본문바로가기

양평 힐링 수곡낚시터 8월 첫주 주후반 .주말 붕어이야기 주간베스트

IP 121.*.219.253 7475 1

    


       

 칠보산 기슭 해발 120미터 맑은 물과 청정한 공기,

반딧불이가 노니는 수려한 풍광속 힐링 낚시 아지트

 여름휴가 피서 붕어낚시 힐링 양평 수곡낚시터

 

양평낚시터 수곡낚시터

 

 7월에 이어서 8월에도 군계일학과의 만남 시상과

 

매주 주간베스트 시상도 신설하여 선물을 드리며

 

  8월1일부터 말일까지 군계일학 마릿수 최대시상과

 

대물붕어 와 마릿수 자체 시상 병행합니다 

 

 여름휴가철 힐링 피서낚시 즐기세요

 

 

 

[크기변환]그림1.png

 

 

 

1 수곡낚시터 메인4장합사진 글올릴때.jpg

 

 

 

애완동무.png 

 

 

 

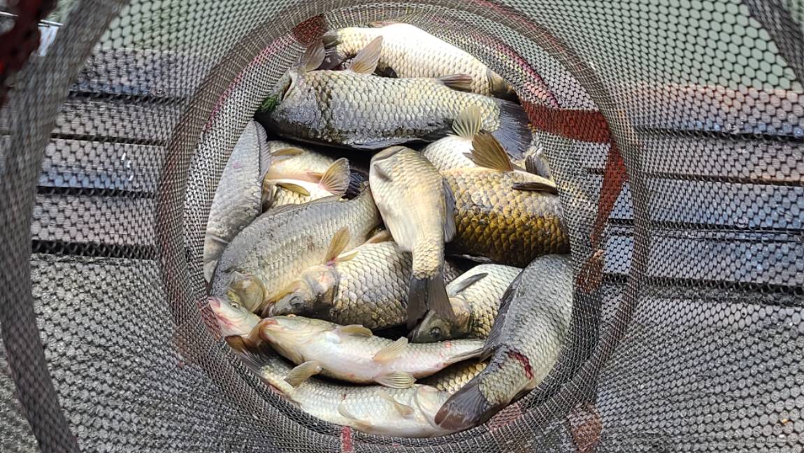
8월 첫째주 주후반 및 주말

 힐링 수곡낚시터 조황 및 붕어방류

 

계속되는 만수에 물색또한 좋은

 주후반 및 주말이었습니다

포인트별 조황 기복이 있었지만 

"송정유통님"63마리로 주간 베스트로 선정되었습니다

축하드립니다-짝짝짝~

   

8월2주차 주간베스트는 

오늘부터 이번주 토요일까지 다시 시작합니다

많은 조사님들의 관심과 참여 바랍니다.

언제라도 도~전 하세요

 

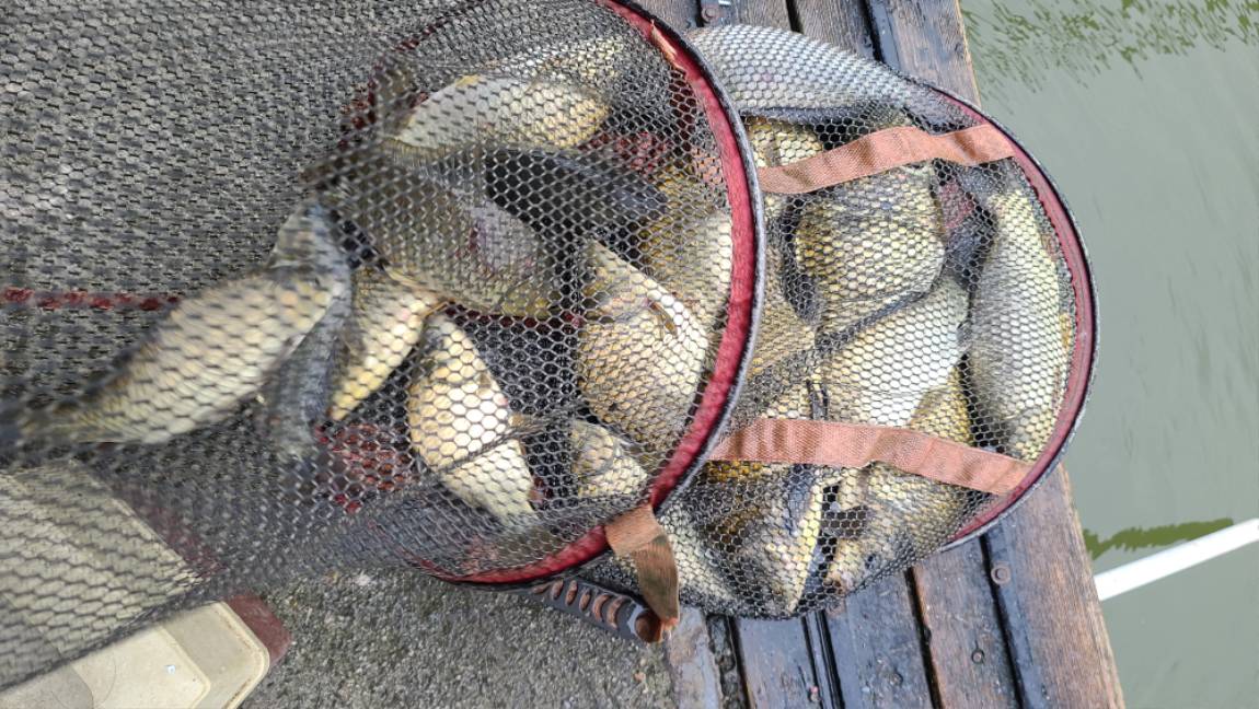
​금.토요일 붕어 연이어 방류 실시했습니다

 

 8/7현재 월간 최대마릿수는 63마리 입니다

주간베스트는 금일부터 새로 시작됩니다

 

 

 

 

군계일학 마릿수 시상2.jpg

 

 

낚시터 자체시상도 병행 실시중이니

많은 참여바랍니다

 

대물붕어 마릿수 시상.png

 

 

1 (1).jpg

 

 

1 (2).jpg

 

 

1 (3).jpg

 

 

1 (4).jpg

 

" 송정유통님" 63마리로 주간베스트 선정되어 선물증정 해드렸습니다

자체 마릿수 시상으로도 추가 선물 증정

축하드립니다

2 (1).jpg

 

 

2 (2).jpg

 

 

3 (1).jpg

 

 

3 (2).jpg

 

 

3 (3).jpg

 

 

3 (4).jpg

 

 

8 (1).jpg

 

 

8 (2).jpg

 

 

8 (3).jpg

 

 

8 (4).jpg

 

 

8 (5).jpg

 

 

8 (6).jpg

 

 

8 (7).jpg

 

 

8 (8).jpg

 

 

8 (9).jpg

 

 

8 (10).jpg

 

 

8 (11).jpg

 

 

8 (12).jpg

 

 

8 (13).jpg

 

 

8 (14).jpg

 

 

8 (15).jpg

 

 

8 (16).jpg

 

 

8 (17).jpg

 

 

8 (18).jpg

 

 

8 (19).jpg

 

 

8 (20).jpg

 

대물붕어시상에는 아쉽지만 다음기회에 다시도전ㅠㅠ~ 

8 (21).jpg

 

 

8 (22).jpg

 

 

 

 

꾸미_20220805_111455.jpg

 

 

꾸미_20220805_111457.jpg

 

 

꾸미_20220805_111500(0).jpg

 

 

꾸미_20220805_111501(0).jpg

 

 

꾸미_20220805_111502(0).jpg

 

 

꾸미_20220805_111644.jpg

 

 

꾸미_20220805_111645.jpg

 

 

꾸미_20220805_111646.jpg

 

 

꾸미_20220805_111647.jpg

 

 

꾸미_20220805_111858.jpg

 

 

꾸미_20220805_111900(0).jpg

 

 

꾸미_20220805_111902(0).jpg

 

 

꾸미_20220805_111903(0).jpg

 

 

꾸미_20220805_111904(0).jpg

 

 

꾸미_20220805_111904.jpg

 

 

이미지 1.png

 

꾸미_20220806_111850(0).jpg

 

 

꾸미_20220806_111851(0).jpg

 

 

꾸미_20220806_111852(1).jpg

 

 

꾸미_20220806_111852.jpg

 

 

꾸미_20220806_112032(0).jpg

 

 

꾸미_20220806_112211(0).jpg

 

 

꾸미_20220806_112212.jpg

 

 

꾸미_20220806_112500.jpg

 

 

이미지 1.png

 

8 (1).jpg

 

 

8 (2).jpg

 

 

8 (3).jpg

 

 

8 (4).jpg

 

 

8 (5).jpg

 

 

8 (6).jpg

 

 

8 (7).jpg

 

 

8 (8).jpg

 

 

8 (9).jpg

 

 

8 (10).jpg

 

 

8 (11).jpg

 

 

8 (12).jpg

 

 

 [ 수곡낚시터 펜션 ] 이용요금 및 시설 안내

 펜션 예약받습니다

 

애완동물은 동반입실 불가하오니 이용에 참고하시기 바랍니다

 

 

수세식화장실, 온수샤워장, 냉.난방, 침구, 식기일체, 인덕션렌지

숯불이용가능 야외 테이블등

가족,연인들과 함께 깨끗한 펜션 많은 이용바라며

낚시는 펜션앞 부교및 발판좌대 이용하시면 됩니다

 

 

자세한 사항은 아래 홈페이지 클릭하세요

 

 

 

★★펜션시설 및 이용안내 클릭!★★

 

 

사진 설명을 입력하세요.

 

 

 

 

 

쿠폰.png

 

 

2022인상요금표 (2).png

 

 

 

1 수곡낚시터 메인4장합사진 글올릴때.jpg

 

이전글 없음
다음글 없음

댓글 1

page 1
  • 수심쨩 · 08-07 14:14 · IP 223.*.90.206
    잘보고갑니다 정보감사합니다 ^^
댓글 작성은 로그인 후 가능합니다.

내용 하단 목록

전체 목록