본문바로가기

초봄 붕어 힐링 양평 수곡낚시터 3월 마지막주 조황, 방류, 펜션안내

IP 175.*.153.224 617 1

 칠보산 기슭 해발 120미터 맑은 물과 청정한 공기,

반딧불이가 노니는 수려한 풍광속 힐링 낚시 아지트

 사계절 물맑은 봄시즌 붕어낚시 힐링 양평 수곡낚시터

 

3월 넷째주 주말 조황 및 붕어방류

펜션 예약운영  안내

 

 

 

 

[크기변환]그림1.png

 

 

 

KakaoTalk_20200705_125601069 - 복사본.jpg

 

 

 

KakaoTalk_20200705_125600924.jpg

 

 

물바가지.png

 

 

변덕스런 날씨가 봄시즌이 맞는듯 하네요

 

기온이 올라가고 파릇파릇 새싹이 돋고

산수유꽃이 피더니, 주말에 많은비가 내리고

기온과 기압이 내려가며 낚시여건이 어려웠습니다

 

금요일까지 조황이 꾸준히 이어지고 

늘어나는가 싶더니 주말에는 조과가 기대에

못미쳤고 일요일 강한 바람에 기온이 떨이지며

늦은밤시간에 붕어가 나왔다네요

 

오늘은 아침부터 따사로운 햇살이 비추며

오전에 붕어랜등 모습이 포착되고 있어 

다시 붕어들 활약을 기대해 보겠습니다

 

 

3.jpg

 

 

3-1.jpg

 

 

3-2.jpg

 

 

3-3.jpg

 

 

3-4.jpg

 

금요일과 주말 차이가 컷네요

 

 

3-5.jpg

 

 

 

3-6.jpg

 

 

3-7.jpg

 

 

3-8.jpg

 

 

3-9.jpg

 

 

4.jpg

 

 

9 (1).jpg

 

 

9 (5).jpg

 

 

9 (6).jpg

 

 

9 (7).jpg

 

 

9 (10).jpg

 

 

9 (12).jpg

 

 

9 (13).jpg

 

 

9 (14).jpg

 

 

9 (15).jpg

 

 

9 (16).jpg

 

 

9 (17).jpg

 

 

9 (18).jpg

 

 

9 (19).jpg

 

 

9 (20).jpg

 

 

9 (21).jpg

 

 

9 (22).jpg

 

 

9 (23).jpg

 

 

9 (24).jpg

 

 

9 (25).jpg

 

 

9 (26).jpg

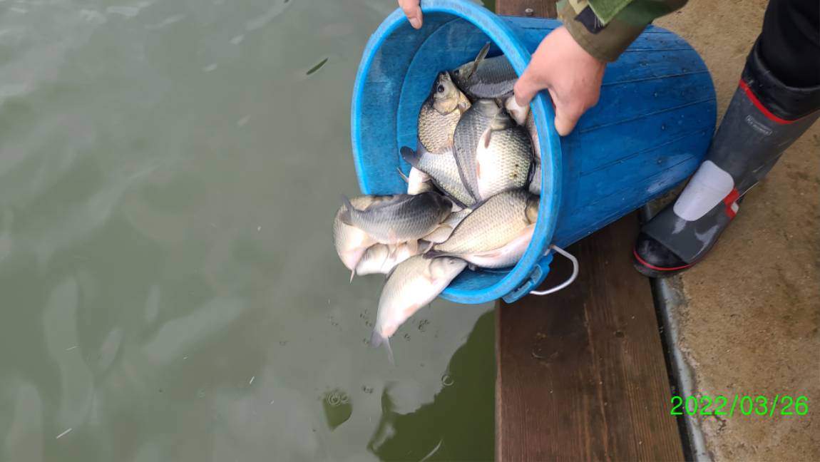
 오늘은 아침 일찍 붕어랜딩에 성공하시네요

 

주말 붕어방류 완료하였으며 

꾸준히 붕어방류 늘려가고 있습니다

 

꾸미_20220326_112910.jpg

 

 

꾸미_20220326_113034.jpg

 

 

꾸미_20220326_113036(0).jpg

 

 

꾸미_20220326_113036.jpg

 

 

꾸미_20220326_113314.jpg

 

 

꾸미_20220326_113315.jpg

 

 

꾸미_20220326_113458(0).jpg

 

 

꾸미_20220326_113458.jpg

 

 

꾸미_20220326_113640.jpg

 

 

꾸미_20220326_113906.jpg

 

 

꾸미_20220326_113907.jpg

 

 

꾸미_20220326_113909.jpg

 

 

이미지 2.png

 

 

9 (1).jpg

 

 

9 (4).jpg

 

 

9 (5).jpg

 

 

9 (6).jpg

 

 

9 (7).jpg

 

 

9 (8).jpg

 

 

9 (9).jpg

 

 

9 (10).jpg

 

 

9 (11).jpg

 

 

9 (12).jpg

 

 

9 (13).jpg

 

 

9 (14).jpg

 

 

9 (15).jpg

 

 

9 (16).jpg

 

 

9 (17).jpg

 

 [ 수곡낚시터 펜션 ] 이용요금 및 시설 안내

2022년 3월 25일 부터 펜션 예약받습니다

 

수세식화장실, 온수샤워장, 냉.난방, 침구, 식기일체, 인덕션렌지

숯불이용가능 야외 테이블등

가족,연인들과 함께 깨끗한 펜션 많은 이용바라며

낚시는 펜션앞 부교및 발판좌대 이용하시면 됩니다

 

 

자세한 사항은 아래 홈페이지 클릭하세요

 

 

 

★★펜션시설 및 이용안내 클릭!★★

 

 

사진 설명을 입력하세요.

 

 

 

 

펜션이용요금표.png

 

 

 


KakaoTalk_20200705_125601069 - 복사본.jpg

이전글 없음
다음글 없음

댓글 1

page 1
  • 살모사 · 03-28 11:41 · IP 223.*.241.118
    잘보고갑니다
댓글 작성은 로그인 후 가능합니다.

내용 하단 목록

전체 목록