본문바로가기

6월 넷째주 주말 양평 힐링 수곡낚시터 붕어대량방류 및 조황

IP 175.*.153.224 9189 1

     칠보산 기슭 해발 120미터 맑은 물과 청정한 공기,

반딧불이가 노니는 수려한 풍광속 힐링 낚시 아지트

 사계절 물맑은 봄시즌 붕어낚시 힐링 양평 수곡낚시터

 

양평낚시터 수곡낚시터

6월 넷째주 주말

 붕어방류 및 조황 

 

 

 

[크기변환]그림1.png

 

 

 

KakaoTalk_20200705_125601069 - 복사본.jpg

 

 

 

KakaoTalk_20200705_125600924.jpg

 

 

 

 

 

 

애완동무.png

 

 

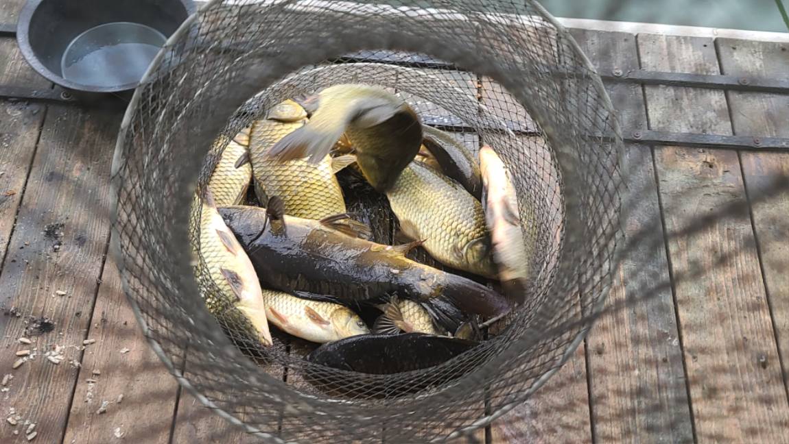
​많은 비를 기다렸지만 

기대에 미치지는 못한것 같습니다

 

포인트별과 시간대별로 조황 차이가 있는

전체적으로 약간은 아쉬운

 주말 조황 이었습니다

 

금요일 /토요일 연이어 붕어방류 실시했습니다

 

1656223693226-3.jpg

 

 

1656223693226-1.jpg

 

 

1656223693226-2.jpg

 

 

 

1 (1).jpg

 

 

1 (2).jpg

 

 

2.jpg

 

 

3 (1).jpg

 

 

3 (2).jpg

 

 

4 (1).jpg

 

 

4 (2).jpg

 

 

5 (1).jpg

 

 

5 (2).jpg

 

 

6 (1).jpg

 

 

6 (2).jpg

 

 

1656223717607-7.jpg

 

7 (1).jpg

 

 

7 (2).jpg

 

 

1656223717607-2.jpg

 

 

1656223717607-3.jpg

 

1656223717607-5.jpg

 

1656223717607-1.jpg

 

8.jpg

 

 

9 (1).jpg

 

 

9 (2).jpg

 

 

10 (1).jpg

 

 

10 (2).jpg

 

 

11.jpg

 

 

 

꾸미_20220624_150736.jpg

 

 

꾸미_20220624_150908.jpg

 

 

꾸미_20220624_150910.jpg

 

 

꾸미_20220624_151111.jpg

 

 

꾸미_20220624_151113.jpg

 

 

꾸미_20220624_151114.jpg

 

 

꾸미_20220624_151337.jpg

 

 

꾸미_20220624_151341.jpg

 

 

이미지 1.png

 

꾸미_20220625_125726.jpg

 

 

꾸미_20220625_125909(0).jpg

 

 

꾸미_20220625_125909.jpg

 

 

꾸미_20220625_130050(0).jpg

 

 

꾸미_20220625_130051(0).jpg

 

 

꾸미_20220625_130252(0).jpg

 

 

꾸미_20220625_130252.jpg

 

 

꾸미_20220625_130556.jpg

 

 

꾸미_20220625_130557.jpg

 

 

이미지 1.png

 

1 (1).jpg

 

 

1 (2).jpg

 

 

1 (3).jpg

 

 

1 (4).jpg

 

 

1 (5).jpg

 

 

1 (6).jpg

 

 

1 (7).jpg

 

 

1 (8).jpg

 

 

1 (9).jpg

 

 

1 (10).jpg

 

 

1 (11).jpg

 

 

1 (12).jpg

 

 

1 (13).jpg

 

 

1 (14).jpg

 

 

1 (15).jpg

 

 

1 (16).jpg

 

 

1 (17).jpg

 

 

1 (18).jpg

 

 [ 수곡낚시터 펜션 ] 이용요금 및 시설 안내

 펜션 예약받습니다

 

애완동물은 동반입실 불가하오니 이용에 참고하시기 바랍니다

 

 

수세식화장실, 온수샤워장, 냉.난방, 침구, 식기일체, 인덕션렌지

숯불이용가능 야외 테이블등

가족,연인들과 함께 깨끗한 펜션 많은 이용바라며

낚시는 펜션앞 부교및 발판좌대 이용하시면 됩니다

 

 

자세한 사항은 아래 홈페이지 클릭하세요

 

 

 

★★펜션시설 및 이용안내 클릭!★★

 

 

사진 설명을 입력하세요.

 

 

 

 

펜션이용요금표.png

 

 

 

KakaoTalk_20200705_125601069 - 복사본.jpg 

이전글 없음
다음글 없음

댓글 1

page 1
  • 살모사 · 06-27 15:01 · IP 223.*.148.149
    정보 잘보고 갑니다
댓글 작성은 로그인 후 가능합니다.

내용 하단 목록

전체 목록