본문바로가기

힐링 낚시와 펜션 양평 수곡낚시터 펜션 넷째주말 조황 및 방한천막 설치

IP 175.*.153.224 774 1

칠보산 기슭 해발 120미터 맑은 물과 청정한 공기,

반딧불이가 노니는 사계절 수려한 풍광속 힐링 낚시 아지트

 가을시즌 풍광좋은 붕어낚시 힐링 양평 수곡낚시터

 

힐링 양평 수곡낚시터 펜션 오픈 

 

10월 네쨋주 주말 조황 및 방한천막 설치

 

KakaoTalk_20200705_125601069 - 복사본.jpg

 

 

 

KakaoTalk_20200705_125600924.jpg   

 

 

인체에 무해한 최고급 소독제를 사용하여

매일 방역소독 실시중 입니다 

마스크 필히 지참 바랍니다

 

프레젠테이션1-1.jpg 

 

수곡낚시터 펜션을 새롭게 오픈하였습니다

수세식화장실, 온수샤워장, 냉.난방, 침구, 식기일체, 인덕션렌지

숯불이용가능 야외 테이블등

가족,연인들과 함께 깨끗한 펜션 많은 이용바라며

낚시는 펜션앞 부교및 발판좌대 이용하시면 됩니다

 

슬라이드1.JPG

 

 

슬라이드2.JPG

 

 

프레젠테이션1.jpg 

 

 

수곡낚시터 좌대및 시설안내 클릭하세요!       

 

지난주는 일시적으로 이례적인 낮은기온으로 인해

낚시여건이 그리 좋지는 못했었네요

 

추위 초반에는 수온에 영향을 주지않았으나

주말경부터는  수온에 미치는 영향이 있었던듯

조황도 편차를 많이 보였답니다

 

일반적으로 저수온 시기에도 붕어들이 적응을

하고나면 또다시 좋은 활성도를 보이기도 하기에

이번주 좀더 나은 조황을 기대하게 합니다

 

이번주는 주중반 자연산 토종붕어 대량방류예정이며

 어제와 주말사진 순으로 올립니다

 

2.jpg

 

 

2-1.jpg

 

 

2-2.jpg

 

 

3.jpg

 

 

3-1.jpg

 

 

3-1-1.jpg

 

 

3-5.jpg

 

 

3-6.jpg

 

 

3-7.jpg

 

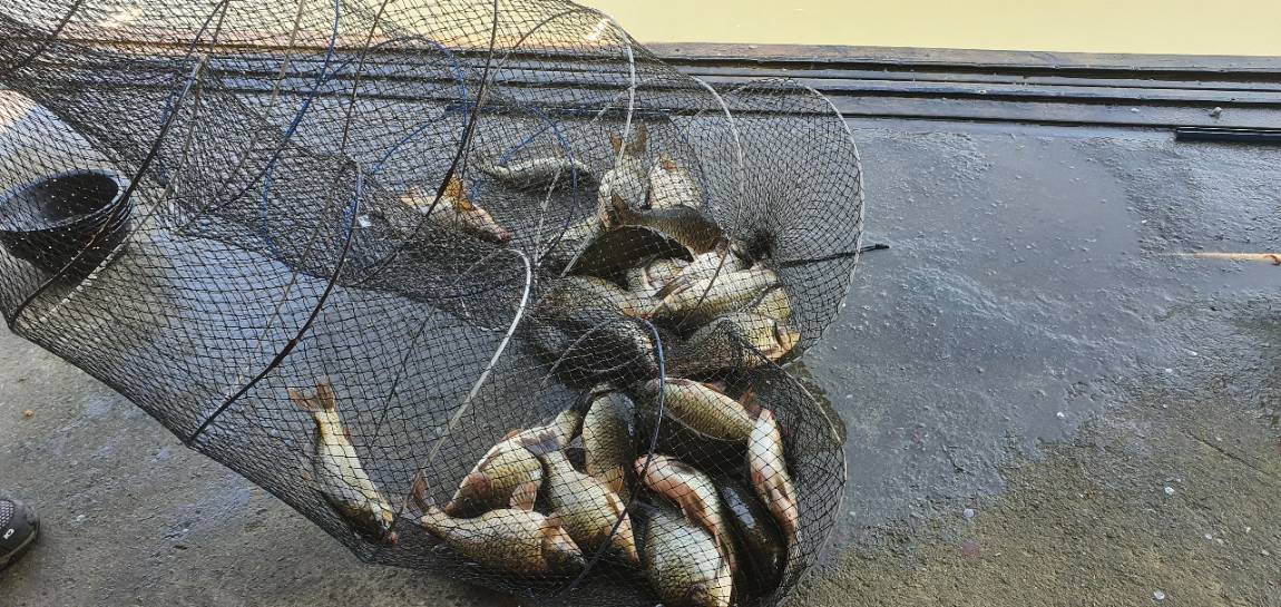
마릿수 편차가 많았던 주말 조황에도

붕어들 씨알과 손맛은 좋았답니다

 

3-8.jpg

 

 

3-9.jpg

 

 

4.jpg

 

 

4-1.jpg

 

 

4-2.jpg

 

 

4-3.jpg

 

 

4-4.jpg

 

 

4-5.jpg

 

 

4-6.jpg

 

 

4-7.jpg

 

 

9 (16).jpg

 

 

9 (17).jpg

 

 

9 (24).jpg

 

 

9 (25).jpg

 

주중후반까지 낮시간 조황이 괜찬았으나

주말경부터 낮조황이 다소 줄어들면서 어제는

새벽과 오전시간 조황이 나와준듯하네요

 

9 (27).jpg

 

 

9 (28).jpg

 

 

9 (29).jpg

 

 

9.jpg

 

 

9-0.jpg

 

쌀쌀한 날씨에 노지부교와 수상좌대에

방한천막을 설치완료하였으며 일부 새단장 진행중으로

이번주까지 마무리됩니다

 

20211025_110648.jpg

 

 

20211025_110704.jpg

 

 

20211025_110727.jpg

 

 

 

주말 토요일 붕어방류 사진 올리며

이번주 수,목요일중 대호만 토종붕어 대량 방류하겠습니다

 

 

꾸미_20211023_120100.jpg

 

 

꾸미_20211023_120201.jpg

 

 

꾸미_20211023_120204.jpg

 

 

꾸미_20211023_120325.jpg

 

 

꾸미_20211023_120327(0).jpg

 

 

꾸미_20211023_120328.jpg

 

 

꾸미_20211023_120456.jpg

 

 

꾸미_20211023_120459.jpg

 

 

꾸미_20211023_120727.jpg

 

 

꾸미_20211023_120729.jpg

 

 

이미지 1.png

 

 

9 (1).jpg

 

 

9 (2).jpg

 

 

9 (3).jpg

 

 

9 (4).jpg

 

 

9 (5).jpg

 

 

9 (6).jpg

 

 

9 (7).jpg

 

 

9 (8).jpg

 

 

9 (9).jpg

 

 

9 (10).jpg

 

 

9 (11).jpg

 

 

9 (12).jpg

 

 

9 (13).jpg

 

 

9 (14).jpg

 

 

9 (15).jpg

 

 

9 (16).jpg

 

 

9 (17).jpg

 

 

9 (18).jpg

 

 

9 (19).jpg

 

 

9 (20).jpg

 

 

9 (21).jpg

 

KakaoTalk_20200705_125600924.jpg

 

 

KakaoTalk_20200705_125601069 - 복사본.jpg

 

이전글 없음
다음글 없음

댓글 1

page 1
  • 수심쨩 · 10-25 17:08 · IP 223.*.48.29
    잘보고갑니다
댓글 작성은 로그인 후 가능합니다.

내용 하단 목록

전체 목록