본문바로가기

양평 힐링 수곡낚시터 살아나는 3월넷째주 주초 조황~펜션 운영 시작합니다

IP 175.*.153.224 740 2

칠보산 기슭 해발 120미터 맑은 물과 청정한 공기,

반딧불이가 노니는 수려한 풍광속 힐링 낚시 아지트

 사계절 물맑은 봄시즌 붕어낚시 힐링 양평 수곡낚시터

 

3월 넷째주 주초 조황 씨알과 마릿수 늘어납니다

 

KakaoTalk_20200705_125601069 - 복사본.jpg

 

 

 

KakaoTalk_20200705_125600924.jpg

 

 

난로대여.png

 

 

Emotion Icon수곡낚시터 및 펜션 이용안내 클릭!Emotion Icon

 

 

마스크 필히 지참 바랍니다

 

 식당 정상운영합니다 

 

약간은 쌀쌀하고 흐린 주말이 

지나고 다시 따뜻한 날씨가

 이어지고 있습니다

]

밤으로는 쌀쌀한감이 있지만

 붕어들 활동에는 큰 영향을 

주지 않는것 같네요

 

몇일 낮 조황은

 약간의 차이가 있었지만

 밤조황은 대체로 잘나오는 상황인것 같습니다

 

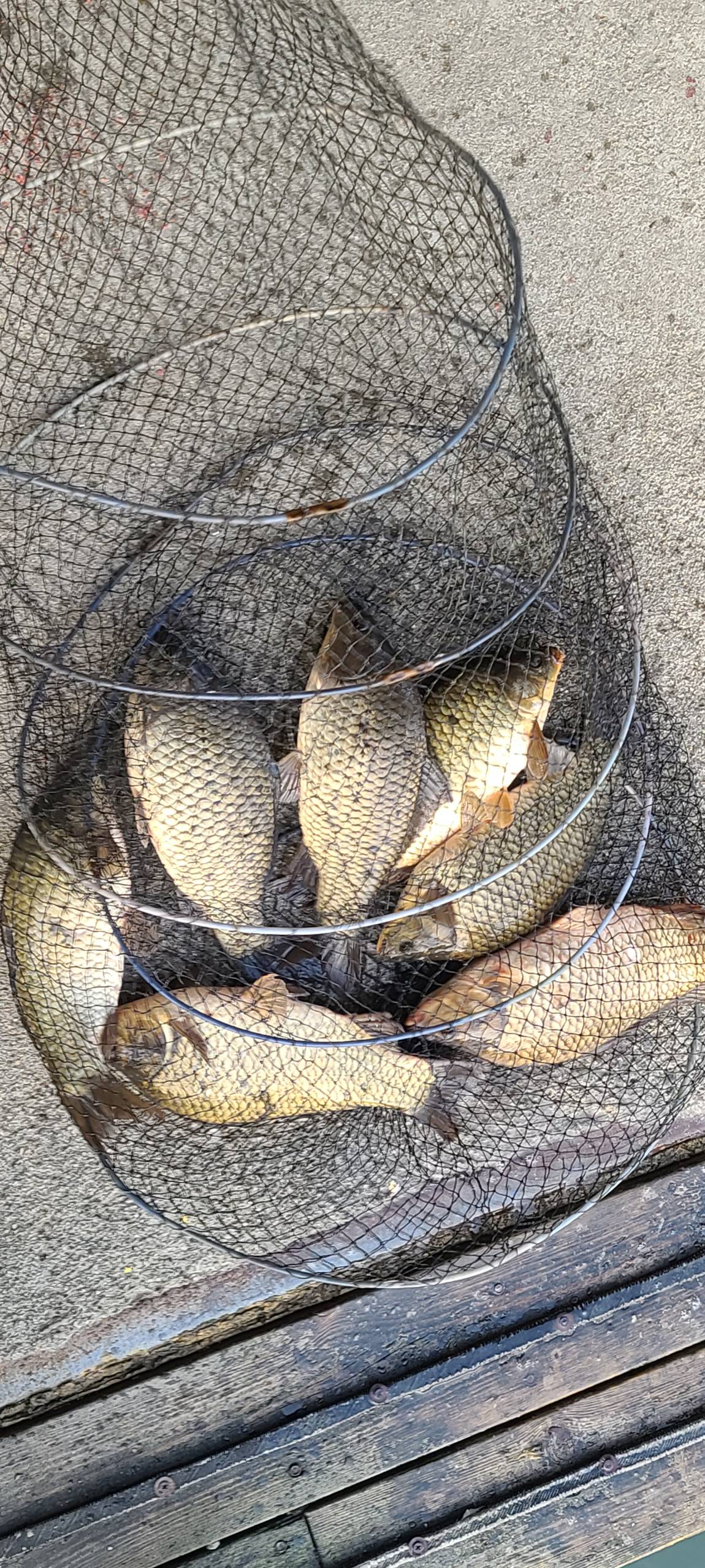
토종붕어들도 꾸준히 얼굴을 보이고 있으며

밤낚시에 월척급 이상의 씨알좋은 

붕어들의 모습이 많이 보이고 있습니다 

 

찌올림도 좋은 편입니다

좌대와 잔교 모두 전반적으로 조황이 

좋은편이만 밤조황은 

수심이 깊은곳이 좋은 편인것같습니다

 

붕어방류는 꾸주히 이어갑니다

 

 

1 (1).jpg

 

 

1 (2).jpg

 

 

1 (3).jpg

 

 

1 (4).jpg

 

 

 

1 (5).jpg

 

 

1 (6).jpg

 

잔교에도 좋은 조황을 보이고 있습니다

 

8 (3).jpg

 

 

9-1 (1).jpg

 

 

9-1 (2).jpg

 

 

10 (1).jpg

 

 

10 (2).jpg

 

 

10 (3).jpg

 

씨알좋은 붕어들이 손맛을 더해주네요 

 

10 (4).jpg

 

 

10 (5).jpg

 

 

10 (6).jpg

 

 

11 (1).jpg

 

 

11 (2).jpg

 

 

11 (3).jpg

 

 

11 (4).jpg

 

 

11 (5).jpg

 

 

12 (1).jpg

 

 

12 (2).jpg

 

 

12 (3).jpg

 

 

12 (4).jpg

 

 

14 (1).jpg

 

 

14 (2).jpg

 

 

14 (3).jpg

 

 

15 (1).jpg

 

 

15 (2).jpg

 

 

16 (1).jpg

 

 

16 (2).jpg

 

 

16 (3).jpg

 

8 (1).jpg

 

 

8 (2).jpg

 

 

8 (3).jpg

 

 

8 (4).jpg

 

8 (5).jpg

 

 

8 (6).jpg

 

 

8 (7).jpg

 

 

8 (8).jpg

 

 

8 (9).jpg

 

 

8 (10).jpg

 

 

8 (11).jpg

 

 

8 (12).jpg

 

 

8 (13).jpg

 

 

 

 

 

8 (15).jpg

 

 낮 조황도 점차 살아나고 있네요

 

8 (16).jpg

 

 

도약2022년요금표2.png

 

 

KakaoTalk_20200705_125600924.jpg

 

 

 

[크기변환]입어료인상안내.jpg

 

 



[ 수곡낚시터 펜션 ] 이용요금 및 시설 안내

2022년 3월 25일 부터 펜션 예약받습니다

 

수세식화장실, 온수샤워장, 냉.난방, 침구, 식기일체, 인덕션렌지

숯불이용가능 야외 테이블등

가족,연인들과 함께 깨끗한 펜션 많은 이용바라며

낚시는 펜션앞 부교및 발판좌대 이용하시면 됩니다

 

 

자세한 사항은 아래 홈페이지 클릭하세요

 

 

 

★★펜션시설 및 이용안내 클릭!★★

 

 

사진 설명을 입력하세요.

 

 

 

 

펜션이용요금표.png

 

 

 

KakaoTalk_20200705_125601069 - 복사본.jpg

   

이전글 없음
다음글 없음

댓글 2

page 1
  • 살모사 · 03-22 15:25 · IP 223.*.241.25
    붕어구경 잘하고 갑니다
  • 수심쨩 · 03-22 19:25 · IP 223.*.244.175
    잘보고갑니다
댓글 작성은 로그인 후 가능합니다.

내용 하단 목록

전체 목록