본문바로가기

양평 힐링 수곡나낚시터 8월 셋째주 주말 붕어소식~

IP 121.*.219.253 6640 1

                 

 

칠보산 기슭 해발 120미터 맑은 물과 청정한 공기,

반딧불이가 노니는 수려한 풍광속 힐링 낚시 아지트

 여름휴가 피서 붕어낚시 힐링 양평 수곡낚시터

 

 

양평낚시터 수곡낚시터

 

 7월에 이어서 8월에도 군계일학과의 만남 시상과

 

매주 주간베스트 시상도 신설하여 선물을 드리며

 

  8월1일부터 말일까지 군계일학 마릿수 최대시상과

 

대물붕어 와 마릿수 자체 시상 병행합니다 

 

 

~많은 조사님들의 도전을 기다립니다~

 

 

 

[크기변환]그림1.png

 

 

 

1 수곡낚시터 메인4장합사진 글올릴때.jpg

 

 

 

애완동무.png 

 

 

 

8월 셋째주 주말

 양평 수곡낚시터 조황 및 붕어방류 

 

 

한차례 비가 또 지나가고  

맑은 날씨가 이어지고 있습니다

주말 많은 조사님등이 

낚시터를 찾아주셨습니다...감사드립니다

 

포인트 및 시간대별로 조과차이는 있었지만 

전체적으로 골고루 나온 주말이었네요~

 

먹이운영은 어분계열 위주로 많이 사용하셨으며 

외바늘 채비에 멋진 찌올림을 많이 보셨다고 합니다

여러가지 먹이 운영과 

채비 변화가 조과에 도움이 될것같습니다

 

8월 셋째주 "군계일학과 낚시터의 만남"주간베스트는

79마리로 "양조사"님께서 선정 되셨습니다..축하드립니다

주간베스트 선물은 차후 증정해드겟습니다

 

금일부터 말일까지

 8월 넷째주 주간베스트선정 및 월간베스트 선정 

실시 예정입니다

 

8월22일 현재 월간베스트는

 79마리로 "양조사"님이 선두십니다 

-많은 조사님들의 도전을 기다립니다 -

 

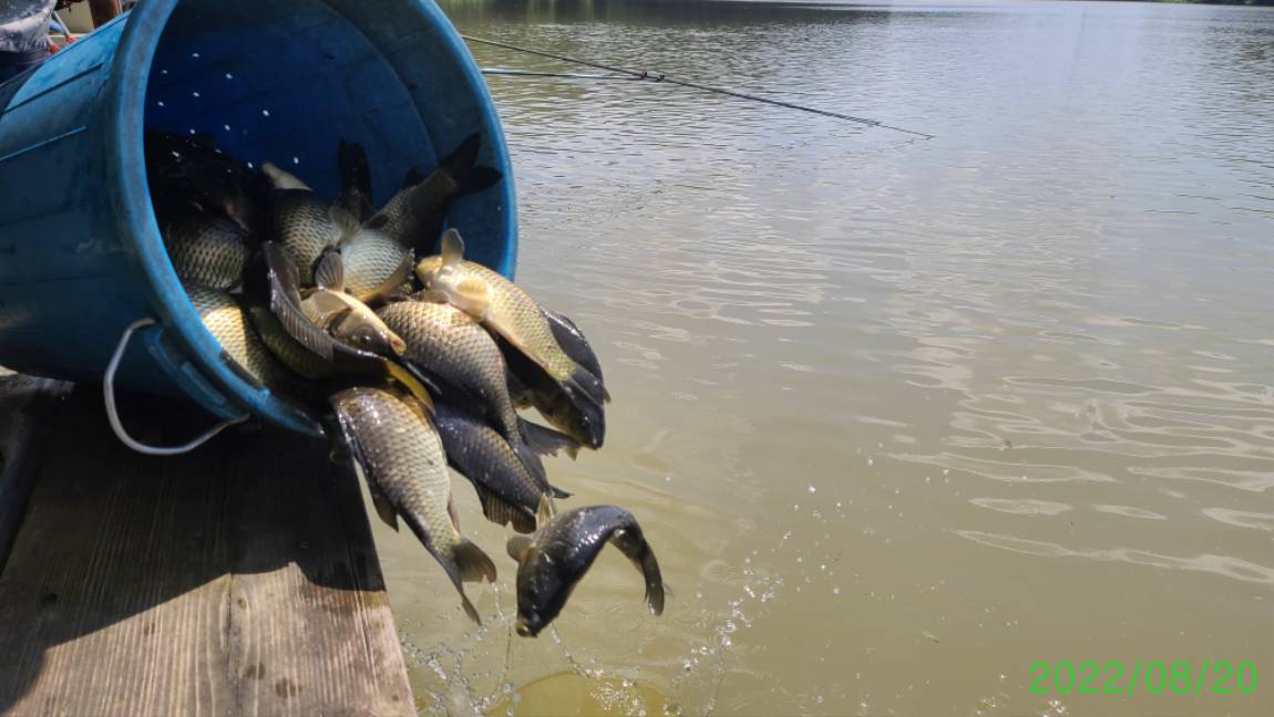
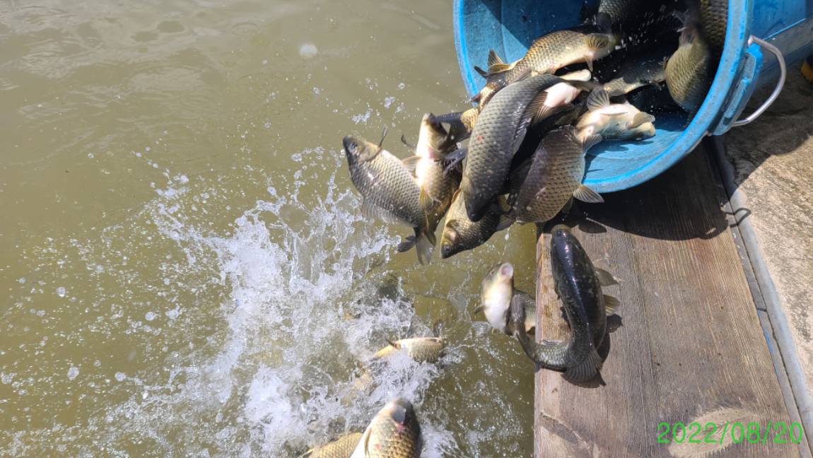
금요일 붕어 방류에 이어서 토요일 추가 붕어방류 실시 했습니다

 

 

 8/20현재 월간 최대마릿수는 79마리 입니다

8월 3주차 주간베스트는 금일부터 말일까지 새로 시작됩니다

 

 

군계일학 마릿수 시상2.jpg

 

 

낚시터 자체시상도 병행 실시중이니

많은 참여바랍니다

 

대물붕어 마릿수 시상.png

 

 

 

1 (1).jpg

 

 

1 (2).jpg

 

 

1 (3).jpg

 

 

1 (4).jpg

 

 

2 (1).jpg

 

 

2 (2).jpg

 

 

2 (3).jpg

 

 

2 (4).jpg

 

 

2 (5).jpg

 

 

2 (6).jpg

 

 

2 (7).jpg

 

 

2 (8).jpg

 

 

2 (9).jpg

 

 

2 (10).jpg

 

 

2 (11).jpg

 

 

3.jpg

 

 

5 (1).jpg

 

 

5 (2).jpg

 

 

5 (3).jpg

 

 

5 (4).jpg

 

 

5 (5).jpg

 

 

5 (6).jpg

 

 

5 (7).jpg

 

 

5 (8).jpg

 

 

5 (9).jpg

 

 

5 (10).jpg

 

 

5 (11).jpg

 

 

5 (12).jpg

 

 

5 (13).jpg

 

 

5 (14).jpg

 

 

5 (15).jpg

 

 

5-3 (1).jpg

 

토요일 붕어 추가방류 실시 했습니다

 

[꾸미기]20220820_121957.jpg

 

 

[꾸미기]20220820_122003(0).jpg

 

 

[꾸미기]20220820_122004(0).jpg

 

 

[꾸미기]20220820_122005(0).jpg

 

 

[꾸미기]20220820_122129.jpg

 

 

[꾸미기]20220820_122130.jpg

 

 

[꾸미기]20220820_122132.jpg

 

 

[꾸미기]20220820_122308(0).jpg

 

 

[꾸미기]20220820_122504(0).jpg

 

 

[꾸미기]20220820_122504.jpg

 

 

[꾸미기]20220820_122505.jpg

 

 

사용자 지정 1.png

 

 

0 (1).jpg

 

 

0 (2).jpg

 

 

0 (3).jpg

 

 

0 (4).jpg

 

 

0 (5).jpg

 

 

0 (6).jpg

 

 

0 (7).jpg

 

 

0 (8).jpg

 

 

0 (9).jpg

 

 

0 (10).jpg

 

 

0 (11).jpg

 

 

0 (12).jpg

 

 [ 수곡낚시터 펜션 ] 이용요금 및 시설 안내

 펜션 예약받습니다

 

애완동물은 동반입실 불가하오니 이용에 참고하시기 바랍니다

 

 

수세식화장실, 온수샤워장, 냉.난방, 침구, 식기일체, 인덕션렌지

숯불이용가능 야외 테이블등

가족,연인들과 함께 깨끗한 펜션 많은 이용바라며

낚시는 펜션앞 부교및 발판좌대 이용하시면 됩니다

 

 

자세한 사항은 아래 홈페이지 클릭하세요

 

 

 

★★펜션시설 및 이용안내 클릭!★★

 

 

사진 설명을 입력하세요.

 

 

 

 

 

쿠폰.png

 

 

2022인상요금표 (2).png

 

 

 

1 수곡낚시터 메인4장합사진 글올릴때.jpg

 

이전글 없음
다음글 없음

댓글 1

page 1
  • 수심쨩 · 08-22 13:01 · IP 223.*.56.41
    정보감사합니다 잘보고갑니다 ^^
댓글 작성은 로그인 후 가능합니다.

내용 하단 목록

전체 목록