본문바로가기

양평 힐링 수곡낚시터 6월 둘째주 주후반 조항 및 붕어방류

IP 175.*.153.224 13133 1

 칠보산 기슭 해발 120미터 맑은 물과 청정한 공기,

반딧불이가 노니는 수려한 풍광속 힐링 낚시 아지트

 사계절 물맑은 봄시즌 붕어낚시 힐링 양평 수곡낚시터

 

양평낚시터 수곡낚시터

6월 둘째주 주후반 

조황 및 붕어방류

 

 

 

 

[크기변환]그림1.png

 

 

 

KakaoTalk_20200705_125601069 - 복사본.jpg

 

 

 

KakaoTalk_20200705_125600924.jpg

 

 

애완동물 동반 절대 금지

좌대실내 고기굽기,흡연 절대금지 하오며

적발시 강제 퇴실조치 하겠습니다

 

 

취사금지 애완동물금지.png 

 

 

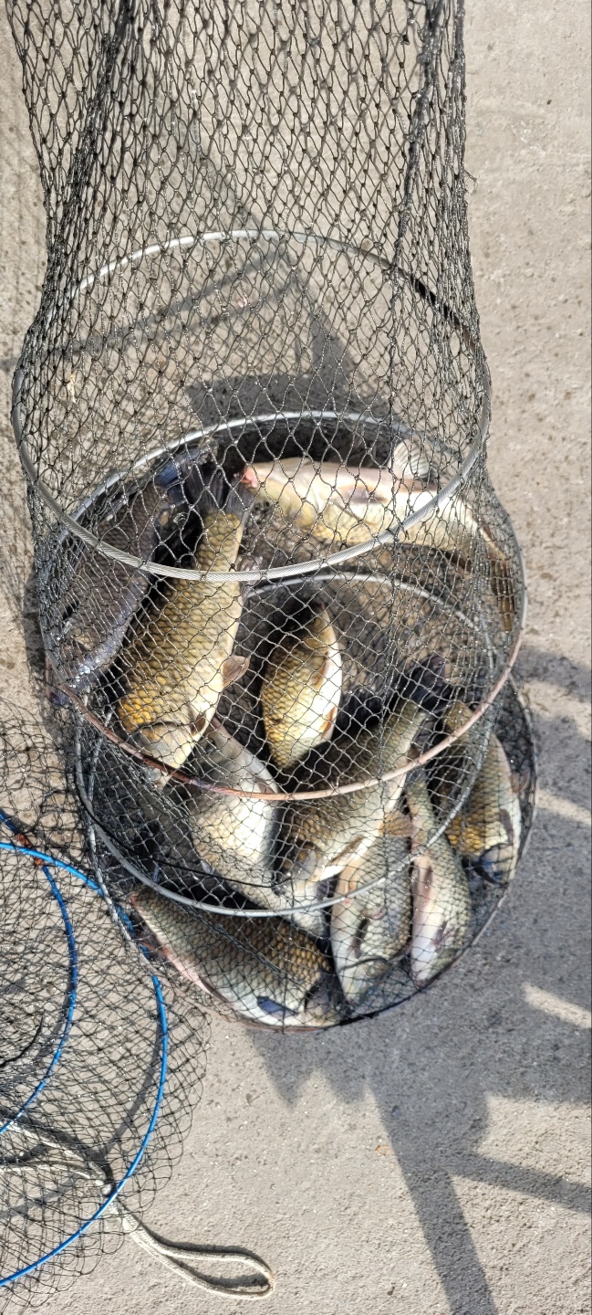
낮시간대에 대물 붕어들이 

한눈판 사이 낚시대를 ??~ㅠㅠ

원줄도 핑~핑

붕어 손맛이 짱입니다..

 

약간의 조황차는 있지만 

씨알좋은 붕어들 얼굴을

많은 조사님들이 보시네요 

 

어분계열 미끼가 조황에 좋은 편입니다

 

 오늘 추가 붕어방류 실시 합니다

 

1 (1).jpg

 

 

1 (2).jpg

 

 

1 (3).jpg

 

 

2 (1).jpg

 

 

2 (2).jpg

 

 

3 (1).jpg

 

 

3 (5).jpg

 

 

20220610_071651.jpg

 

 

20220610_071657.jpg

 

 

20220610_071919.jpg

 

 

1654915980538-0.jpg

 

 

1654915980538-4.jpg

 

 

1654915980538-5.jpg

 

 

1654915980538-12.jpg

 

 

1654915980538-14.jpg

 

 

1654916014477-0.jpg

 

 

1654916014477-1.jpg

 

 

 

꾸미_8 (1).jpg

 

 

꾸미_8 (13).jpg

 

 

꾸미_8 (14).jpg

 

 

꾸미_8 (15).jpg

 

 

꾸미_8 (16).jpg

 

 

꾸미_8 (17).jpg

 

 

꾸미_8 (18).jpg

 

 

꾸미_8 (19).jpg

 

 

꾸미_8 (20).jpg

 

 

꾸미_8 (21).jpg

 

 

꾸미_8 (22).jpg

 

 

꾸미_8 (23).jpg

 

 

꾸미_8 (24).jpg

 

 

꾸미_8 (25).jpg

 

 

꾸미_8 (26).jpg

 

 

꾸미_8 (27).jpg

 

금일 추가 붕어방류 실시합니다

 

8 (1).jpg

 

 

8 (2).jpg

 

 

8 (3).jpg

 

 

8 (4).jpg

 

 

8 (5).jpg

 

 

8 (6).jpg

 

 

8 (7).jpg

 

 

8 (8).jpg

 

 

8 (9).jpg

 

 

8 (10).jpg

 

 

8 (11).jpg

 

 

8 (12).jpg

 

 

8 (13).jpg

 

 

8 (14).jpg

 

 

8 (15).jpg

 

 

8 (16).jpg

 

 

8 (17).jpg

 

 

8 (18).jpg

 

 

8 (19).jpg

 

 

8 (20).jpg

 

 [ 수곡낚시터 펜션 ] 이용요금 및 시설 안내

 펜션 예약받습니다

 

애완동물은 동반입실 불가하오니 이용에 참고하시기 바랍니다

 

 

수세식화장실, 온수샤워장, 냉.난방, 침구, 식기일체, 인덕션렌지

숯불이용가능 야외 테이블등

가족,연인들과 함께 깨끗한 펜션 많은 이용바라며

낚시는 펜션앞 부교및 발판좌대 이용하시면 됩니다

 

 

자세한 사항은 아래 홈페이지 클릭하세요

 

 

 

★★펜션시설 및 이용안내 클릭!★★

 

 

사진 설명을 입력하세요.

 

 

 

 

펜션이용요금표.png

 

 

 

KakaoTalk_20200705_125601069 - 복사본.jpg

 

이전글 없음
다음글 없음

댓글 1

page 1
  • 살모사 · 06-11 20:48 · IP 223.*.248.144
    정보 잘보고 갑니다
댓글 작성은 로그인 후 가능합니다.

내용 하단 목록

전체 목록