본문바로가기

용담은 이제사 초봄입니다

IP 220.*.46.51 3236 0

이제사 용담의 앞산에  진달래가 피고 상류 산밑에 벗꽃이 피고있습니다.

 지난해 다녀갔던 노랑 할미새도 둥지를 틀어 바삐 움직입니다. 

 이렇틋 용담의 봄은 더디 오는것 같습니다.

일정치 못한 일기에도 용담의 붕어들은 할일을 다하는듯 합니다.

 주어진 사명 종족번식을 위한 먹이 활동은 지속되고 있습니다. 

늦어지는 봄 때문에 어떤이는 용담을 젤루 뒤로 미루어 출조를 하지요.

그래서,현명한 꾼들의 발걸음이 이제사 때(산란기)  맞춰지나 봅니다. 

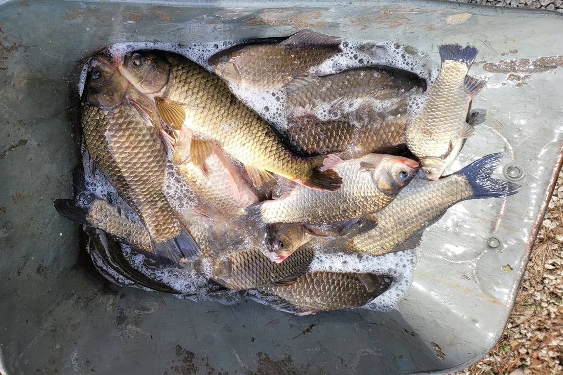
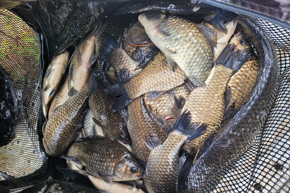
오늘도 낙동강 대물들 수거를 위하여 다녀왔습니다.

4짜 토종 대물 15마리(30kg)를 실기 위하여 먼길을 다녀 왔습니다.

 

짜장붕어.잉붕어.향붕어가 1도 없는 토종낚시터 포천용담낚시터입니다.

dSC0014012.jpg

포천 용담낚시터 010-3721-3910 

  

DSC00671.JPG

포천 용담낚시터 010-3721-3910

 

dSC0009012.jpg

포천 용담낚시터 010-3721-3910

 

DSC00177.JPG

포천 용담낚시터 010-3721-3910

 

dSC0012012.jpg

포천 용담낚시터 010-3721-3910

 

DSC01663.JPG

포천 용담낚시터 010-3721-3910

 

dSC0016012.jpg

포천 용담낚시터 010-3721-3910

 

_DSC8113.JPG

포천 용담낚시터 010-3721-3910

 

DSC00006.JPG

포천 용담낚시터 010-3721-3910

 

dSC0013012.jpg

포천 용담낚시터 010-3721-3910

 

dsc121604.jpg

포천 용담낚시터 010-3721-3910

 

DSC00318.JPG

포천 용담낚시터 010-3721-3910

 

DSC00506.JPG

포천 용담낚시터 010-3721-3910

 

dSC0010012.jpg

포천 용담낚시터 010-3721-3910

 

dSC0011012.jpg

포천 용담낚시터 010-3721-3910

 

KakaoTalk_20220414_191641205.jpg

포천 용담낚시터 010-3721-3910

낙동강 다녀 오는 동안 4짜 쎌프 찰영 하시고 가신 손님  누구신지요?

네이버 카페 용담4짜 성적표에 올릴수 있도록 연락 주시기 바랍니다. 

 

dSC0002012.jpg

포천 용담낚시터 010-3721-3910

 

dSC0015012.jpg

포천 용담낚시터 010-3721-3910

 

dSC0003012.jpg

포천 용담낚시터 010-3721-3910

4짜 방류사진 

dSC0004012.jpg

포천 용담낚시터 010-3721-3910 

4짜 방류사진 dSC0005012.jpg

포천 용담낚시터 010-3721-3910 

4짜 방류사진 dSC0007012.jpg

포천 용담낚시터 010-3721-3910

 낙동강 현지모습

dSC0008012.jpg

 포천 용담낚시터 010-3721-3910 

낙동강 현지모습

 

 

포천 용담낚시터는 수위변동이 없는 양수형저수지입니다.

 

4짜 이벤트 행사 : 씨즌중 40cm 토종붕어 6마리 포획시 

 

 

 

이스케이프  뉴 프리미엄 골드 5단 받침틀

 

 

 

 

 

 시설및 좌대 둘러보기

 

   

 

..........................................................................................................................

 

 

 용담낚시터 좌대 보기

 

 

좌대보기1 아담한.jpg

 

 아담한 용담낚시터에는 은밀이 움직이는 대물의 숨소리가 들립니다.

 

 

좌대보기2 허리급.jpg

 

허리급 붕어와 4짜가 담겨져 있는 이곳 용담에서는 침묵속에 낚시를 해야 합니다.  

 

좌대보기3가끔.jpg

 

가끔 들리는 대물이 수면을 때리는 펌핑 소리만 들어도 당신의 심장이 멎을것 입니다.  

 

좌대보기4 용담에서.jpg

 

 용담에서는 침묵과 정숙만이 대물을 만날 수 있답니다

 

좌대보기5 연안접지.jpg

 

용담낚시터 좌대는 모두 연안에서 입실을 할 수 있는 연안 접지형입니다.

 

 내 부 시 설 모 습

 

 

좌대보기6 내부시설.jpg

 

 

 용담낚시터는 2020년 6월 부터 떡밥그릇과 수건을 제공하지 않습니다.

 

 




※ 좌대 예약 입금 계좌 : 국민은행 090502-04-133400  유 인 환

 

좌대보기8 개념도.jpg

 

 

좌대보기9 안내전화주소.jpg

 

<"네이버카페바로가기">

 ☏ 010-3721-3910

 

 ♧ 사 ♧  ♧  ♧  

 

이전글 없음
다음글 없음

댓글 0

page 1
  • 댓글이 없습니다.
댓글 작성은 로그인 후 가능합니다.

내용 하단 목록

전체 목록