본문바로가기

양평 수곡낚시터 4월 셋째주 주말 조항 및 붕어방류

IP 175.*.153.224 5981 0

   칠보산 기슭 해발 120미터 맑은 물과 청정한 공기,

반딧불이가 노니는 수려한 풍광속 힐링 낚시 아지트

 사계절 물맑은 봄시즌 붕어낚시 힐링 양평 수곡낚시터

양평낚시터 수곡낚시터 4월 셋째주 주말

조황 및 붕어방류, 펜션 예약운영

 

 

 

 

[크기변환]그림1.png

 

 

 

KakaoTalk_20200705_125601069 - 복사본.jpg

 

 

 

KakaoTalk_20200705_125600924.jpg

 

 

물바가지.png

 

 

 

 변덕스러운 주말날씨에 붕어들도 

예민한걸까요?

약간은 변수가 많은 주말조황 이었습니다

 

포인트별 조황 차이는 있었지만

 보름달이 사라지는 늦은 시간대에 

입질이 살아나서 손맛들은 다들 보셨다고 합니다

 

아직까지는 아침 저녁 기온차에 

활성도가 완전한것 같아 보이지는 않지만

점차 조아질것으로 보입니다

 

낚시대도 짧은대, 장대 

병행해서 운영해보시고

먹이도 여러가지 사용해보시는것이

 조황에 좀더 도움이 될것같습니다

 

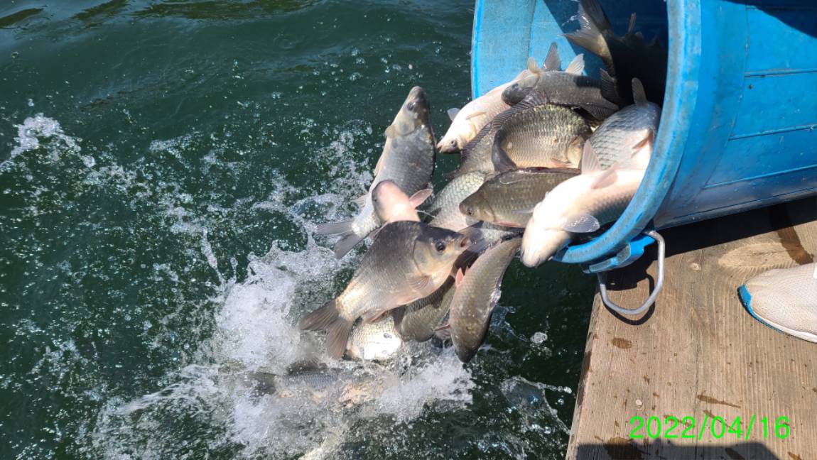
주말 붕어방류 실시 했습니다

 붕어방류 추가로 실시 예정입니다

 

 

3 (1).jpg

 

 

3 (2).jpg

 

 

3 (3).jpg

 

 

3 (4).jpg

씨알좋은 토종붕어들이 많이 나오네요

 

4 (1).jpg

 

 

4 (2).jpg

 

 

4 (3).jpg

 

 

5 (1).jpg

 

 

5 (2).jpg

 

 

5 (3).jpg

 

 

5-1 (1).jpg

 

 

5-1 (2).jpg

 

 

6 (1).jpg

 

 

6 (2).jpg

 

 

6 (3).jpg

 

 

7 (1).jpg

 

 

7 (2).jpg

 

 

7 (3).jpg

 

 

8 (1).jpg

 

 

8 (2).jpg

 

 

8 (3).jpg

 

 

10 (1).jpg

 

 

10 (2).jpg

 

 

10 (3).jpg

 

 

11.jpg

 

 

12 (1).jpg

 

 

12 (2).jpg

 

 

12 (3).jpg

 

 

13 (1).jpg

 

 

13 (2).jpg

 

 

13 (3).jpg

 

 

14 (1).jpg

 

힘좋은 붕어들로 주말 방류 실시 했습니다

 

꾸미_20220416_112713.jpg

 

 

꾸미_20220416_112739.jpg

 

 

꾸미_20220416_112825.jpg

 

 

꾸미_20220416_112828.jpg

 

 

꾸미_20220416_112829.jpg

 

 

꾸미_20220416_112830.jpg

 

 

꾸미_20220416_112831(0).jpg

 

 

꾸미_20220416_112831.jpg

 

 

꾸미_20220416_112959.jpg

 

 

꾸미_20220416_113000.jpg

 

 

꾸미_20220416_113001(0).jpg

 

 

꾸미_20220416_113001.jpg

 

 

꾸미_20220416_113002.jpg

 

 

꾸미_20220416_113133.jpg

 

 

꾸미_20220416_113134.jpg

 

 

꾸미_20220416_113135.jpg

 

 

꾸미_20220416_113418.jpg

 

 

꾸미_20220416_113419.jpg

 

 

꾸미_20220416_113420.jpg

 

 

꾸미_20220416_113421.jpg

 

 

이미지 2.png

 

벚꽃이 절정을 이루는 주말 힐링 수곡낚시터 

3 (1).jpg

 

 

3 (2).jpg

 

 

3 (3).jpg

 

 

3 (4).jpg

 

 

3 (5).jpg

 

 

3 (6).jpg

 

 

3 (7).jpg

 

 

3 (8).jpg

 

 

3 (9).jpg

 

 

3 (10).jpg

 

 

3 (11).jpg

 

 

3 (12).jpg

 

 

3 (13).jpg

 

 

3 (14).jpg

 

 

3 (15).jpg

 

 

3 (16).jpg

 

 

3 (17).jpg

 

 

3 (18).jpg

 

 

3 (19).jpg

 

 

3 (20).jpg

 

 

3 (21).jpg

 

 

3 (22).jpg

 

 

3 (23).jpg

 

 

3 (24).jpg

 

 

3 (25).jpg

 

 

3 (26).jpg

 

 

3 (27).jpg

 

 

3 (28).jpg

 

 

3 (29).jpg

 

 

3 (30).jpg

 

 

3 (31).jpg

 

 

3 (32).jpg

 

 

 [ 수곡낚시터 펜션 ] 이용요금 및 시설 안내

2022년 3월 25일 부터 펜션 예약받습니다

 

수세식화장실, 온수샤워장, 냉.난방, 침구, 식기일체, 인덕션렌지

숯불이용가능 야외 테이블등

가족,연인들과 함께 깨끗한 펜션 많은 이용바라며

낚시는 펜션앞 부교및 발판좌대 이용하시면 됩니다

 

 

자세한 사항은 아래 홈페이지 클릭하세요

 

 

 

★★펜션시설 및 이용안내 클릭!★★

 

 

사진 설명을 입력하세요.

 

 

 

 

펜션이용요금표.png

 

 

 

KakaoTalk_20200705_125601069 - 복사본.jpg 

[이 게시물은 운영자님에 의해 2022-04-21 12:11:43 유료터조행기에서 이동 되었습니다]
이전글 없음
다음글 없음

댓글 0

page 1
  • 댓글이 없습니다.
댓글 작성은 로그인 후 가능합니다.

내용 하단 목록

전체 목록