본문바로가기

10월 첫주말 금,토 힐링 수곡낚시터 조황 고른편 조과들이네요

IP 175.*.153.224 579 1

칠보산 기슭 해발 120미터 맑은 물과 청정한 공기,

반딧불이가 노니는 사계절 수려한 풍광속 힐링 낚시 아지트

 가을시즌 풍광좋은 붕어낚시 힐링 양평 수곡낚시터

 

힐링 양평 수곡낚시터 펜션 오픈 

 

10월 첫주말 금,토요일 조황 및 붕어방류

 

KakaoTalk_20200705_125601069 - 복사본.jpg

 

 

 

KakaoTalk_20200705_125600924.jpg   

 

 

인체에 무해한 최고급 소독제를 사용하여

매일 방역소독 실시중 입니다 

마스크 필히 지참 바랍니다

 

프레젠테이션1-1.jpg 

 

수곡낚시터 펜션을 새롭게 오픈하였습니다

수세식화장실, 온수샤워장, 냉.난방, 침구, 식기일체, 인덕션렌지

숯불이용가능 야외 테이블등

가족,연인들과 함께 깨끗한 펜션 많은 이용바라며

낚시는 펜션앞 부교및 발판좌대 이용하시면 됩니다

 

슬라이드1.JPG

 

 

슬라이드2.JPG

 

 

프레젠테이션1.jpg 

 

 

수곡낚시터 좌대및 시설안내 클릭하세요!      

 

본격적인 가을시즌으로 접어드는 시월愛

높아지는 하늘과 산들부는 바람만으로도

일상의 스트레스가 덜어지고 힐링되는듯합니다

 

9월 중후반 기온차가 많이나면서 다소

주춤하던 조황들이 이제는 서서히 안정을 찾아

가는듯 꾸준하게 가을붕어들을 볼수 있는거 같네요

 

최근 낮조황이 밤조황보다 더 우세한듯하나

가을 밤낚시의 재미도 더 늘어날듯합니다

 

주말 토요일도 붕어방류 완료하였으며

이번주도 화,목,토요일 붕어방류는 이어지겠으며

어제와 오늘 조황 순서로 올립니다

 

 

3.jpg

 

 

3-1.jpg

 

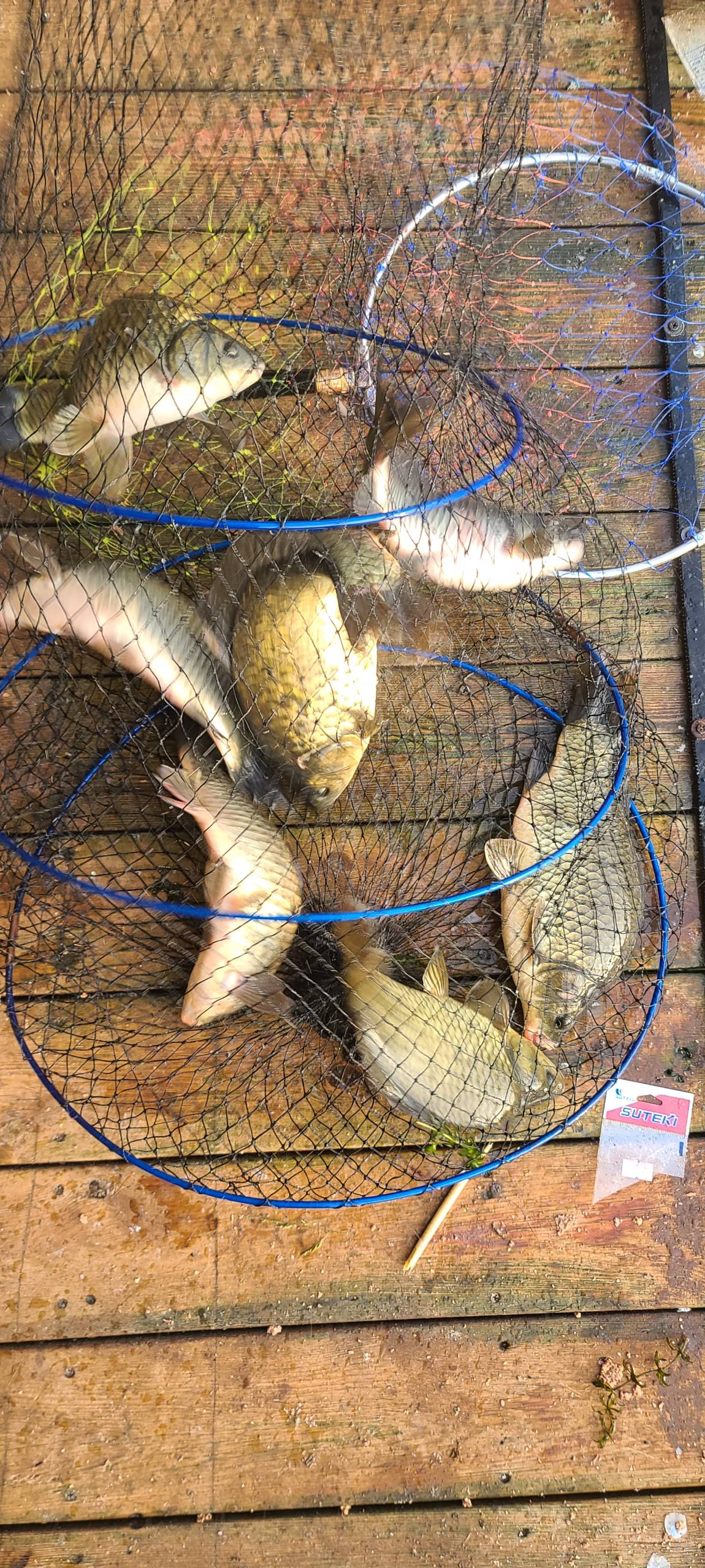
호조황이 부족했던 포인트에서도

좋은 조과를 거두셨네요

 

3-2.jpg

 

 

3-3.jpg

 

 

3-4.jpg

 

 

3-5.jpg

 

포인트마다 낚싯대 칸수영향이 다소

다른 조과차이를 보여서 정답은 없는듯하나

짧은대를 병행해 보는것이 어떠실까합니다^^

 

3-6.jpg

 

 

3-8.jpg

 

 

3-9.jpg

 

 

9 (1).jpg

 

 

9 (2).jpg

 

 

9 (3).jpg

 

 

9 (4).jpg

 

 

9 (5).jpg

 

 

9 (6).jpg

 

 

9 (7).jpg

 

 

9 (8).jpg

 

 

9 (9).jpg

 

 

9 (10).jpg

 

 

9 (11).jpg

 

 

9 (12).jpg

 

 

9 (13).jpg

 

 

9 (14).jpg

 

 

9 (15).jpg

 

 

9 (16).jpg

 

 

9 (17).jpg

 

 

9 (18).jpg

 

 

9 (19).jpg

 

 

9 (20).jpg

 

 

9 (21).jpg

 

 

9 (22).jpg

 

 

9 (23).jpg

 

금요일 저녁에 내린 큰비로 토요일 수온이

다소 떨어진듯 하네요

 

 

3.jpg

 

 

3-1.jpg

 

 

3-2.jpg

 

 

3-3.jpg

 

 

3-4.jpg

 

 

3-5.jpg

 

 

3-6.jpg

 

 

3-7.jpg

 

 

9 (2).jpg

 

 

9 (3).jpg

 

 

9 (4).jpg

 

 

9 (5).jpg

 

 

9 (8).jpg

 

 

9 (9).jpg

 

 

9 (10).jpg

 

 

9 (14).jpg

 

 

9 (15).jpg

 

 

9 (18).jpg

 

 

9 (19).jpg

 

주말 붕어방류 모습이며

연휴가 있는 이번주도 화,목,토요일 붕어방류합니다

 

 

꾸미_20211002_105324.jpg

 

 

꾸미_20211002_105325.jpg

 

 

꾸미_20211002_105502(0).jpg

 

 

꾸미_20211002_105503.jpg

 

 

꾸미_20211002_105657(0).jpg

 

 

꾸미_20211002_105841.jpg

 

 

꾸미_20211002_105842.jpg

 

 

이미지 1.png

 

 

9 (1).jpg

 

 

9 (2).jpg

 

 

9 (3).jpg

 

 

9 (4).jpg

 

 

9 (5).jpg

 

 

9 (6).jpg

 

 

9 (7).jpg

 

 

9 (8).jpg

 

 

9 (9).jpg

 

 

9 (10).jpg

 

 

9 (11).jpg

 

 

KakaoTalk_20200705_125600924.jpg

 

 

KakaoTalk_20200705_125601069 - 복사본.jpg

 

이전글 없음
다음글 없음

댓글 1

page 1
  • 수심꽝 · 10-03 13:27 · IP 223.*.54.219
    정보감사합니다 ^^
댓글 작성은 로그인 후 가능합니다.

내용 하단 목록

전체 목록