본문바로가기

양평 수곡낚시터 5월 셋째주 주말 붕어소식 및 방류

IP 175.*.153.224 11423 2

   칠보산 기슭 해발 120미터 맑은 물과 청정한 공기,

반딧불이가 노니는 수려한 풍광속 힐링 낚시 아지트

 사계절 물맑은 봄시즌 붕어낚시 힐링 양평 수곡낚시터

 

양평낚시터 수곡낚시터

 5월 셋째주 주말

 조황 및 붕어방류

 

 

 

 

[크기변환]그림1.png

 

 

 

KakaoTalk_20200705_125601069 - 복사본.jpg

 

 

 

KakaoTalk_20200705_125600924.jpg

 

 

물바가지.png 

 

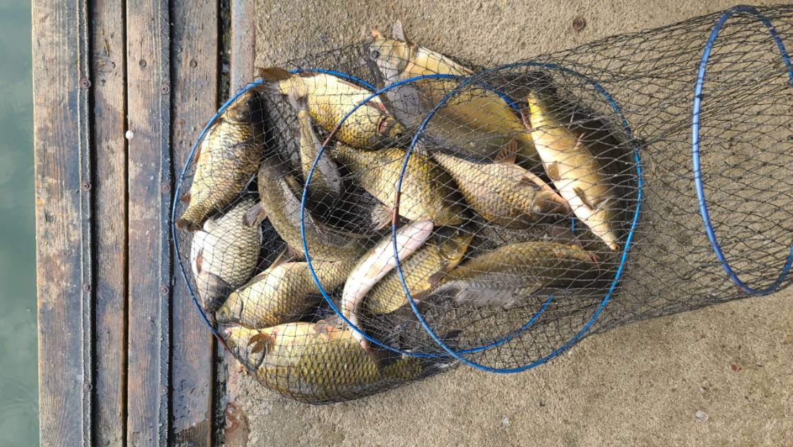
밤/낮 기온차가 심한 주말이었습니다

붕어들도 아는지 조항이 약간은 들쑥날쑥...

포인트별 편차가 있는 주말이었습니다

 

바닥 덩치들이 조사님들을

 울다웃다 하시게 합니다

눈 깜작할사이 낚시대가

슝~슝~

 

아직 까지는 초저녁부터 늦은 밤까지 

조황이 좋은편이지만 

최근 낮 입질도 조금씩은 좋아지고 있습니다

 

출조시 3.2칸대/짧은대를 준비해오셔서

여러가지 먹이운영과 대편성에 변화를 주시는것도

 조황에 도움이 될것 같습니다 

 

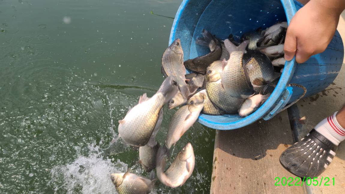
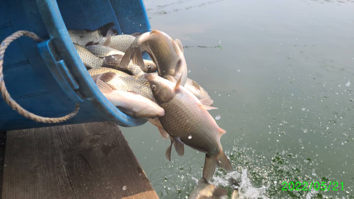
주말 붕어방류 실시 했습니다

이번주 주중 추가 붕어방류 예정입니다

 

 

1 (1).jpg

 

 

1 (2).jpg

 

 

1-1 (1).jpg

 

 

1-1 (2).jpg

 

 

2 (1).jpg

 

 

2 (2).jpg

 

 

2 (3).jpg

 

 

3 (1).jpg

 

 

3 (2).jpg

 

 

4 (1).jpg

 

 

4 (2).jpg

 

 

5.jpg

 

 

6.jpg

 

 

6-1.jpg

 

 

7.jpg

 

 

8.jpg

 

 

9.jpg

 

 

10.jpg

 

 

10-2.jpg

 

 

10-4 (1).jpg

 

 

10-4 (2).jpg

 

 

10-4 (3).jpg

 

 

11.jpg

 

 

12.jpg

 

 

13.jpg

 

 

꾸미_8 (1).jpg

 

 

꾸미_8 (2).jpg

 

 

꾸미_8 (3).jpg

 

 

꾸미_8 (4).jpg

 

 

꾸미_8 (5).jpg

 

 

꾸미_8 (6).jpg

 

 

꾸미_8 (7).jpg

 

 

꾸미_8 (8).jpg

 

 

꾸미_8 (9).jpg

 

 

꾸미_8 (10).jpg

 

 

꾸미_8 (11).jpg

 

 

꾸미_8 (12).jpg

 

 

꾸미_8 (13).jpg

 

 

꾸미_8 (14).jpg

 

 

꾸미_8 (15).jpg

 

 

이미지 1.png

 

 

8 (1).jpg

 

 

8 (2).jpg

 

 

8 (3).jpg

 

 

8 (4).jpg

 

 

8 (5).jpg

 

 

8 (6).jpg

 

 

8 (7).jpg

 

 

8 (8).jpg

 

 

8 (9).jpg

 

 

8 (10).jpg

 

 

8 (11).jpg

 

 

8 (12).jpg

 

 

8 (13).jpg

 

 

8 (14).jpg

 

 

8 (15).jpg

 

 

8 (16).jpg

 

 

8 (17).jpg

 

 

8 (18).jpg

 

 

8 (19).jpg

 

 

8 (20).jpg

 

 

8 (21).jpg

 

 

8 (22).jpg

 

 

 [ 수곡낚시터 펜션 ] 이용요금 및 시설 안내

2022년 3월 25일 부터 펜션 예약받습니다

 

수세식화장실, 온수샤워장, 냉.난방, 침구, 식기일체, 인덕션렌지

숯불이용가능 야외 테이블등

가족,연인들과 함께 깨끗한 펜션 많은 이용바라며

낚시는 펜션앞 부교및 발판좌대 이용하시면 됩니다

 

 

자세한 사항은 아래 홈페이지 클릭하세요

 

 

 

★★펜션시설 및 이용안내 클릭!★★

 

 

사진 설명을 입력하세요.

 

 

 

 

펜션이용요금표.png

 

 

 

KakaoTalk_20200705_125601069 - 복사본.jpg

 

이전글 없음
다음글 없음

댓글 2

page 1
  • 수심쨩 · 05-23 19:34 · IP 223.*.40.20
    정보감사합니다
  • 살모사 · 05-24 16:39 · IP 223.*.247.59
    조황 잘보고 갑니다
댓글 작성은 로그인 후 가능합니다.

내용 하단 목록

전체 목록