg

 

이전글 없음
다음글 없음

댓글 0

page 1
  • 댓글이 없습니다.
댓글 작성은 로그인 후 가능합니다.

내용 하단 목록

전체 목록