본문바로가기

힐링이있는 양평 수곡낚시터 조황 및 방류 소식입니다

IP 121.*.219.253 10157 1

             

 

 칠보산 기슭 해발 120미터 맑은 물과 청정한 공기,

반딧불이가 노니는 사계절 

수려한 풍광속 힐링 낚시 아지트

 가을 붕어낚시의 성지  양평낚시터 힐링 수곡낚시

 

 

[크기변환]그림1.png

 

 

 

1 수곡낚시터 메인4장합사진 글올릴때.jpg

 

낚시터 자체 마릿수 시상 및 대물붕어 시상 행사중입니다

Emotion IconEmotion IconEmotion Icon많은 조사님들의 참여를 기다리고 있습니다Emotion IconEmotion IconEmotion Icon

 

대물붕어 마릿수 시상.png

 

 

Emotion IconEmotion IconEmotion Icon가을붕어의 짜릿한 손맛으로 힐링하세요Emotion IconEmotion IconEmotion Icon

 

애완동무.png 

 

 

양평 힐링 수곡낚시터  

주초반 조황 및 방류~

 

주말 많은 조사님들이 

가을붕어의 손맛을 보시러 찾아주셨습니다

감사드립니다Emotion IconEmotion IconEmotion Icon

 

주말 조황이 약간은 주춤하였으며,

일요일부터 다시 조금씩 

조황이 살아나고 있는 주초반인것 같습니다

 

낮시간대가 밤시간에 비해 조금더

 붕어들 활성도가 좋은것 같습니다

먹이운영은 어분계열에 반응이 빠른것 같습니다

참고하세요^_^~

  

좀더 따뜻한 낚시를 위하여 

좌대 및 잔교에 방한시설 설치 하였습니다

 

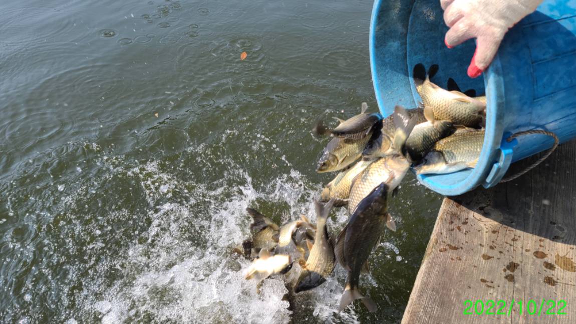
Emotion Icon토요일 붕어대량 방류 완료했습니다Emotion Icon

 

1 (1).jpg

 

 

1 (2).jpg

 

 

1 (3).jpg

 

 

2 (1).jpg

 

 

2 (2).jpg

 

 

3 (1).jpg

 

 

3 (2).jpg

 

 

3 (3).jpg

 

 

3 (4).jpg

 

 

4 (1).jpg

 

 

4 (2).jpg

 

 

4 (3).jpg

 

 

4 (4).jpg

 

 

4 (5).jpg

 

 포인트별 좌대/노지 큰 조과차이없이 호조황을 보이고 있습니다

4 (6).jpg

 

 

4 (7).jpg

 

 

4 (8).jpg

 

 

4 (9).jpg

 

 

4 (10).jpg

 

 

4 (11).jpg

 

 

4 (12).jpg

 

 

4 (13).jpg

 

 

4 (14).jpg

 

 

4 (15).jpg

 

 

5 (1).jpg

 

 

5 (2).jpg

 

 

5 (3).jpg

 

 

5 (4).jpg

 

 

5 (5).jpg

 

 

6 (1).jpg

 

 

6 (2).jpg

 

 

6 (3).jpg

 

7 (1).jpg

 

토실토실 가을붕어들의 손맛을 느껴보세요~Emotion IconEmotion IconEmotion Icon

 

7 (2).jpg

 

 

8 (1).jpg

 

 

8 (2).jpg

 

 

8 (3).jpg

 

 

8 (4).jpg

 

 토요일 붕어 방류 완료했습니다

[꾸미기]1 (1).jpg

 

 

[꾸미기]1 (2).jpg

 

 

[꾸미기]1 (3).jpg

 

 

[꾸미기]1 (4).jpg

 

 

[꾸미기]1 (5).jpg

 

 

[꾸미기]1 (6).jpg

 

 

[꾸미기]1 (7).jpg

 

 

[꾸미기]1 (8).jpg

 

 

[꾸미기]1 (9).jpg

 

 

[꾸미기]1 (10).jpg

 

 

[꾸미기]1 (11).jpg

 

 

사용자 지정 1.png

 

 

1 (1).jpg

 

 좌대/노지...여러 조사님들이 손맛을 보고 계시네요..힘내세요

1 (2).jpg

 

 

1 (3).jpg

 

 

1 (4).jpg

 

 

1 (5).jpg

 

 

1 (6).jpg

 

 

1 (7).jpg

 

 

1 (8).jpg

 

 

1 (9).jpg

 

 

1 (10).jpg

 

 밤낚시의 찌올림도 보시고 야경도 보시고 눈의 힐링되세요

1 (11).jpg

 

 

1 (12).jpg

 

 

1 (13).jpg

 

 

1-1 (1).jpg

 

 

1-1 (2).jpg

 

가을 단풍이 절정을 향해 가고 있습니다 

 

1-1 (3).jpg

 

[ 수곡낚시터 펜션 ] 이용요금 및 시설 안내

 펜션 예약받습니다

 

애완동물은 동반입실 불가하오니 이용에 참고하시기 바랍니다

 

 

수세식화장실, 온수샤워장, 냉.난방, 침구, 식기일체, 인덕션렌지

숯불이용가능 야외 테이블등

가족,연인들과 함께 깨끗한 펜션 많은 이용바라며

낚시는 펜션앞 부교및 발판좌대 이용하시면 됩니다

 

 

자세한 사항은 아래 홈페이지 클릭하세요

 

 

 

★★펜션시설 및 이용안내 클릭!★★

 

 

사진 설명을 입력하세요.

 

 

 

 

 

쿠폰.png

 

 

2022인상요금표 (2).png

 

 

 

낚시터안내.png

 

 

1 수곡낚시터 메인4장합사진 글올릴때.jpg

 

#양평낚시터 #가을낚시터 #수도권낚시터 #펜션낚시터 #낚시터펜션 #낚시터추천 #수곡낚시터 #가을붕어낚시 #붕어낚시 #수도권낚시터 #경기도낚시터 #풍광좋은낚시터 #힐링낚시터 #겨울낚시터 #봄붕어낚시 #여름휴가낚시터 #피서낚시터 #가을낚시터추천 #봄낚시터추천 #여름낚시터추천 #겨울낚시터추천 #양평수곡낚시터 #힐링수곡낚시터 #경치좋은낚시터 #깨끗한낚시터 #서울근교낚시터 #낚시터강추 #붕어낚시터강추  

이전글 없음
다음글 없음

댓글 1

page 1
  • 수심쨩 · 10-25 11:53 · IP 211.*.197.116
    정보감사합니다
댓글 작성은 로그인 후 가능합니다.

내용 하단 목록

전체 목록