본문바로가기

양평 힐링 수곡낚시터 7월 둘째주 주말 붕어방류 맟 조황

IP 175.*.153.224 5824 1


  

 칠보산 기슭 해발 120미터 맑은 물과 청정한 공기,

반딧불이가 노니는 수려한 풍광속 힐링 낚시 아지트

 여름시즌 붕어낚시 힐링 양평 수곡낚시터

 

양평낚시터 수곡낚시터

  

7월1일부터 대물붕어 및 마릿수 시상을 시작하오니

 

 여름휴가철 힐링 피서 즐기세요

 

 

대물붕어 마릿수 시상.png

 

 

 

군계일학 시상.jpg

 

[크기변환]그림1.png

 

 

 

KakaoTalk_20200705_125601069 - 복사본.jpg

 

 

 

KakaoTalk_20200705_125600924.jpg

 

 

 

 

 

 

애완동무.png 

 

 

양평낚시터 수곡낚시터

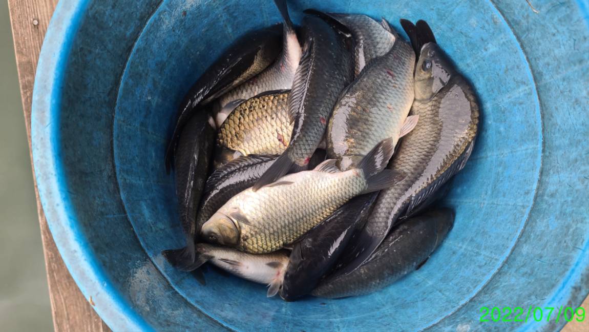
7월 둘째주 주말 조황 및 붕어방류

 

계속되는 무더위에도

 많은 조사님들이 낚시터를 찾아오셔서 

힘찬 붕어손맛을 보시고 가셨네요~

 

포인트 와 시간대별로 

조과 차이가 조금나는 주말이었습니다

 

군계일학과 낚시터와의 만남 /

 수곡낚시터 대물붕어 및 마릿수 시상행사  

현재 최고기록은 68마리 입니다

많은 조사님들의 관심과 참여 바랍니다

 

금요일..토요일 붕어방류 실시 했습니다

이번주 주중 및 주말 붕어방류 계속 실시합니다

 

 

 

0 (1).jpg

 

 군계일학과 낚시터의 만남 현재 최고기록 68마리 입니다

와 우~~축하드립니다

0 (2).jpg

 

 

0 (4).jpg

 

 

0 (11).jpg

 

 

 

0 (9).jpg

 

 

0 (10).jpg

군계일학과 낚시터의 만남 행사 외에도

 수곡낚시터 마릿수 시상하셨습니다..

축하드립니다 

 

1.jpg

 

 

2 (1).jpg

 

 

2 (2).jpg

 

 

3 (1).jpg

 

 

3 (2).jpg

 

 

4 (1).jpg

 

 

4 (2).jpg

 

 

5 (1).jpg

 

 

5 (2).jpg

 

 

6.jpg

 

 

7 (1).jpg

 

 

7 (2).jpg

 

 

8 (1).jpg

 

 

8 (2).jpg

 

 

9 (1).jpg

 

 

9 (2).jpg

 

 

10 (1).jpg

 

 

10 (2).jpg

 

 

11.jpg

 

 

12.jpg

 

 

13 (1).jpg

 

 

13 (2).jpg

 

 

14 (1).jpg

 

 

14 (2).jpg

 

 

14-1.jpg

 

 

15 (1).jpg

 

 

꾸미_20220709_114040.jpg

 

 

꾸미_20220709_114146.jpg

 

 

꾸미_20220709_114156.jpg

 

 

꾸미_20220709_114157(0).jpg

 

 

꾸미_20220709_114158(1).jpg

 

 

꾸미_20220709_114354.jpg

 

 

꾸미_20220709_114355(0).jpg

 

 

꾸미_20220709_114356(0).jpg

 

 

꾸미_20220709_114357(0).jpg

 

 

꾸미_20220709_114358.jpg

 

 

꾸미_20220709_114530(0).jpg

 

 

꾸미_20220709_114823(0).jpg

 

 

꾸미_20220709_114823.jpg

 

 

꾸미_20220709_114825(0).jpg

 

 

꾸미_20220709_114825.jpg

 

 

이미지 1.png

 

1 (1).jpg

 

 

1 (2).jpg

 

 

1 (3).jpg

 

 

1 (4).jpg

 

 

1 (5).jpg

 

 

1 (6).jpg

 

 

1 (7).jpg

 

 

1 (8).jpg

 

 

1 (9).jpg

 

 

1 (10).jpg

 

 

1 (11).jpg

 

 

1 (12).jpg

 

 

1 (13).jpg

 

 

1 (14).jpg

 

 

1 (15).jpg

 

 

1 (16).jpg

 

 

1 (17).jpg

 

 

1 (18).jpg

 

 

1 (19).jpg

 

 

1 (20).jpg

 

 

 

2022인상요금표 (2).png

 

 

 

 

 

 [ 수곡낚시터 펜션 ] 이용요금 및 시설 안내

 펜션 예약받습니다

 

애완동물은 동반입실 불가하오니 이용에 참고하시기 바랍니다

 

 

수세식화장실, 온수샤워장, 냉.난방, 침구, 식기일체, 인덕션렌지

숯불이용가능 야외 테이블등

가족,연인들과 함께 깨끗한 펜션 많은 이용바라며

낚시는 펜션앞 부교및 발판좌대 이용하시면 됩니다

 

 

자세한 사항은 아래 홈페이지 클릭하세요

 

 

 

★★펜션시설 및 이용안내 클릭!★★

 

 

사진 설명을 입력하세요.

 

 

 

 

 

KakaoTalk_20200705_125601069 - 복사본.jpg

이전글 없음
다음글 없음

댓글 1

page 1
  • 살모사 · 07-11 18:59 · IP 223.*.150.150
    조황정보 잘보고 갑니다
댓글 작성은 로그인 후 가능합니다.

내용 하단 목록

전체 목록