본문바로가기

힐링 수곡낚시터 4월 넷째주 주말 조황 및 붕어방류

IP 175.*.153.224 4899 1

     칠보산 기슭 해발 120미터 맑은 물과 청정한 공기,

반딧불이가 노니는 수려한 풍광속 힐링 낚시 아지트

 사계절 물맑은 봄시즌 붕어낚시 힐링 양평 수곡낚시터

 

양평낚시터 수곡낚시터 4월 넷째주 주말

조황및 붕어방류

 

 

 

 

[크기변환]그림1.png

 

 

 

KakaoTalk_20200705_125601069 - 복사본.jpg

 

 

 

KakaoTalk_20200705_125600924.jpg

 

 

물바가지.png

 

 

벌써 4월의 끝을 향해 가고 있습니다

조황은 전체적으로 

기복이 심한 주말이었습니다

 

포인트별도 조황 및 입질 시간대가 

다소 차이가 많이 난것 같습니다

 

낚시대 편성도 짧은대 긴대 병행해서

 운영하신 조사님들이 조금은 

조황이 좋았고 먹이운영도

 어분 및 섬유질 계열을 같이 

사용해보시는것이 좋을것 같습니다

 

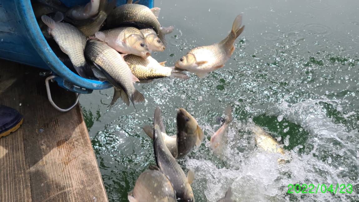
주말 붕어방류 실시 했습니다

주중 추가 방류 예정 입니다

 

 

1 (1).jpg

 

 

1 (2).jpg

 

 

2 (1).jpg

 

 

2 (2).jpg

 

 

2 (3).jpg

 

 

3 (1).jpg

 

 

3 (2).jpg

 

 

3 (3).jpg

 

 

5 (1).jpg

 

 

5 (2).jpg

 

 

6 (1).jpg

 

 

6 (2).jpg

 

 

6 (3).jpg

 

 

6 (4).jpg

 

 

7 (1).jpg

 

 

7 (2).jpg

 

 

8 (1).jpg

 

 

8 (2).jpg

 

 

8-1 (1).jpg

 

 

8-1 (2).jpg

 

 

8-3 (1).jpg

 

 

8-3 (2).jpg

 

 

9 (1).jpg

 

 

9 (2).jpg

 

 

9 (3).jpg

 

 

10.jpg

 

 

11.jpg

 

꾸미_20220423_115855.jpg

 

 

꾸미_20220423_115925.jpg

 

 

꾸미_20220423_120018.jpg

 

 

꾸미_20220423_120019(0).jpg

 

 

꾸미_20220423_120019.jpg

 

 

꾸미_20220423_120020(0).jpg

 

 

꾸미_20220423_120021(0).jpg

 

 

꾸미_20220423_120022(0).jpg

 

 

꾸미_20220423_120146.jpg

 

 

꾸미_20220423_120147(0).jpg

 

 

꾸미_20220423_120148.jpg

 

 

꾸미_20220423_120150.jpg

 

 

꾸미_20220423_120308.jpg

 

 

꾸미_20220423_120309(1).jpg

 

 

꾸미_20220423_120310(0).jpg

 

 

꾸미_20220423_120524.jpg

 

 

꾸미_20220423_120525.jpg

 

 

꾸미_20220423_120526.jpg

 

 

이미지 1.png

 

0 (1).jpg

 

 

0 (2).jpg

 

 

0 (3).jpg

 

 

0 (4).jpg

 

 

0 (5).jpg

 

 

0 (6).jpg

 

 

0 (7).jpg

 

 

0 (8).jpg

 

 

0 (9).jpg

 

 

0 (10).jpg

 

 

0 (11).jpg

 

 

0 (12).jpg

 

 

0 (13).jpg

 

 

0 (14).jpg

 

 

0 (15).jpg

 

 

0 (16).jpg

 

 

0 (17).jpg

 

 

0 (18).jpg

 

 

0 (19).jpg

 

 

0 (20).jpg

 

 

0 (21).jpg

 

 

0 (22).jpg

 

 

0 (23).jpg

 

 

0 (24).jpg

 

 

0 (25).jpg

 

 

0 (26).jpg

 

 

 

 [ 수곡낚시터 펜션 ] 이용요금 및 시설 안내

2022년 3월 25일 부터 펜션 예약받습니다

 

수세식화장실, 온수샤워장, 냉.난방, 침구, 식기일체, 인덕션렌지

숯불이용가능 야외 테이블등

가족,연인들과 함께 깨끗한 펜션 많은 이용바라며

낚시는 펜션앞 부교및 발판좌대 이용하시면 됩니다

 

 

자세한 사항은 아래 홈페이지 클릭하세요

 

 

 

★★펜션시설 및 이용안내 클릭!★★

 

 

사진 설명을 입력하세요.

 

 

 

 

펜션이용요금표.png

 

 

 

KakaoTalk_20200705_125601069 - 복사본.jpg 

 

이전글 없음
다음글 없음

댓글 1

page 1
  • 살모사 · 04-25 17:40 · IP 223.*.241.22
    잘보고 갑니다
댓글 작성은 로그인 후 가능합니다.

내용 하단 목록

전체 목록