본문바로가기

양평 힐링 수곡낚시터 3월 2째주 주중 및 주말조황

IP 175.*.153.224 593 2

칠보산 기슭 해발 120미터 맑은 물과 청정한 공기,

반딧불이가 노니는 수려한 풍광속 힐링 낚시 아지트

 사계절 물맑은 봄시즌 붕어낚시 힐링 양평 수곡낚시터

 

 

KakaoTalk_20200705_125601069 - 복사본.jpg

 

 

Emotion Icon수곡낚시터 및 펜션 이용안내 클릭!Emotion Icon

 

 

마스크 필히 지참 바랍니다

 

 

 

 

  식당 정상운영합니다

 

 

기온이 올라가면서 봄기운이 완연한가

싶더니 일요일 비가 내리기전 토요일에

대체로 흐린날씨에 기대만큼 조과는 아니었습니다

 

지난주초 붕어마릿수가 늘어나기에

주후반과 주말 기대를 모았으나 아직은

마릿수조과 차이에 기복이 있네요

 

꾸준히 기온이 올라가면서 그에따라

수온도 꾸준히 오르고 있기에

봄시즌 튼실한 붕어들의 활약을 기대해보겠습니다

 

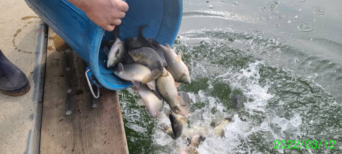
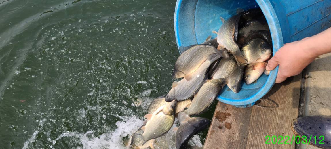
주말에도 붕어방류 완료하였으며

이번주부터는 꾸준히 붕어방류량을 늘려갑니다

 

 

 

 

3.jpg

 

 

3-1.jpg

 

 

3-2.jpg

 

본격적인 산란기미는 아직 없기에

주 입질시간대와 마릿수 차이가 나네요

 

 

 

5 (2).jpg

 

 

5.jpg

 

 

3-3.jpg

 

 

3-4.jpg

 

 

4.jpg

 

 

8 (1).jpg

 

 

붕어 마릿수 기복은 있으나 이쁜 토종붕어들이

함께 섞여서 나와주고 있네요

 

8 (2).jpg

 

 

8 (3).jpg

 

 

8 (4).jpg

 

 

8 (7).jpg

 

 

8 (8).jpg

 

 

8 (10).jpg

 

 

8 (11).jpg

 

 

8 (18).jpg

 

 

8 (19).jpg

 

 

주말 붕어방류 완료하였습니다

 

꾸미_8 (1).jpg

 

 

꾸미_8 (2).jpg

 

 

꾸미_8 (3).jpg

 

 

꾸미_8 (4).jpg

 

 

꾸미_8 (5).jpg

 

 

꾸미_8 (6).jpg

 

 

꾸미_8 (7).jpg

 

 

꾸미_8 (8).jpg

 

 

꾸미_8 (9).jpg

 

 

꾸미_8 (10).jpg

 

 

꾸미_8 (11).jpg

 

 

꾸미_8 (12).jpg

 

 

꾸미_8 (13).jpg

 

 

꾸미_8 (14).jpg

 

 

꾸미_8 (15).jpg

 

 

꾸미_8 (16).jpg

 

 

이미지 1.png

 

 

8 (1).jpg

 

 

8 (2).jpg

 

 

8 (3).jpg

 

 

8 (4).jpg

 

 

8 (5).jpg

 

 

8 (6).jpg

 

 

8 (7).jpg

 

 

8 (8).jpg

 

 

8 (9).jpg

 

 

8 (10).jpg

 

 

8 (11).jpg

 

 

8 (12).jpg

 

 

8 (13).jpg

 

 

8 (14).jpg

 

 

8 (15).jpg

 

 

8 (16).jpg

 

 

 

 

 

8 (18).jpg

 

 

8 (19).jpg

중하류권 수상좌대 일부는

상류 지역으로 이동 배치 했습니다

 

 

 

도약2022년요금표2.png

 

 

입어료인상안내.jpg

 

 

KakaoTalk_20200705_125600924.jpg

 

 

KakaoTalk_20200705_125601069 - 복사본.jpg

 

 

이전글 없음
다음글 없음

댓글 2

page 1
  • 살모사 · 03-14 17:20 · IP 223.*.232.66
    잘보고갑니다
  • 수심쨩 · 03-15 06:41 · IP 223.*.42.132
    정보감사합니다 잘보고갑니다
댓글 작성은 로그인 후 가능합니다.

내용 하단 목록

전체 목록