본문바로가기

양평 힐링 수곡낚시터 3월 넷째주 주중반 조황 및 펜션 예약운영 안내

IP 175.*.153.224 634 1

칠보산 기슭 해발 120미터 맑은 물과 청정한 공기,

반딧불이가 노니는 수려한 풍광속 힐링 낚시 아지트

 사계절 물맑은 봄시즌 붕어낚시 힐링 양평 수곡낚시터

 

3월 넷째주 주중반 붕어들 소식 및

펜션 예약운영  안내

 

 

 

 

[크기변환]그림1.png

 

 

 

KakaoTalk_20200705_125601069 - 복사본.jpg

 

 

 

KakaoTalk_20200705_125600924.jpg

 

 

난로대여.png

 

 

 

마스크 필히 지참 바랍니다

 

 식당 정상운영합니다 

 

최근 날씨가 흐린가운데도

붕어들 움직임은 나쁘지 않은듯 하며

그날그날 조과차이 기복은 있겠습니다

 

낮시간 입질빈도도 점차 늘어나고 있으며

대체로 밤시간대 조황이 좋은것 같습니다

 

그날그날 날씨에 따라 다소 차이는 있으나

어분,섬유질계열,동물성 미끼등 

구분없이 골고루 입질하는것 같습니다

 

낚시대 칸수도 짧은대를 병행 운용하는

것도 조과에 도움이 될듯하네요

 

이번주말도 붕어방류하며 꾸준히

붕어방류량을 늘려가고 있습니다

 

 

6 (1).jpg

 

 

6 (2).jpg

 

 

6 (3).jpg

 

 

6 (4).jpg

 

 

6 (5).jpg

 

 

6 (6).jpg

 

 

6 (7).jpg

 

 

7 (1).jpg

 

 

7 (3).jpg

 

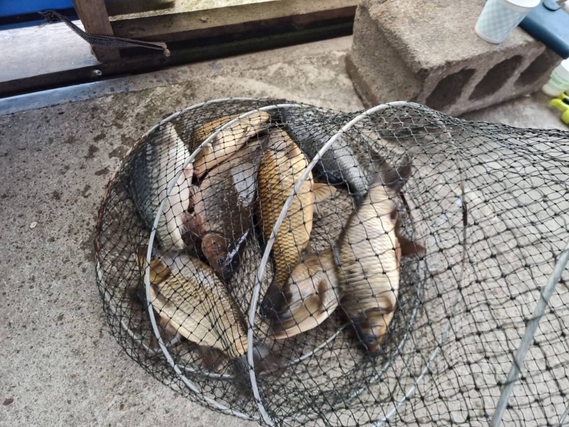
봄붕어들 씨알이 준수하고 당길힘 좋습니다

 

7 (4).jpg

 

 

7 (5).jpg

 

 

8 (1).jpg

 

 

8 (2).jpg

 

 

8 (3).jpg

 

 

9 (1).jpg

 

 

9 (2).jpg

 

 

 

 

 

10 (1).jpg

 

 

10 (2).jpg

 

 

10 (3).jpg

 

 

10 (4).jpg

 

 

10 (5).jpg

 

 

10 (6).jpg

 

 

10 (7).jpg

 

 

10 (8).jpg

 

 

10 (9).jpg

 

 

10 (10).jpg

 

 

10 (11).jpg

 

멋진 토종붕어들도 함께 나와주고 있습니다

 

11 (1).jpg

 

 

11 (2).jpg

 

 

11 (3).jpg

 

 

11 (4).jpg

 

 

8 (1).jpg

 

 

8 (2).jpg

 

 

8 (3).jpg

 

 

8 (4).jpg

 

 

8 (5).jpg

 

 

8 (6).jpg

 

 

8 (7).jpg

 

 

8 (8).jpg

 

 

8 (9).jpg

 

 

8 (10).jpg

 

 

8 (11).jpg

 

 

8 (12).jpg

 

 

8 (13).jpg

 

 

8 (14).jpg

 

 

8 (15).jpg

 

 

8 (16).jpg

 

 

8 (17).jpg

 

 

8 (18).jpg

 

 

8 (19).jpg

 

 

8 (20).jpg

 

 

8 (21).jpg

 

 

8 (22).jpg

 

 

8 (23).jpg

 

 

8 (24).jpg

 

낮시간대도 붕어들 입질이 좋네요

 

8 (25).jpg

 

 

8 (26).jpg

 

 

 

 

 

8 (28).jpg

 

 

 

도약2022년요금표2.png

 

 

KakaoTalk_20200705_125600924.jpg

 

 

 

[크기변환]입어료인상안내.jpg

 

 



[ 수곡낚시터 펜션 ] 이용요금 및 시설 안내

2022년 3월 25일 부터 펜션 예약받습니다

 

수세식화장실, 온수샤워장, 냉.난방, 침구, 식기일체, 인덕션렌지

숯불이용가능 야외 테이블등

가족,연인들과 함께 깨끗한 펜션 많은 이용바라며

낚시는 펜션앞 부교및 발판좌대 이용하시면 됩니다

 

 

자세한 사항은 아래 홈페이지 클릭하세요

 

 

 

★★펜션시설 및 이용안내 클릭!★★

 

 

사진 설명을 입력하세요.

 

 

 

 

펜션이용요금표.png

 

 

 

KakaoTalk_20200705_125601069 - 복사본.jpg

    

 

이전글 없음
다음글 없음

댓글 1

page 1
  • 살모사 · 03-24 14:08 · IP 223.*.242.82
    잘보고 갑니다
댓글 작성은 로그인 후 가능합니다.

내용 하단 목록

전체 목록