본문바로가기

5월 세째주 주초 양평 힐링수곡낚시터 호조황도 나오고 노지,좌대 고른편이네요

IP 175.*.153.224 11117 1

 칠보산 기슭 해발 120미터 맑은 물과 청정한 공기,

반딧불이가 노니는 수려한 풍광속 힐링 낚시 아지트

 사계절 물맑은 봄시즌 붕어낚시 힐링 양평 수곡낚시터

 

양평낚시터 수곡낚시터 5월 셋째주초 조황

대체로 고른편 조황속에 대박조황도 나와주네요

 

 

 

 

[크기변환]그림1.png

 

 

 

KakaoTalk_20200705_125601069 - 복사본.jpg

 

 

 

KakaoTalk_20200705_125600924.jpg

 

 

물바가지.png 

 

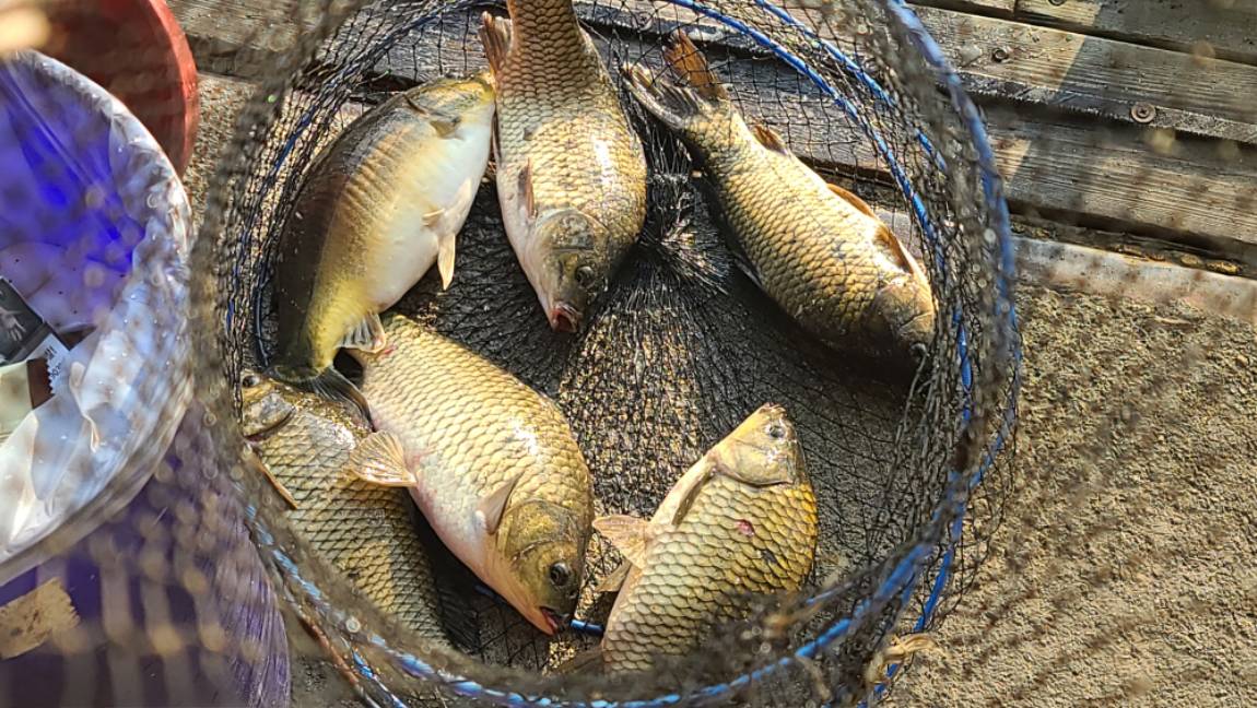
5월의 중반에 접어들면서 대체로 조황이 고른편이며

낮시간 조황도 나와주면서 대박조황도 나오네요

 수상좌대와 노지부교도 대체로 꾸준히 나와줍니다

 

낮시간 다소 예민한 입질이나 바람이 불어주면

입질은 좀더 시원해지고 약간의 채비 변환으로

조과에 차이를 보일수 있는듯 합니다

 

2미터 60~2미터 수심층으로 활성도가

가장 좋은때이며 씨알과 당길힘도 좋은시기인듯 합니다

 

내일도 튼실한 붕어들 방류하며 주말

토요일도 붕어방류는 이어지겠습니다

 

 

3.jpg

 

 

3-+1.jpg

 

씨알과 마릿수 모두 좋은 조과를 거두셨네요

중상류권과 중하류권 번갈아가며 조과차이는 나네요

 

 

3-2.jpg

 

 

3-3.jpg

 

 

3-4.jpg

 

노지부교 포인트들도 꾸준한 조과를 보여주네요

 

3-5.jpg

 

 

3-6.jpg

 

 

3-7).jpg

 

 

3-8.jpg

 

 

3-9.jpg

 

 

4.jpg

 

 

-4.jpg

 

 

4-1.jpg

 

 

4-2.jpg

 

 

4-3.jpg

 

 

4-4.jpg

 

 

4-5.jpg

 

 

9 (1).jpg

 

 

9 (2).jpg

 

 

9 (6).jpg

 

 

9 (7).jpg

 

 

9 (8).jpg

 

 

9 (10).jpg

 

 

9 (23).jpg

 

 

9 (24).jpg

 

 

9 (26).jpg

 

 

9 (27).jpg

 

 

9 (28).jpg

 

 

9 (31).jpg

 

 

9 (32).jpg

 

 

9 (33).jpg

 

 

9 (34).jpg

 

10 (1).jpg

 

 

10 (2).jpg

 

 

9 (1).jpg

 

 

9 (2).jpg

 

 

9 (3).jpg

 

 

9 (4).jpg

 

 

9 (5).jpg

 

 

9 (6).jpg

 

 

9 (7).jpg

 

 

9 (8).jpg

 

 

9 (9).jpg

 

 

9 (10).jpg

 

 

9 (11).jpg

 

 

 

 

 [ 수곡낚시터 펜션 ] 이용요금 및 시설 안내

2022년 3월 25일 부터 펜션 예약받습니다

 

수세식화장실, 온수샤워장, 냉.난방, 침구, 식기일체, 인덕션렌지

숯불이용가능 야외 테이블등

가족,연인들과 함께 깨끗한 펜션 많은 이용바라며

낚시는 펜션앞 부교및 발판좌대 이용하시면 됩니다

 

 

자세한 사항은 아래 홈페이지 클릭하세요

 

 

 

★★펜션시설 및 이용안내 클릭!★★

 

 

사진 설명을 입력하세요.

 

 

 

 

펜션이용요금표.png

 

 

 


KakaoTalk_20200705_125601069 - 복사본.jpg

이전글 없음
다음글 없음

댓글 1

page 1
  • 살모사 · 05-18 16:21 · IP 223.*.248.61
    잘보고 갑니다
댓글 작성은 로그인 후 가능합니다.

내용 하단 목록

전체 목록