본문바로가기

힐링 수곡낚시터 4월 첫째주 조황 및 붕어방류

IP 175.*.153.224 547 1

  칠보산 기슭 해발 120미터 맑은 물과 청정한 공기,

반딧불이가 노니는 수려한 풍광속 힐링 낚시 아지트

 사계절 물맑은 봄시즌 붕어낚시 힐링 양평 수곡낚시터

 

양평낚시터 수곡낚시터 4월 첫째주 주말

조황 및 붕어방류

 

 

 

 

[크기변환]그림1.png

 

 

 

KakaoTalk_20200705_125601069 - 복사본.jpg

 

 

 

KakaoTalk_20200705_125600924.jpg

 

 

물바가지.png

 

 

완연한 봄날씨지만

 아직까지는 밤과 아침으로는

 기온이 쌀쌀해서인지 조황도

 약간은 주춤한 모습을 보였습니다 

 

포인트별로 주 입질시간대 차이가 있으며

초저녁과 주로 늦은밤과 새벽시간 찌올림이 좋았고

마릿수 기복은 다소 있으나

봄붕어들 체고가 높아 당길힘이 좋답니다

 

오늘부터 다시 좋아지는 날씨에 

낮시간 조황도 기대해 볼만한 여건이며

조과도 좀더 늘어날것으로 기대해 봅니다

 

어분.섬유질 계열.생미끼 같은

 여러가지 먹이운영과 

짧은 칸수 낚시대를 병행해보시는 것도

 조황에 도움이 될것 같습니다

 

0 (1).jpg

 

 

0 (2).jpg

 

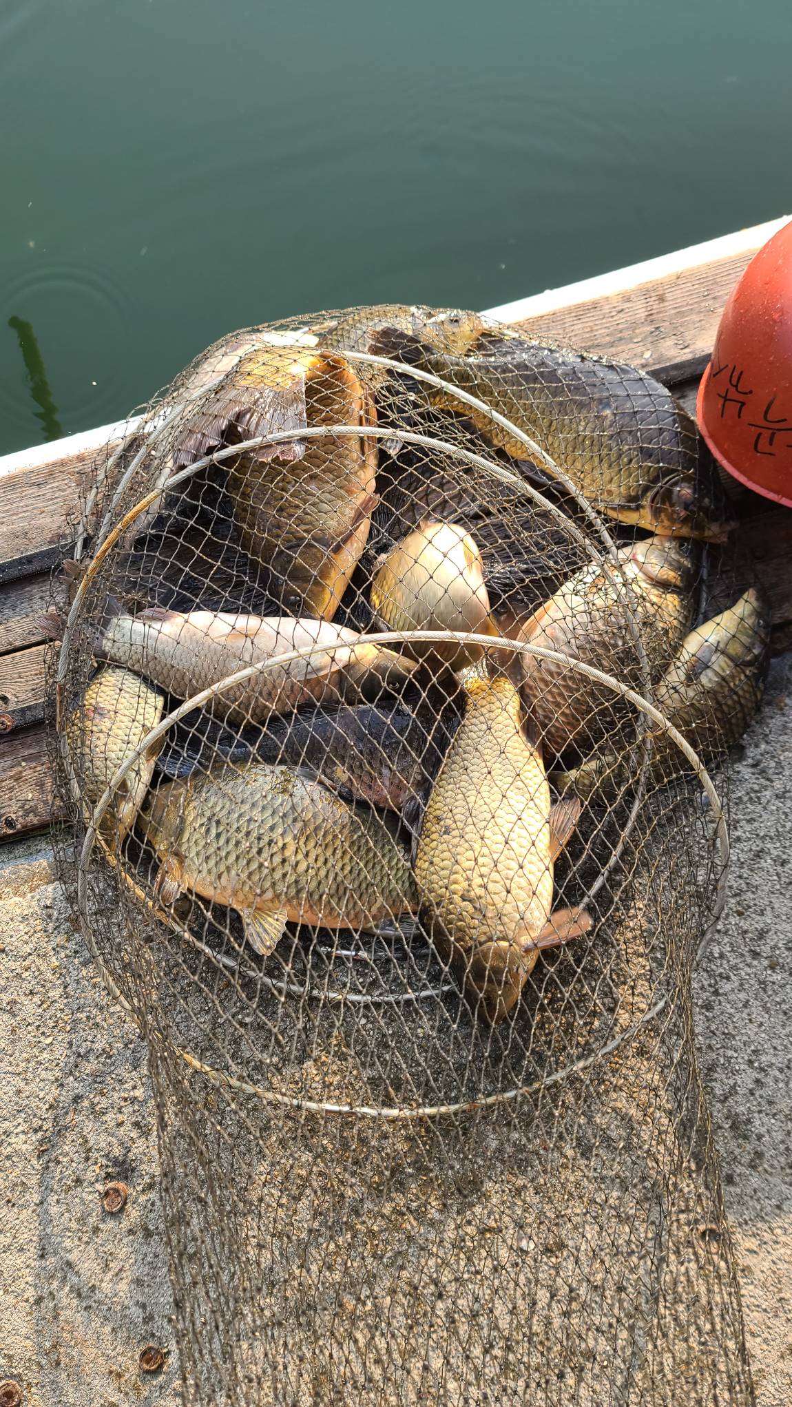
체고좋은 멋진 토종붕어들이 함께 나와주기 시작합니다 

 

0 (6).jpg

 

 

0 (7).jpg

 

 

6 (1).jpg

 

 

6 (2).jpg

 

 

6 (3).jpg

 

멋진 토종붕어들도 모습을 자주 보이네요~

 

7 (1).jpg

 

 

7 (2).jpg

 

 

 

7 (3).jpg

 

 

7 (4).jpg

 

 

7 (5).jpg

 

 

7 (6).jpg

 

 

7 (7).jpg

 

 

7 (8).jpg

 

 

10 (1).jpg

 

 

10 (2).jpg

 

 

10 (3).jpg

 

 

10 (4).jpg

 

 

10 (5).jpg

 

 

10 (6).jpg

 

 

11 (1).jpg

 

 

11 (2).jpg

 

 

12.jpg

 

 

13 (1).jpg

 

 

13 (2).jpg

 

 

13 (3).jpg

 

 

14 (8).jpg

 

 

14 (9).jpg

 

 

14 (10).jpg

 

 

14 (11).jpg

 

 

16 (1).jpg

 

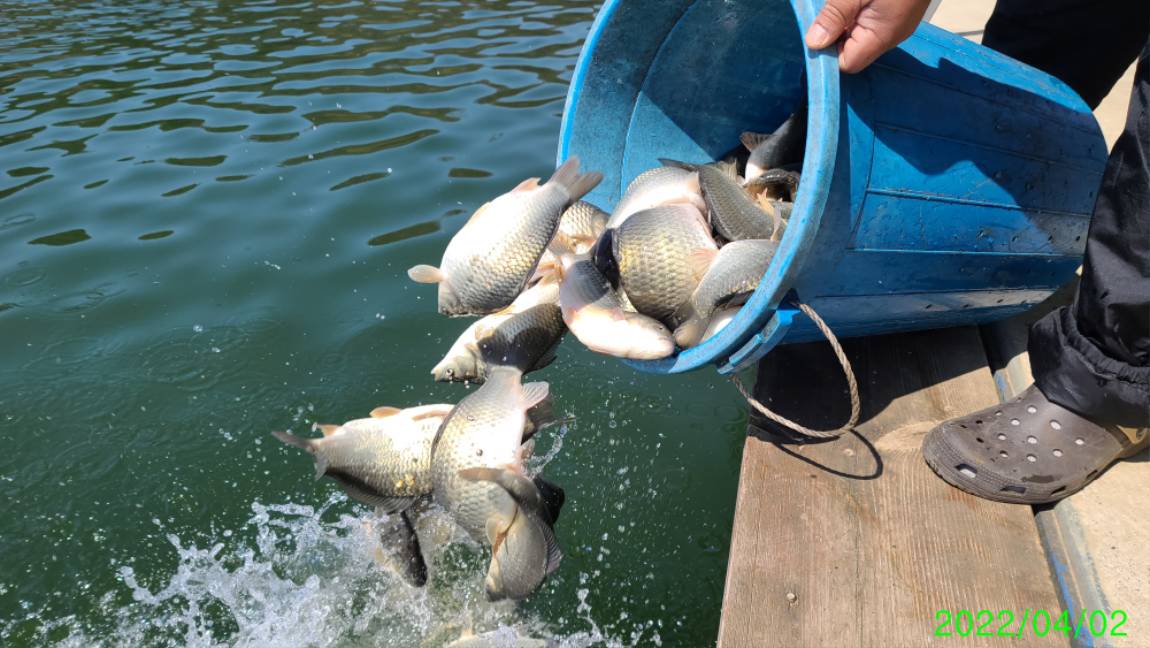
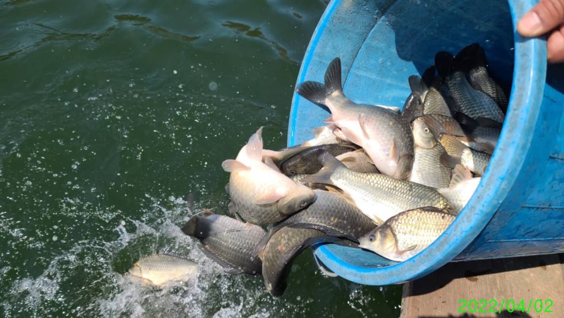
 주말 붕어 대량방류 했습니다 

 

꾸미_0 (1).jpg

 

 

꾸미_0 (2).jpg

 

 

꾸미_0 (3).jpg

 

 

꾸미_0 (4).jpg

 

 

꾸미_0 (5).jpg

 

 

꾸미_0 (6).jpg

 

 

꾸미_0 (7).jpg

 

 

꾸미_0 (8).jpg

 

 

꾸미_0 (9).jpg

 

 

꾸미_0 (10).jpg

 

 

꾸미_0 (11).jpg

 

 

꾸미_0 (12).jpg

 

 

꾸미_0 (13).jpg

 

 

꾸미_0 (14).jpg

 

 

이미지 1.png

 

 붕어방류는 계속 이어집니다

 

0 (1).jpg

 

 

0 (2).jpg

 

 

0 (5).jpg

 

 

0 (6).jpg

 

 

0 (7).jpg

 

 

0 (8).jpg

 

 

0 (9).jpg

 

 

0 (10).jpg

 

 

0 (11).jpg

 

 

0 (12).jpg

 

 

0 (13).jpg

 

 

0 (14).jpg

 

 

0 (15).jpg

 

 

0 (16).jpg

 

 

0 (17).jpg

 

 

0 (18).jpg

 

 

0 (19).jpg

 

 

0 (20).jpg

 

 

0 (21).jpg

 

 

0 (22).jpg

 

 

0 (23).jpg

 

 

0 (24).jpg

 

 

0 (25).jpg

 

 

0 (26).jpg

 

 

0 (27).jpg

 

 

0 (28).jpg

 

 

0 (29).jpg

 

 

0 (30).jpg

 

 

0 (31).jpg

 

 

0 (32).jpg

 

 

 

 

 [ 수곡낚시터 펜션 ] 이용요금 및 시설 안내

2022년 3월 25일 부터 펜션 예약받습니다

 

수세식화장실, 온수샤워장, 냉.난방, 침구, 식기일체, 인덕션렌지

숯불이용가능 야외 테이블등

가족,연인들과 함께 깨끗한 펜션 많은 이용바라며

낚시는 펜션앞 부교및 발판좌대 이용하시면 됩니다

 

 

자세한 사항은 아래 홈페이지 클릭하세요

 

 

 

★★펜션시설 및 이용안내 클릭!★★

 

 

사진 설명을 입력하세요.

 

 

 

 

펜션이용요금표.png

 

 

 

KakaoTalk_20200705_125601069 - 복사본.jpg

이전글 없음
다음글 없음

댓글 1

page 1
  • 살모사 · 04-04 11:15 · IP 223.*.241.175
    조황정보 잘보고갑니다
댓글 작성은 로그인 후 가능합니다.

내용 하단 목록

전체 목록