본문바로가기

포천용담 4짜방류와 조황 그리고 설경

IP 220.*.46.51 757 2

 때 아닌 눈으로 낚시터 분이기가 삼삼 했습니다.

바람없이 소복소복 내린눈이 용담을 하얗게 물들였습니다.

상춘의 봄은 하얀 눈꽃으로 아름답게 보였습니다.

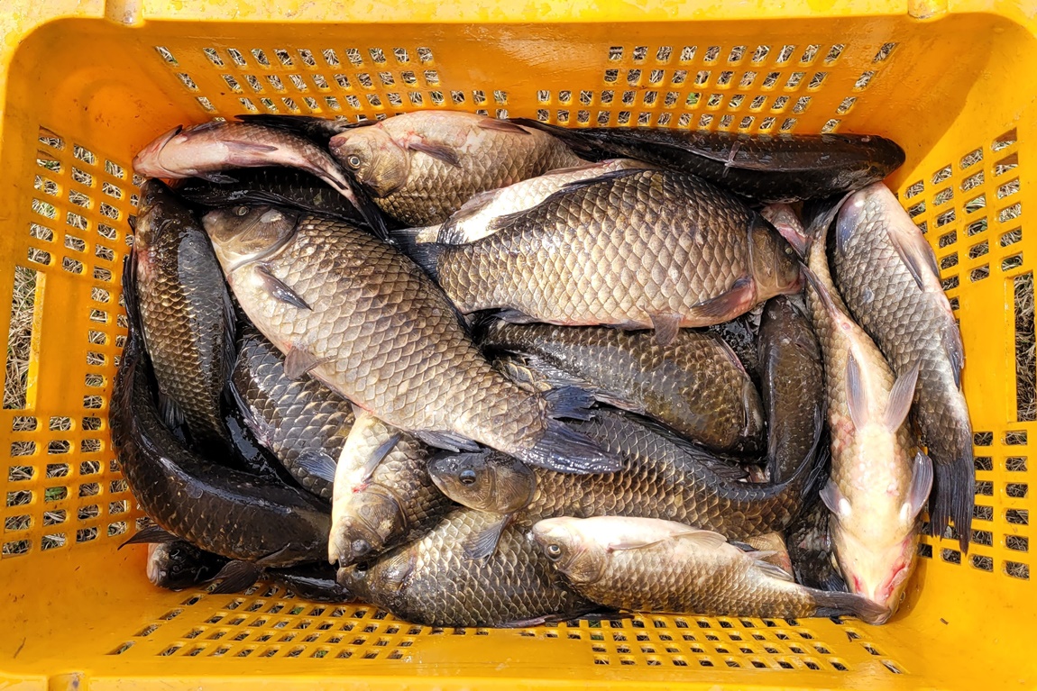
이번주는 충주댐 4짜 붕어를 100kg(19차) 방류하였습니다.

2022년은 우리 용담에서 4짜 조사님을 많이 배출할계획으로 

지속적인 대물 방류를 진행 하겠습니다.

많은 참여 부탁드립니다.

 

DSC20220320-014000.jpg

포천 용담낚시터 010-3721-3910

 

_DSC0200.JPG

 포천 용담낚시터 010-3721-3910 

 

DSC20220320-019000.jpg

포천 용담낚시터 010-3721-3910

 

DSC20220320-015000.jpg

포천 용담낚시터 010-3721-3910

 

DSC20220320-018000.jpg

포천 용담낚시터 010-3721-3910

 

DSC06698.JPG

포천 용담낚시터 010-3721-3910

 

DSC20220320-021000.jpg

포천 용담낚시터 010-3721-3910

 

DSC20220320-022000.jpg

포천 용담낚시터 010-3721-3910

 

DSC20220320-024000.jpg

포천 용담낚시터 010-3721-3910

 

DSC20220320-011000.jpg포천 용담낚시터 010-3721-3910 

 

DSC20220320-025000.jpg

포천 용담낚시터 010-3721-3910

 

DSC20220320-012000.jpg

포천 용담낚시터 010-3721-3910

 

DSC20220320-026000.jpg

포천 용담낚시터 010-3721-3910

 

DSC20220320-013000.jpg

포천 용담낚시터 010-3721-3910

 

DSC20220320-020000.jpg

포천 용담낚시터 010-3721-3910

 

DSC20220320-010000.jpg

포천 용담낚시터 010-3721-3910 

 

 

2022년 대비 방류현황

qkdfb.jpg

*자원은 남한강 , 북한강 , 충주댐등 토종붕어 만 선별하여 준비하였습니다.

 포천 용담낚시터는 수위변동이 없는 양수형저수지입니다.

 

4짜 이벤트 행사 : 씨즌중 40cm 토종붕어 6마리 포획시 

 

 

 

이스케이프  뉴 프리미엄 골드 5단 받침틀

 


 

 

 

 

 시설및 좌대 둘러보기

 

   

 

..........................................................................................................................

 

 

 용담낚시터 좌대 보기

 

 

좌대보기1 아담한.jpg

 

 아담한 용담낚시터에는 은밀이 움직이는 대물의 숨소리가 들립니다.

 

 

좌대보기2 허리급.jpg

 

허리급 붕어와 4짜가 담겨져 있는 이곳 용담에서는 침묵속에 낚시를 해야 합니다.  

 

좌대보기3가끔.jpg

 

가끔 들리는 대물이 수면을 때리는 펌핑 소리만 들어도 당신의 심장이 멎을것 입니다.  

 

좌대보기4 용담에서.jpg

 

 용담에서는 침묵과 정숙만이 대물을 만날 수 있답니다

 

좌대보기5 연안접지.jpg

 

용담낚시터 좌대는 모두 연안에서 입실을 할 수 있는 연안 접지형입니다.

 

 내 부 시 설 모 습

 

 

좌대보기6 내부시설.jpg

 

 

 용담낚시터는 2020년 6월 부터 떡밥그릇과 수건을 제공하지 않습니다.

 

 




※ 좌대 예약 입금 계좌 : 국민은행 090502-04-133400  유 인 환

 

좌대보기8 개념도.jpg

 

 

좌대보기9 안내전화주소.jpg

 

  

<"네이버카페바로가기">

 

 

 ☏ 010-3721-3910

 

 ♧ 사 ♧  ♧  ♧  

 

 

 

 

 

이전글 없음
다음글 없음

댓글 2

page 1
  • 수심쨩 · 03-22 07:40 · IP 115.*.23.54
    잘보고갑니다
  • 살모사 · 03-22 15:33 · IP 223.*.241.25
    잘보고 갑니다
댓글 작성은 로그인 후 가능합니다.

내용 하단 목록

전체 목록