본문바로가기

5월 마무리 와 주초 양평 수곡 낚시터 낮조황 포함 대체로 고르고 꾸준합니다

IP 175.*.153.224 9623 1

  칠보산 기슭 해발 120미터 맑은 물과 청정한 공기,

반딧불이가 노니는 수려한 풍광속 힐링 낚시 아지트

 사계절 물맑은 봄시즌 붕어낚시 힐링 양평 수곡낚시터

 

양평낚시터 수곡낚시터

 5월 마감 및 주초 조황 대체로 고르고

꾸준한 조과를 보여주네요

 

 

 

 

[크기변환]그림1.png

 

 

 

KakaoTalk_20200705_125601069 - 복사본.jpg

 

 

 

KakaoTalk_20200705_125600924.jpg

 

 

애완동물 동반 절대 금지

좌대실내 고기굽기,흡연 절대금지 하오며

적발시 강제 퇴실조치 하겠습니다

 

 

취사금지 애완동물금지.png

 

 

물바가지.png

 

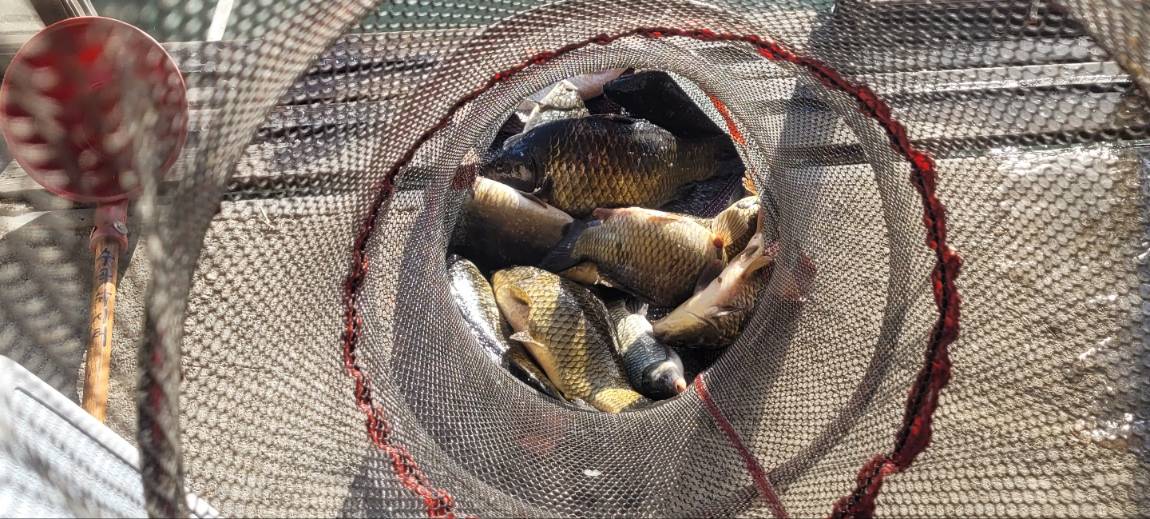
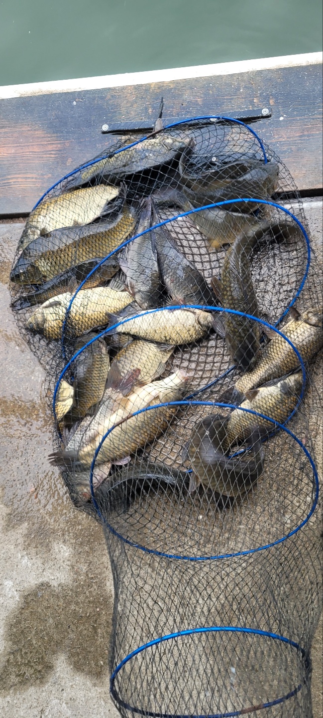
배수기에 늘 꾸준한 조황을 보여주고

낮시간에도 씨알좋은 붕어들이 나오며

초저녁과 새벽시간 찌올림과 조과 괜찬네요

 

2미터 전후 수심에서 안정된 조과를

보여주고 있으며 붕어들 당길힘은 최고조입니다

 

어제는 낮시간에 5짜에 육박하는 붕어도

나와주면서 활성도는 나쁘지 않은듯 한데

까다로운 입질 패턴을 보일때 채비 및 미끼

운용의 변화를 주는것이 조과에 도움될듯합니다

 

 

2.jpg

 

 

2-1.jpg

 

 

2-2.jpg

 

 

3.jpg

 

 

3-1.jpg

 

 

3-5.jpg

 

한낮에 큰 손맛을 준 5짜급 붕어네요

 

3-6.jpg

 

 

3-7.jpg

 

 

3-8.jpg

 

 

3-8-1.jpg

 

 

3-9.jpg

 

 

4.jpg

 

 

4-1.jpg

 

 

4-2.jpg

 

 

4-3.jpg

 

 

9 (1).jpg

 

 

9 (2).jpg

 

 

9 (7).jpg

 

 

9 (8).jpg

 

 

9 (9).jpg

 

 

9 (10).jpg

 

 

9 (11).jpg

 

 

9 (14).jpg

 

 

9 (15).jpg

 

 

9 (16).jpg

 

 

9 (20).jpg

 

 

9 (25).jpg

 

 

9 (26).jpg

 

 

9 (27).jpg

 

 

9 (28).jpg

 

 

9 (30).jpg

 

 

9 (31).jpg

 

9 (34).jpg

 

 

9 (35).jpg

 

 

9 (37).jpg

 

 

9 (1).jpg

 

 

9 (2).jpg

 

 

9 (4).jpg

 

 

9 (5).jpg

 

 

9 (6).jpg

 

 

9 (7).jpg

 

 

9 (8).jpg

 

 

9 (9).jpg

 

 

9 (10).jpg

 

 

9 (11).jpg

 

 

9 (12).jpg

 

 

9 (13).jpg

 

 

9 (14).jpg

 

 

 

 

 

 

 [ 수곡낚시터 펜션 ] 이용요금 및 시설 안내

 펜션 예약받습니다

 

애완동물은 동반입실 불가하오니 이용에 참고하시기 바랍니다

 

 

수세식화장실, 온수샤워장, 냉.난방, 침구, 식기일체, 인덕션렌지

숯불이용가능 야외 테이블등

가족,연인들과 함께 깨끗한 펜션 많은 이용바라며

낚시는 펜션앞 부교및 발판좌대 이용하시면 됩니다

 

 

자세한 사항은 아래 홈페이지 클릭하세요

 

 

 

★★펜션시설 및 이용안내 클릭!★★

 

 

사진 설명을 입력하세요.

 

 

 

 

펜션이용요금표.png

 

 

 


KakaoTalk_20200705_125601069 - 복사본.jpg

이전글 없음
다음글 없음

댓글 1

page 1
  • 살모사 · 05-31 21:35 · IP 223.*.149.30
    정보 잘보고 갑니다
댓글 작성은 로그인 후 가능합니다.

내용 하단 목록

전체 목록