본문바로가기

6월둘째주말 양평 수곡낚시터 조황 및 붕어방류 소식입니다

IP 121.*.219.253 17907 0

  1 수곡낚시터 메인4장합사진 글올릴때.jpg

 

칠보산 자락 해발 120미터 수려한 풍광과 

맑은물 힐링 양평 수곡낚시터 

6월 둘째주말 주후반 조황 및 붕어방류

 

 

 [크기변환]그림1.png 

 

그림1.png

 

 

그림2.png

 

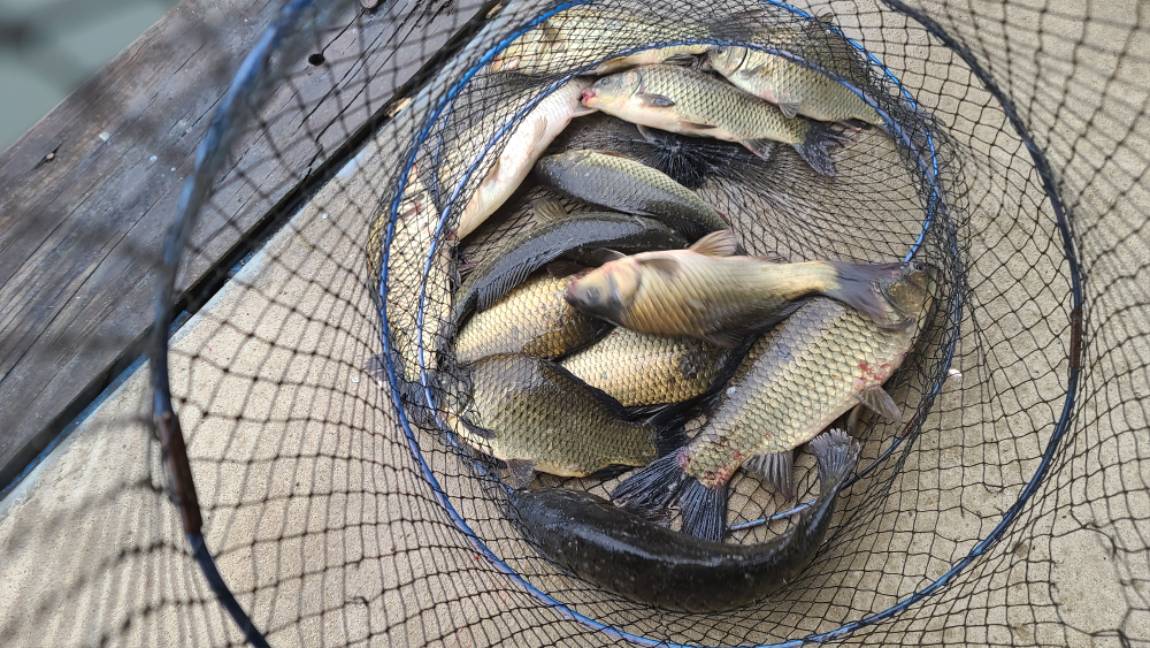
올해는 기온차가 큰편이긴 하지만

몇차례 내려주는 단비가 고맙게 느껴집니다

 

대체로 상.중.하류권 수상좌대및

노지부교 포인트들 조황이 고른편이며

낮시간 조황들이 꾸준한 편이네요

 

맑은물 계곡지 특성상 조과 기복은

있는 편이지만 최근 꾸준하게

나와주고 있으며 씨알과 당길힘도 좋답니다

 

수상좌대와 더불어 노지포인트들도

낮조황에 씨알좋은 붕어들 나오네요 

 

주중 방류에 이어 주말도 붕어방류 했습니다

 

 

2 (1).jpg

 

 

2 (2).jpg

 

 

2 (3).jpg

 

 

2 (4).jpg

 

 상류와 하류권 포인트들

낮조황도 고르게 나와주고 있네요

 

4 (1).jpg

 

 

4 (2).jpg

 

 

4 (3).jpg

 

 

4 (4).jpg

 

 

5 (1).jpeg

 

 

5 (1).jpg

 

 

5 (2).jpeg

 

 

5 (2).jpg

 

 

6 (1).jpg

 

 

6 (2).jpg

 

 

6 (3).jpg

 

 

7 (1).jpg

 

 

7 (2).jpg

 

 

7 (3).jpg

 

낮조황이 잘 나와주면 밤시간에는

늦은밤과 새벽조황이 또 좋답니다

 

9 (1).jpeg

 

 

9 (1).jpg

 

 

9 (2).jpg

 

 

9 (12).jpg

 

 

9 (13).jpg

 

 

9 (14).jpg

 

 

9 (15).jpg

 

 

9 (16).jpg

 

 

9 (17).jpg

 

 

9 (18).jpg

 

 

9 (19).jpg

 

 

9 (24).jpg

 

 

9 (25).jpg

 

 

9 (26).jpg

 

9 (30).jpg

 

 

9 (31).jpg

 

금요일 붕어방류에 이어서 주말

토요일에도 튼실한 붕어들 방류했습니다

 

 

9 (1).jpg

 

 

9 (2).jpg

 

 

9 (3).jpg

 

 

9 (4).jpg

 

 

9 (5).jpg

 

 

9 (6).jpg

 

 

사용자 지정 1.png

 

 

9 (1).jpg

 

 

9 (2).jpg

 

 

9 (3).jpg

 

 

9 (4).jpg

 

 

9 (5).jpg

 

 

9 (6).jpg

 

 

9 (7).jpg

 

 

9 (8).jpg

 

 

9 (9).jpg

 

 

9 (10).jpg

 

 

9 (11).jpg

 

 

9 (12).jpg

 

 

9 (13).jpg

 

 

9 (14).jpg

 

 

9 (15).jpg

 

 

9 (16).jpg

 

 

9 (17).jpg

 

 

9.jpg

 

 

10.jpg

 

 

11.jpg

 

슬라이드1.JPG

 

 

슬라이드2.JPG

 

 

슬라이드3.JPG

 

 

슬라이드4.JPG

 

2022인상요금표 (2).png

 

 

낚시터안내.png

 

 

슬라이드19.JPG

 

 

ㅋ 1 (4).png

 

이전글 없음
다음글 없음

댓글 0

page 1
  • 댓글이 없습니다.
댓글 작성은 로그인 후 가능합니다.

내용 하단 목록

전체 목록