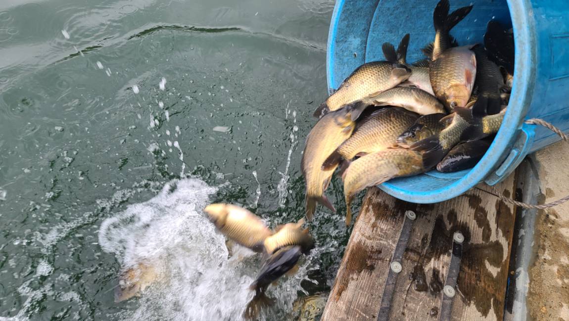
양평수곡낚시터 4월 세째주 조황 및 방류소식입니다 수곡낚시터 2023-04-20 12:41 IP 121.*.219.253 조회 14673 댓글 0 목록 글쓰기 공유하기 N 네이버 B 밴드 X X f 페이스북 메일 URL 복사 닫기 close 녹음이 짙어지는 양평 수곡 낚시터 4월 셋째주중 수곡낚시터 조황 금일 붕어방류 소식입니다 지난 일요일부터 주초에는 상.중.하류권 고르게 붕어들이 나와주었으나 어제는 저기압 때문인지 조황이 주춤하였네요 일부포인트들 낮시간 바닥 붕어들도 나와주며 짧은칸수 낚싯대 병행도 좋을듯합니다 오늘 붕어방류 완료하였으며 주말에도 방류 이어집니다 목록 글쓰기 이전글 없음 다음글 없음 댓글 0 page 1 댓글이 없습니다. 댓글 작성은 로그인 후 가능합니다. 댓글 첨부 업로드 대기 중 0% 댓글 첨부 업로드 대기 중 0% 내용 하단 목록 전체 목록 62014 마릿수, 송전지 송도좌대 조황. 푸릇한 온기가 산수에 스며들며 파닥파닥 산란중, 송전지 입니다. 완연하다 못 해 따가운 볕 아래 궤도에 오른 송전지 조황은 본 산란에 닿아 시즌 정점으로 치닫습니다. 극명해진 시간대는 낮>밤으로 나뉘며 따가운 볕에도 진득한 꾼의 진념이 결과물을 담보합니다. 회유를 거듭하며 날마다 편차를 둡니다. 다른 개체의 산란도 이을 듯 해 섣부른 집어의 폐해를 겪지 말아야 합니다. 따가운 볕을 가리는 용품, 긴 옷 등을 준비해 볕 가림에도 신경써야 합니다. 고맙습니다. 031-336-7313 송도좌대 | 04/15 07:21 | 조회 803 | 추천 0 62013 아침 한방에 끝냈다! 안녕하세요 송전지 오산집 평일 조황 정보 입니다., 봄 막판, 산란 폭발 직전 ~~지금이 진짜 타이밍 입니다. 깊은 수심, 갈대 +수몰나무 라인에서 아침 피크 안 한번 - 대물들이 미친 듯이 붙습니다. 이번 조과도 단번에 터졌습니다. 찌를 끝까지 밀어 올리는 폭발 적이 찌올림, 걸면 바로 허리 휘는 파워.... 손맛 찌맛 모두 끝판황 급 지금 송전지 오산집 낚시터 산란 특수 제대로 열렸습니다. 타이밍 놓치면 끝. 아침 한 타임에 승부 보는 사람만 가져갑니다. 자세한 조항문위 010-7114-8801 <img src="/bb 오산집 | 04/15 02:43 | 조회 4193 | 추천 0 62012 봉재낚시터 26년 4월 14일 화요일 조황 계속 날씨가 좋습니다. 오늘도 햇볕이 아주 좋네요. 기온도 높습니다 햇살 아래 있으면 여름 같네요. 바람이 살랑살랑 불어 그늘에서는 시원합니다. 조황은 걱정없습니다. 꾸준히 나오는 듯 합니다. 점점 대물 마릿수도 좋아지고 있네요. 오늘도 아산만에서 붕어들이 많이 들어왔습니다. 이제 본격적으로 많이 들어올 듯 합니다. 갑자기 초여름 같습니다. 그래도 밤기온은 15도 수준으로 서늘합니다. 외투는 꼭 챙기시기 바랍니ㅣ다. <a style="color: #000000; background-color: #f1c40f;" 봉재낚시터 | 04/15 02:34 | 조회 1990 | 추천 0 62011 송전지 미성좌대 조황정보 송전지 미성좌대 조황정보 몇일간 주춤했던 조황이 조금씩 오르고 있습니다. 산란 끝난 붕어와 아직 산란을 하지 않은 붕어가 섞여 있으니 지금부터 다시한번 기대를 걸어봅니다. 조황문의: 010-7900-4445 http://www.misungfish.com <img src="/bbs/data/file/fish_pay/img_818915470_20260 송전지미성좌대 | 04/15 01:48 | 조회 1476 | 추천 0 62010 충북 괴산 오가리낚시터 붕어 방류하였습니다. ★★★★안녕하세요★★★★ 괴산 오가리낚시터입니다. 항상 조사님의 좋은 손맛을 위해 꾸준한 방류와 깨끗한 오가리낚시터를 만들어가기위해 열심히 노력하겠습니다. ★조황문의,좌대예약★ 010-3648-0238 ☞☞ 오가리낚시터 오시는길 (구, 장연낚시터) ⊙ 충북 괴산군 장연면 오가리 569-8 (오가리낚시터) ⊙ 충북 괴산군 장연면 오가리 미선로 당아재길 43 ★ 네이버 검색 : 오가리 낚시터 ★ 오가리낚시터 | 04/14 23:15 | 조회 1732 | 추천 0 62009 4월14일 조황정보 성호낚시터. 이렇게 좋은날 친구들과 평일 2박3일은 국률. <img style="width: 1150px; height: 965px;" src="https://www.fishnet.co.kr/data/C050_16 성호낚시터 | 04/14 20:08 | 조회 2053 | 추천 0 62008 본격적인 봄시즌 양평 수곡낚시터 대물붕어 꾸준히 나와주고 있습니다 칠보산 자락 해발 120미터 중턱 반딧불이가 날고 오염원 없는 청정계곡수가 사철 유입되며 사계절 수려한 풍광속 봄시즌 붕어낚시 양평 힐링 수곡낚시터 수곡낚시터 펜션 OPEN 운영중 수상좌대마다 새로구비한 실리콘 살림망을 비치해두었으니 조사님들 활용하시기 바랍니다 노지 조사님들도 무상으로 살림망 대여해 드립니다 새봄맞이 4월 고객사은행사 실시 4월 1일 부터 4월 30일까지 수곡낚시터 대물붕어 행사를 실시하오니 많은 이용 바랍니다 봄냄새가 물씬 풍겨나는 산과들의 풍광이 멋스럽네요 지난주 비가내리기 전후 물색이 맑아져 조과 편차를 양평수곡낚시터 | 04/14 19:42 | 조회 2042 | 추천 0 62007 고삼지 주말 사짜조황입니다. 고삼저수지 주말 포근한 낮 날씨로 호조황 까지 보이며 조사님들의 손맛을 즐겁게 하고 있습니다. 봄 시즌 요즘 사짜붕어 손맛에 고삼저주지 상류권 포인트는 핫플레이스로 자리잡고 있습니다. 주말도 사짜붕어가 3마리가 나와주어 시즌 20.21.22번째 기록중에 있습니다. 주중 여유자리 많이 있습니다. 좋은 날씨가 이어지니 힐링낚시 하기시 바랍니다. 좌대문의 010 8375 2345 <img sr 고삼지양촌좌대 | 04/14 19:23 | 조회 3684 | 추천 0 62006 2026년 개장안내 및 조황소식 ▶ 개장일:2026년4월18일(토요일) 오전6시부터 ▶ 더 많은 소식은 http ://cafe.daum.net/swmfishing <img style="width: 1150px; height: 1529px;" src="https://www.fishne 산우물낚시터 | 04/14 19:18 | 조회 3544 | 추천 0 62005 ◐향기로운 계절에..◐ 위의 사진은 陳南斗 의 실물 사진이며 아래의 시쓴이 陳南斗 진남두도 실명입니다. 詩/陳南斗 아침에 일어나니 매화가 일만 구슬처럼 영롱하다. 萬古淸香(만고청향)이라 했던가. 부아산 골짜기에 피어오르는 그윽한 물 향기. 격조 높은 품위가 귀하기만 한데. <span style="color: #000000; font-size 제수리낚시터 | 04/14 17:55 | 조회 2228 | 추천 0 62004 아산죽산지4/14일 월요일 조황과 토종붕어 방류 기온이 오르면서 전지역에서 왕성한 입질을 보여 고른 조황을 보이고 좋아졌습니다 오후시간때 부터 밤낚시에 가장 활발한 입질을 보여 밤낚시을 꼭 하셔야 하며 토종붕어을 대량 방류을 시작 하면서 날마다 방류가 되고 있어 힘찬 손맛을 볼수 있도록 준비 하겠습니다 죽산지 | 04/14 17:18 | 조회 2349 | 추천 0 62003 송전지서/울/좌/대 / 4월14일조황 요즈음 기온차가심한가운데에도 대물들의움직임은 있습니다 붕어들의 식사로는 글르텐>지렁이>옥수수 입니다 산란을 준비하는 붕어들이 활발할때 손맛보러오세요~~ 자세한조황과예약문의 031-336-7207 010-2559-3743 서울좌대 | 04/14 16:07 | 조회 2579 | 추천 0 62002 볕 받아낸 허리급, 송전지 송도좌대 조황. 스산하고 앙상했던 산 세도 봄 볕 아래 채색된 송전지 입니다. 4월 초와는 확연히 다른 송전지의 풍광이 푸른빛을 발하기 시작해 산 세도 물 밑 세도 어느새 달라진 시간을 보게합니다. 오른 기온 만큼이나 다시 올라선 찌오름이 볕을 받아내며 덩어리를 상면케합니다. 여전히 몸치레를 한 녀석들과 할 녀석들이 먹이활동과 더불어 제 할 일에 나섭니다. 따가운 볕임에도 낮 조과에도 튼실함하고, 매끈함을 곱게 담아냅니다. 글루텐>>>지렁이>옥수수. 일정하게 유지되는 명확한 시간대를 지켜내야 합니다. 오른 밤 기온보다 더 오른 낮 기온입니다. 일교차에 유의해야 합니다. 고맙습니다. 031-336-7313 송전지 송도좌대 조황 및 이용안내 바로가기. 송도좌대 | 04/14 07:29 | 조회 3627 | 추천 0 62001 "" 해 뜨자마자 터졌다... 사짜 연타 적중!"" 안녕하세요 송전지 오산집 일요일 조황정보 입니다. 요즘 깊은 수심 포인트로 과감히 이동한 선택, 결과는 정확했습니다., 어둠이 걷히고 해가 수면을 비추는 순간 ~~~~기가리던 아침 피크타임 적중,, 잠잠하던 찌가 한 번에 치솟으면 묵직한 저항 ... 그리고 올라온 건 체고 빵빵한 사짜 붕어 2군데에서 1마리씩 연속 히트. 밤 늦은 시간은 입질이 거의 끊기는 흐름., 해뜨는 아침 시간대에는 완전히 다른 분위기.. 활성 붙은 붕어들이 길은 수심에서 확실하게 반응합니다. 지금은 타이밍만 맞추면 누구든 대물 손맛 볼 수 있는 상황. 포인트 선택+ 시간 공략 이 두 가지만 맟추면 오늘 같은 조과는 충분히 재현 가능합니다. 지금.아침 시간에 대물붕어 제대로 터지고 있습니다., 자세한 조항문위 010-7114-8801 <img src="/bbs/data/file/fish_pa 오산집 | 04/14 03:17 | 조회 6881 | 추천 0 62000 봉재낚시터 26년 4월 13일 월요일 조황 연일 기온이 많이 올랐습니다. 오늘은 27도까지 올랐네요. 지난주보다 10도이상 올라버려서 갑자기 여름이 된 느낌입니다. 어제 밤낚시 조황은 전반적으로 준수했습니다. 수온이 많이 올랐는지 가물치도 나오고 전반적으로 괜찮았습니다. 낮기온이 급격히 올라가면서 일교차가 벌어졌습니다. 밤에는 서늘하니 너무 낮만 생각하지 마시기 바랍니다. 봉재낚시터 홈페이지 바로가기 봉재낚시터 | 04/14 02:54 | 조회 3309 | 추천 0 61999 당진 가교리 낚시터 3월 13일 조황입니다 안녕하세요 지난 주 조황입니다 미국과 이란전쟁이 2주간 휴전을 하자 가교리 대형 붕어들 조사님 손에 놀아 납니다 날씨가 좋은편은 아니었지만 오신 조사님들 거의 손맛을 보신것 같습니다 가교리낚시터 조황이 쭈우욱 이어지길 기대합니다 문의 : 010~5342~3222 <img src="/bbs/data/file/fish_pay/img_186635640_20260413_1 가교리낚시터 | 04/13 21:47 | 조회 4420 | 추천 0 61998 주말 조황 성호낚시터 이천. 최고급형 방갈로좌대 이용은 홈페이지 또는 전화 예약후 언제나 이용 가능합니다. 5월 연휴 동안 근로자의날(5월1일) 어린이날(5월5일) 어버이날 평일요금으로 저렴하게 예약후 이용 가능하니 시설좋은 최고급형 방갈로좌대에서 부모 형제 가족들과 함께 하시기 바랍니다. 성호낚시터 홈페이지 바로가기 클릭=>> https://sunghoji.com/ 예약 출조문의 : 031 641 0616 / 010 3737 1527 성호낚시터 | 04/13 21:00 | 조회 6658 | 추천 0 61997 2026년 개장안내 및 조황소식 ▶ 개장일:2026년4월18일(토요일) 오전6시부터 ▶ 더 많은 소식은 http ://cafe.daum.net/swmfishing <img style="width: 1150px; height: 산우물낚시터 | 04/13 20:37 | 조회 4465 | 추천 0 61996 오목낚시터 4월13일 조황정보!! 안녕하세요~~~ 4월13일 월요일 오목낚시터 조황상황 공유합니다~~~ 주말에 날씨도 너무 좋았고 그날 그날 조과차이는 좀 나지만 대체적으로 많이들 잡으시는 것 같습니다~~ 초록나뭇잎이 하루가 다르게 푸른빛을 더해가고 수초들사이에서 물속 생명들의 산란하는 소리가 요란한 봄날이네요~~~ 조과 인증 사진 올려드립니다 새로운 한주 활기차게 보내세요~~~^^ 조황이나 좌대예약 문의 041 533 6315 <img class="photo" src="https://www.omokfishing.com/files/2026/04/13/8f1249ae4c96d2e75ad6f58f3c340df1101638.jpg" alt="" width="1000" alig 오목낚시터 | 04/13 19:23 | 조회 7190 | 추천 0 61995 어자원 조성을 윈한 방류및 조황~~!!-용인삼인낚시터- 안녕 하세요~~!! 수려한 풍광, 힘 좋은 토종붕어 낚시터, 힐링의 공간 (토종붕어터) 용인 삼인낚시터입니다 지나간 주는 날씨변화가 심했는데 이번주 부터는 낚시하시기에 날씨가 아주 좋습니다. 토종붕어 방류는 변함없이 계속 이루어 지고 있습니다. 그날 그날 차이는 있지만 씨알도 점점더 굵어지고 꾸준한 조황을 보이고 있습니다. 말풀 수초가 전체적으로 잘 형성되어 있어 낚시의 재미를 더하고 있습니다. 편하게 오셔서 원하시는 장소에 힘좋고 씨알좋은 토종붕어 손맛 보시기 바랍니다. 항상 건강 하시고 즐거운 하루 되세요~~!! 삼인낚시터는 바람을 많이 타지 않고 저녁이면 대부분 바람이 잦아들어 바람의 영향을 적게 받습니다. 또한 좌대시설 모두가 연안에서 걸어서 안전하게 이용하실수 있습니다. 바로 뒤에 주차하시고 언제든 편하게 오시고 가실수 있습니다. 서울 근교에 자리한 가까운 낚시터 입니다 산과 숲으로 둘러싸여 있어 녹조도 없어 물도 깨끗하고 풍광도 수려합니다. 조용하게 (토종붕어) 낚시도 즐기시며 산책도 하시고 자연과 함께 하실수 있습니다. ***궁금하신점 있으시면 전화로 문의 하시기 바랍니다~~!! 문의전화:031)332-6795,010-8379-9080 삼인낚시터   삼인낚시터 | 04/13 18:51 | 조회 4608 | 추천 0
댓글 0