본문바로가기

11월 둘째주 힐링 수곡낚시터 주말 조황 및 대호만 토종붕어방류, 방한시설

IP 175.*.153.224 869 1

 칠보산 기슭 해발 120미터 맑은 물과 청정한 공기,

반딧불이가 노니는 수려한 풍광속 힐링 낚시 아지트

 사계절 물맑은 동절기 붕어낚시 힐링 양평 수곡낚시터

 

힐링 양평 수곡낚시터 펜션 오픈 

 

11월 둘째주 주말 조황 및 토종붕어방류 안내

수상좌대,노지부교 방한천막 설치완료

 

KakaoTalk_20200705_125601069 - 복사본.jpg

 

 

 

KakaoTalk_20200705_125600924.jpg   

 

 

인체에 무해한 최고급 소독제를 사용하여

매일 방역소독 실시중 입니다 

마스크 필히 지참 바랍니다

 

프레젠테이션1-1.jpg 

 

 

 

수곡낚시터 좌대및 시설안내 클릭하세요!      

 

중형,대형,특,노지부교 

동계 방한천막 설치 모두 완료하였으며

동절기 낚시텐트 무상대여 (11월 말경부터)

 

신형 등유난로 12월3일 부터 예약대여

 등유포함 1만원에 예약대여합니다

 

난로.png

 

 

이미지 012021 동절기할인행사.jpg

 

 

이미지 022021 동절기할인행사.jpg

 

 

 

이미지 032021 동절기할인행사.jpg 

 

한동안 평년기온을 한참 밑돌며 쌀쌀했던

날씨가 이제는 평년기온을 ?으면서

낮시간과 밤시간 붕어들 활성도가 괜찬습니다

 

낮시간에 더 집중됐던 조황에서

밤시간에도 붕어들 찌올림이 좋아졌네요

 

어분,섬유질계열과 함께 새우미끼도 준비되어있으니

병행하여 운용하심도 좋으실듯합니다

 

주말에는 토종붕어를 함께 대량방류하였습니다

한동안 주춤했던 조황들이 회복한듯하네요

 

금,토 주말 조황순으로 사진올립니다

 

3.jpg

 

 

3-1.jpg

 

 

3-2.jpg

 

 

3-3.jpg

 

 

3-4.jpg

 

한동안 크게 떨어졌던 기온이 다시

예년기온을 ?으면서 마릿수도

서서히 늘어나는 조황들인거 같네요

 

3-6.jpg

 

 

3-7.jpg

 

 

3-8.jpg

 

 

9 (1).jpg

 

 

9 (2).jpg

 

 

9 (3).jpg

 

 

9 (4).jpg

 

 

9 (5).jpg

 

 

9 (13).jpg

 

 

9 (14).jpg

 

 

9 (15).jpg

 

 

9 (16).jpg

 

 

9 (17).jpg

 

 

10.jpg

 

낮시간에 집중됐던 조과가 이제는

밤시간에도 입질빈도가 늘어나는 추세네요

 

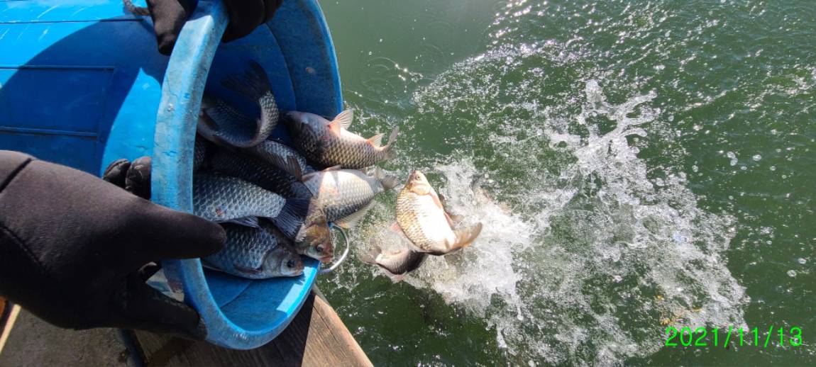
토요일에 대호만 자연산 토종붕어를 포함

대량으로 붕어방류를 완료하였습니다

 

 

2.jpg

 

 

3.jpg

 

 

꾸미_20211113_122341.jpg

 

 

꾸미_20211113_122343(0).jpg

 

 

꾸미_20211113_122344(0).jpg

 

 

꾸미_20211113_122551.jpg

 

 

꾸미_20211113_122552.jpg

 

 

꾸미_20211113_122744.jpg

 

 

꾸미_20211113_122915.jpg

 

 

꾸미_20211113_122916.jpg

 

 

꾸미_20211113_123729.jpg

 

 

꾸미_20211113_123759.jpg

 

 

꾸미_20211113_124239.jpg

 

 

꾸미_20211113_124247.jpg

 

 

꾸미_20211113_124249.jpg

 

 

꾸미_20211113_124511.jpg

 

 

이미지 1.png

 

 

9 (1).jpg

 

 

9 (2).jpg

 

 

9 (3).jpg

 

 

9 (4).jpg

 

 

9 (5).jpg

 

 

9 (6).jpg

 

 

9 (7).jpg

 

 

9 (8).jpg

 

 

KakaoTalk_20200705_125600924.jpg

 

 

KakaoTalk_20200705_125601069 - 복사본.jpg

 

이전글 없음
다음글 없음

댓글 1

page 1
  • 수심쨩 · 11-16 06:34 · IP 223.*.46.209
    정보감사합니다 ^^
댓글 작성은 로그인 후 가능합니다.

내용 하단 목록

전체 목록