본문바로가기

알아야할 두가지

IP 218.*.200.241 864 1

4월들어 소소하게 변하는 두가지입니다.

일단 독정은 가겨가던 안 가져가던 
낮낚시만 할 경우 3만원을 받습니다( 토요일은 제외)
낮낚시라함은 해가 떠있는 동안
그러니까 캐미를 꽂기 전까지임을 알려드립니다.

두번째는 
앞으로 독정의 붕어방류는 토종만 넣겠습니다
기존 수입붕어와 향붕어는 넣지 않음을 알려드리고요~
평택호가 낚시금지가 됐네요~
그런 연유로 독정의 붕어공급이 충분히 이뤄질 것으로 예상하는 바,
앞으로 토종만을 넣을 것을 약속합니다...

그래서 독정의 방류어종은 토종붕어 자연산잉어 그리고 향어 메기 장어가되겠습니다...

 

 

20220405_090325.jpg

 

 

20220405_090421.jpg

 

 

20220405_095133.jpg

 

날이 많이 따스해졌네요~~
낮낚시건 밤낚시건 할 만합니다..

20220405_085945.jpg

 

 

20220406_080022.jpg

 

대 끌고 가는 일이 종종일어납니다
주무실때는 대를 걷어놔 주십사 부탁드립니다.

20220406_101641.jpg

 

 

20220406_101934.jpg

 

 

20220406_102140.jpg

 

 

20220406_102714.jpg

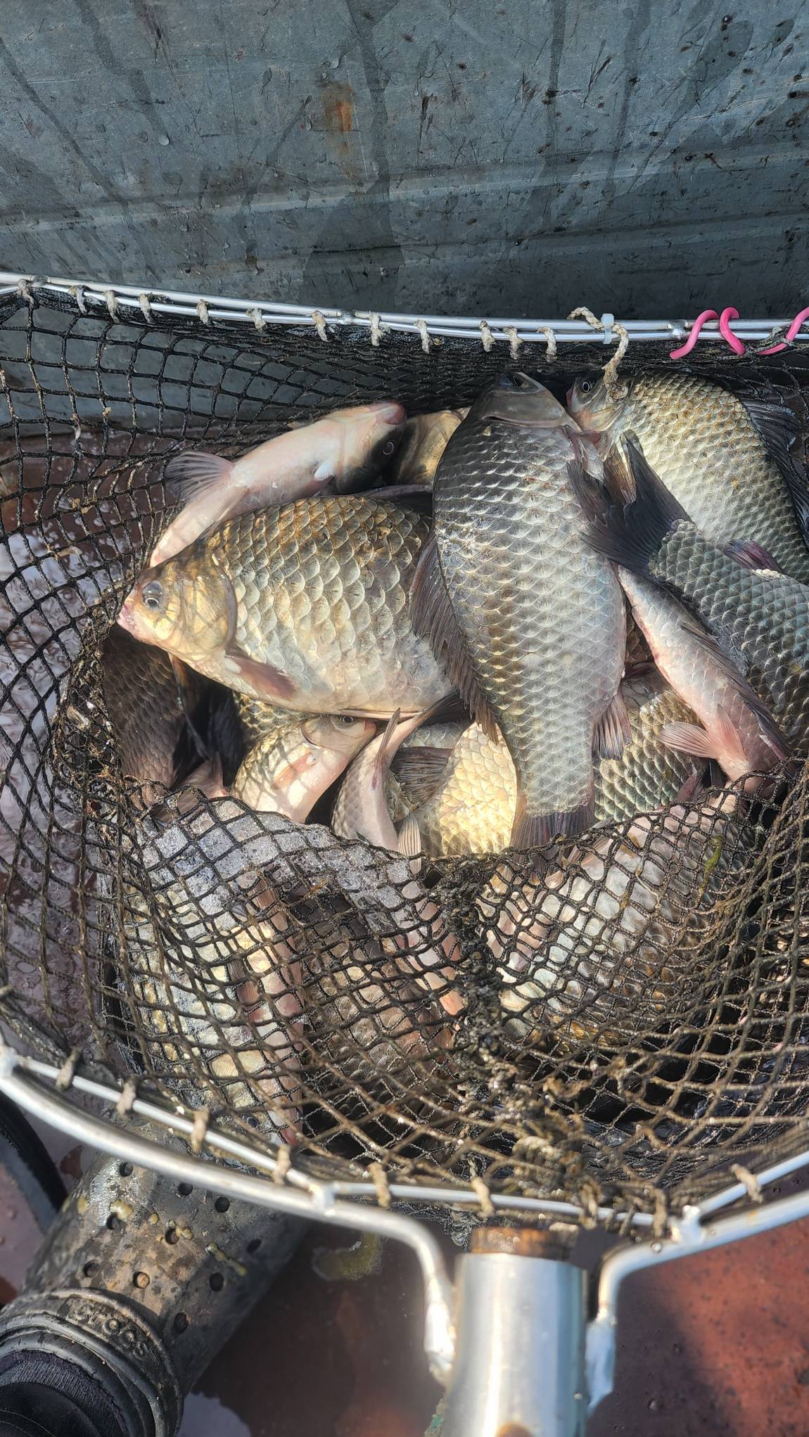
오늘 들어간 자연산 고기들....
자연산잉어와 
자연산 붕어
그리고 못생긴 저녀석은 이름을 모르겠네요~~

앞서 언급했듯
독정의 붕어방류는 토종만을 고집하겠습니다,,,

 

20220406_080321.jpg

어제는 조황이 그닥~~~
수시로 바뀌는 게 조황이니
오늘은 어제와 달라질 거라 믿어요~~

 

1647424042546.png

 

 

1648601879710.jpg

 

이전글 없음
다음글 없음

댓글 1

page 1
  • 살모사 · 04-06 13:15 · IP 223.*.242.143
    조황정보 잘보고 갑니다
댓글 작성은 로그인 후 가능합니다.

내용 하단 목록

전체 목록