본문바로가기

양평 수곡낚시터 11월 둘째주 주중반 조황 및 대호만 토종붕어 대량방류

IP 121.*.219.253 20428 1


                  

칠보산 기슭 해발 120미터 맑은 물과 청정한 공기,

반딧불이가 노니는 사계절 

수려한 풍광속 힐링 낚시 아지트

 가을 붕어낚시의 성지  양평낚시터 힐링 수곡낚시

 

 

[크기변환]그림1.png

 

 

 

1 수곡낚시터 메인4장합사진 글올릴때.jpg

 

Emotion IconEmotion IconEmotion Icon좌대내 최신형 난로가 비치되어 등유난로 대여 가능하며

노지부교도 난로대여 가능합니다Emotion IconEmotion IconEmotion Icon

 

등유난로대여.png

 

 

무릎가림막.png

 

 

슬라이드1.PNG

 

 

슬라이드2.PNG

 

 

슬라이드3.PNG

 

 

 

 

 

낚시터 자체 마릿수 시상 및 대물붕어 시상 행사중입니다

Emotion IconEmotion IconEmotion Icon많은 조사님들의 참여를 기다리고 있습니다Emotion IconEmotion IconEmotion Icon

 

대물붕어 마릿수 시상.png

 

 

애완동무.png 

 

 

양평 힐링 수곡낚시터  

11월 둘째주 주중반 조황 및 토종붕어 대량방류

 

어느듯 가을이 가고 

겨울의 시작을 알리는 입동...

기온변화가 심해서인지 

주중반 조황이 약간은 주춤한것 같네요..ㅠㅠ

포인트별 조황차이도 조금은 보였으며

시간대별로도 차이가 있었습니다

 

미끼운영은 어분..글루텐..생미끼 

조금씩 변화를 주면서 채비또한 변화를 주시면 

조금은 더좋은 손맛을 보실수 있을것 같습니다 

  

참고로 잔교는 3.2칸 좌대는3.6칸대 이하 가능하십니다

출조전 따뜻한 복장 꼭 챙겨오세요^_^~

 

  

좀더 따뜻한 낚시를 위하여 

좌대 및 잔교에 방한시설 설치 완료하였습니다

 

Emotion IconEmotion IconEmotion Icon대호만 토종붕어 대량방류 실시했습니다Emotion IconEmotion IconEmotion Icon

Emotion IconEmotion IconEmotion Icon주말 추가 붕어방류 예정입니다Emotion IconEmotion IconEmotion Icon

 

1 (1).jpg

 

 

1 (2).jpg

 

 

2 (1).jpg

 

 

2 (2).jpg

 

 

3 (1).jpg

 

 대물 토종붕어 손맛에 얼굴에는 미소가..ㅋㅋㅋ

축하드립니다

 

3 (2).jpg

 

 

3 (3).jpg

 

 

3 (4).jpg

 

 

3 (5).jpg

 

 

3 (7).jpg

 

 

3 (8).jpg

 

 

3 (9).jpg

 

 깊은 수심의 힘좋은 수곡낚시터의 붕어 손맛을 느껴보세요^_^~

 

3-1.jpg

 

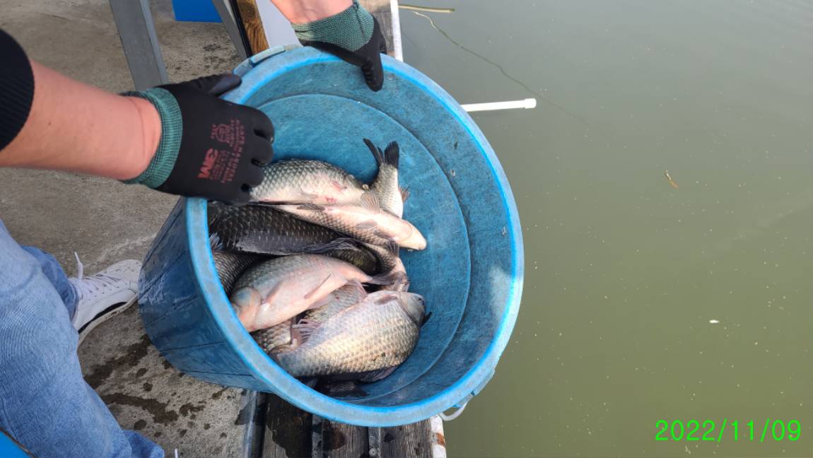
대호만 토종붕어 대량 방류하였습니다

토종붕어 대량 방류는 계속 실시예정입니다

 

[꾸미기]20221109_114359.jpg

 

 

[꾸미기]20221109_114450(0).jpg

 

 

[꾸미기]20221109_114451.jpg

 

 

[꾸미기]20221109_114454.jpg

 

 

[꾸미기]20221109_114525.jpg

 

 

[꾸미기]20221109_114554.jpg

 

 

[꾸미기]20221109_114744(0).jpg

 

 

[꾸미기]20221109_114745.jpg

 

 

[꾸미기]20221109_115052.jpg

 

 

[꾸미기]20221109_115100.jpg

 

씨알좋은 대호만 토종붕어들입니다

깊은 수심의 토종붕어의 멋진 찌올림과 손맛을 기대해 봅니다

 

[꾸미기]20221109_115246.jpg

 

 

[꾸미기]20221109_115452.jpg

 

 

[꾸미기]20221109_115456(0).jpg

 

 

[꾸미기]20221109_115457(0).jpg

 

 

[꾸미기]20221109_115906.jpg

 

 

[꾸미기]20221109_115907(0).jpg

 

 

[꾸미기]20221109_115907.jpg

 

 

[꾸미기]20221109_115908.jpg

 

 

사용자 지정 1.png

 

 

 

1 (1).jpg

 

 

1 (2).jpg

 

 

1 (3).jpg

 

 

1 (4).jpg

 

 

1 (5).jpg

 

 

1 (6).jpg

 

 

1 (7).jpg

 

 

1 (8).jpg

 

 

1 (9).jpg

 

 

1 (10).jpg

 

 바라보는것만으로도 힐링이되는 수곡낚시터 입니다

1-2 (1).jpg

 

 

1-2 (2).jpg

 

 

1-2 (3).jpg

 

 

1-2 (4).jpg

 

[ 수곡낚시터 펜션 ] 이용요금 및 시설 안내

 펜션 예약받습니다

 

애완동물은 동반입실 불가하오니 이용에 참고하시기 바랍니다

 

 

수세식화장실, 온수샤워장, 냉.난방, 침구, 식기일체, 인덕션렌지

숯불이용가능 야외 테이블등

가족,연인들과 함께 깨끗한 펜션 많은 이용바라며

낚시는 펜션앞 부교및 발판좌대 이용하시면 됩니다

 

 

자세한 사항은 아래 홈페이지 클릭하세요

 

 

 

★★펜션시설 및 이용안내 클릭!★★

 

 

사진 설명을 입력하세요.

 

 

 

 

 

쿠폰.png

 

 

2022인상요금표 (2).png

 

 

 

낚시터안내.png

 

 

1 수곡낚시터 메인4장합사진 글올릴때.jpg

 

#양평낚시터 #가을낚시터 #수도권낚시터 #펜션낚시터 #낚시터펜션 #낚시터추천 #수곡낚시터 #가을붕어낚시 #붕어낚시 #수도권낚시터 #경기도낚시터 #풍광좋은낚시터 #힐링낚시터 #겨울낚시터 #봄붕어낚시 #여름휴가낚시터 #피서낚시터 #가을낚시터추천 #봄낚시터추천 #여름낚시터추천 #겨울낚시터추천 #양평수곡낚시터 #힐링수곡낚시터 #경치좋은낚시터 #깨끗한낚시터 #서울근교낚시터 #낚시터강추 #붕어낚시터강추  

이전글 없음
다음글 없음

댓글 1

page 1
  • 수심쨩 · 11-10 10:00 · IP 211.*.188.196
    정보감사합니다
댓글 작성은 로그인 후 가능합니다.

내용 하단 목록

전체 목록