본문바로가기

힐링 수곡낚시터 5월 첫째 주말 조황 및 붕어방류 입니다

IP 175.*.153.224 5554 1

       칠보산 기슭 해발 120미터 맑은 물과 청정한 공기,

반딧불이가 노니는 수려한 풍광속 힐링 낚시 아지트

 사계절 물맑은 봄시즌 붕어낚시 힐링 양평 수곡낚시터

 

양평낚시터 수곡낚시터 5월 첫째주 주말

조황및 붕어방류

 

 

 

 

[크기변환]그림1.png

 

 

 

KakaoTalk_20200705_125601069 - 복사본.jpg

 

 

 

KakaoTalk_20200705_125600924.jpg

 

 

물바가지.png

 

몇일있으면 봄은 완전히 퇴색하고 

산과 들에는 신록이 일기 시작하며 

개구리 우는 소리가 들린다는 입하 입니다

 

주말 많은 조사님들이 찾아주셨는데

 날씨가 시기하여 바람이 많이 불어

 조황에도 영향을 주어서인지 

토요일은 조황이  조금 떨어졌으나

 일요일에는 많은 바람에도 불구하고

전체적으로  좋은 조황을 보였습니다

 

먹이는 어분 및 섬유질 계열에 반응이 좋았으며

낚시대 운영은 다소 짤은대 보다는 3.0칸대 부터 3.2칸대에

입질빈도가 좋았습니다

 

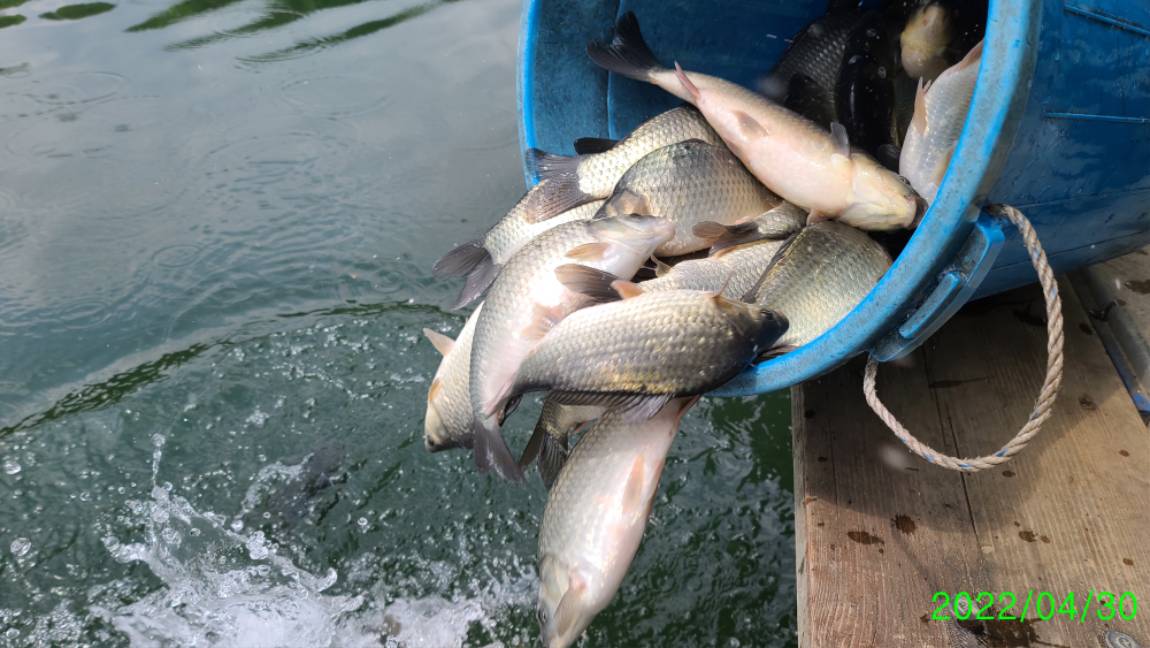
주말 붕어 방류 실시했으며

이번 주중 추가 붕어방류 예정입니다

 

1 (1).jpg

 

 

1 (2).jpg

 

 

1 (3).jpg

 

 

1 (4).jpg

 

 

2 (1).jpg

 

 

2 (2).jpg

 

 

2 (3).jpg

 

 

3 (1).jpg

 

 

3 (2).jpg

 

 

 

꾸미_20220430_123710.jpg

 

 

꾸미_20220430_123825.jpg

 

 

꾸미_20220430_123836.jpg

 

 

꾸미_20220430_123838(0).jpg

 

 

꾸미_20220430_123838.jpg

 

 

꾸미_20220430_123839(0).jpg

 

 

꾸미_20220430_123840.jpg

 

 

꾸미_20220430_124013.jpg

 

 

꾸미_20220430_124149.jpg

 

 

꾸미_20220430_124150.jpg

 

 

꾸미_20220430_124151(0).jpg

 

 

꾸미_20220430_124151.jpg

 

 

꾸미_20220430_124152.jpg

 

 

꾸미_20220430_124403.jpg

 

 

꾸미_20220430_124404.jpg

 

 

꾸미_20220430_124406(0).jpg

 

 

꾸미_20220430_124406.jpg

 

 

이미지 1.png

 

 

 

8 (1).jpg

 

 

8 (5).jpg

 

 

8 (6).jpg

 

 

8 (7).jpg

 

 

8 (8).jpg

 

 

8 (9).jpg

 

 

8 (10).jpg

 

 

8 (13).jpg

 

 

8 (15).jpg

 

 

8 (16).jpg

 

 

8 (17).jpg

 

 

8 (18).jpg

 

 

8 (19).jpg

 

 

8 (22).jpg

 

 

8 (23).jpg

 

 

8 (24).jpg

 

 

8 (29).jpg

 

 

8 (31).jpg

 

 

8 (34).jpg

 

 

8 (35).jpg

 

 

8 (36).jpg

 

 [ 수곡낚시터 펜션 ] 이용요금 및 시설 안내

2022년 3월 25일 부터 펜션 예약받습니다

 

수세식화장실, 온수샤워장, 냉.난방, 침구, 식기일체, 인덕션렌지

숯불이용가능 야외 테이블등

가족,연인들과 함께 깨끗한 펜션 많은 이용바라며

낚시는 펜션앞 부교및 발판좌대 이용하시면 됩니다

 

 

자세한 사항은 아래 홈페이지 클릭하세요

 

 

 

★★펜션시설 및 이용안내 클릭!★★

 

 

 

사진 삭제

사진 설명을 입력하세요.

 

 

 

 

 

펜션이용요금표.png

 

 

 

KakaoTalk_20200705_125601069 - 복사본.jpg1 (1).jpg

 

이전글 없음
다음글 없음

댓글 1

page 1
  • 살모사 · 05-02 17:23 · IP 223.*.150.114
    잘보고 갑니다ㅎ
댓글 작성은 로그인 후 가능합니다.

내용 하단 목록

전체 목록