본문바로가기

6월 첫주 양평 수곡 낚시터 주후반도 꾸준한 조황이며 시간대 차이가 있네요

IP 175.*.153.224 10336 1

칠보산 기슭 해발 120미터 맑은 물과 청정한 공기,

반딧불이가 노니는 수려한 풍광속 힐링 낚시 아지트

 사계절 물맑은 봄시즌 붕어낚시 힐링 양평 수곡낚시터

 

양평낚시터 수곡낚시터

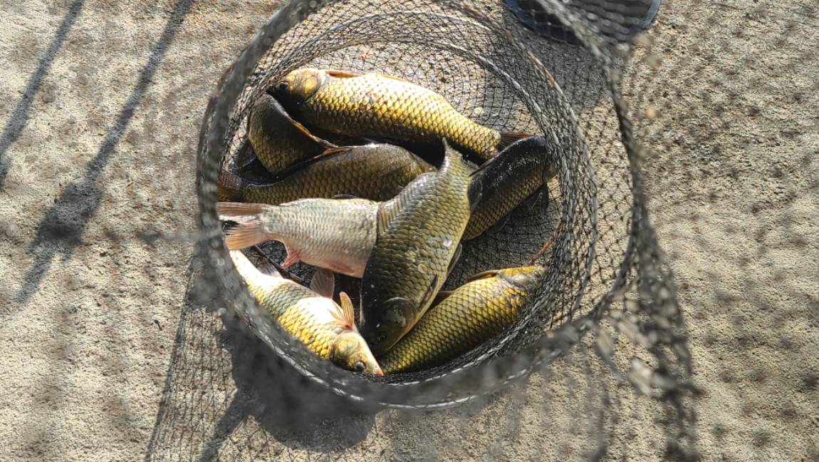
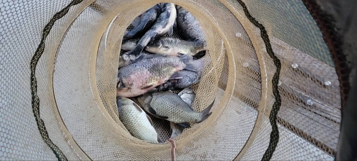
6월 첫주후반 조황도 꾸준한편 입니다

 

 

 

 

[크기변환]그림1.png

 

 

 

KakaoTalk_20200705_125601069 - 복사본.jpg

 

 

 

KakaoTalk_20200705_125600924.jpg

 

 

애완동물 동반 절대 금지

좌대실내 고기굽기,흡연 절대금지 하오며

적발시 강제 퇴실조치 하겠습니다

 

 

취사금지 애완동물금지.png 

 

 

6월이 접어들면서 밤과 낮 기온차가 

아직은 심한듯 하면서 주 입질 시간대가

낮조황은 어느정도 꾸준한듯하고, 초저녁과

밤12시전후 붕어들 활성도가 좋은듯합니다

 

한낮에 깨끗하고 씨알좋은 바닥녀석들이

강한 당길힘을 자랑하며 손맛을 주네요

 

어분계열과 밤시간 생미끼 병행도 좋을듯 합니다

 

어제도 튼실한 붕어들 방류하였으며

주말인 오늘도 붕어 방류 이어집니다

 

 

3.jpg

 

 

3-1.jpg

 

 

3-2.jpg

 

 

3-3.jpg

 

 

3-4.jpg

 

 

3-5.jpg

 

 

3-6.jpg

 

 

3-7.jpg

 

 

3-8.jpg

 

 

3-9.jpg

 

 

4.jpg

 

 

4-1.jpg

 

 

4-2.jpg

 

 

4-3.jpg

 

 

4-4.jpg

 

 

4-5.jpg

 

 

4-6.jpg

 

 

4-7.jpg

 

 

4-8.jpg

 

 

4-9.jpg

 

 

9 (1).jpg

 

 

9 (2).jpg

 

 

9 (5).jpg

 

 

9 (6).jpg

 

 

9 (7).jpg

 

9 (8).jpg

 

 

 

 

9 (10).jpg

 

 

9 (13).jpg

 

 

9 (14).jpg

 

 

9 (15).jpg

 

 

9 (16).jpg

 

 

9 (17).jpg

 

 

9 (18).jpg

 

 

9 (19).jpg

 

 

9 (20).jpg

 

 

9 (21).jpg

 

 

9 (22).jpg

 

 

9 (28).jpg

 

 

9 (29).jpg

 

 

9 (30).jpg

 

 

9 (31).jpg

 

 

9 (32).jpg

 

 

9 (33).jpg

 

 

9 (34).jpg

 

 

9 (35).jpg

 

 

9 (36).jpg

 

 

9 (37).jpg

 

 

9 (39).jpg

 

 

9 (40).jpg

 

 

9 (41).jpg

 

 

9 (42).jpg

 

 

9 (43).jpg

 

 

9 (44).jpg

 

 

9 (45).jpg

 

 

9 (51).jpg

 

 

9 (55).jpg

 

 

9 (56).jpg

 

 

9 (57).jpg

 

 

꾸미_20220603_113119.jpg

 

 

꾸미_20220603_113222.jpg

 

 

꾸미_20220603_113227.jpg

 

 

꾸미_20220603_113404(0).jpg

 

 

꾸미_20220603_113556.jpg

 

 

꾸미_20220603_113557(0).jpg

 

 

꾸미_20220603_113558.jpg

 

 

이미지 1.png

 

 

9 (1).jpg

 

 

9 (2).jpg

 

 

9 (3).jpg

 

 

9 (4).jpg

 

 

9 (5).jpg

 

 

9 (6).jpg

 

 

9 (7).jpg

 

 

9 (9).jpg

 

 

9 (10).jpg

 

 

9 (11).jpg

 

 

9 (12).jpg

 

 

9 (13).jpg

 

 

9 (14).jpg

 

 

 

 [ 수곡낚시터 펜션 ] 이용요금 및 시설 안내

 펜션 예약받습니다

 

애완동물은 동반입실 불가하오니 이용에 참고하시기 바랍니다

 

 

수세식화장실, 온수샤워장, 냉.난방, 침구, 식기일체, 인덕션렌지

숯불이용가능 야외 테이블등

가족,연인들과 함께 깨끗한 펜션 많은 이용바라며

낚시는 펜션앞 부교및 발판좌대 이용하시면 됩니다

 

 

자세한 사항은 아래 홈페이지 클릭하세요

 

 

 

★★펜션시설 및 이용안내 클릭!★★

 

 

사진 설명을 입력하세요.

 

 

 

 

펜션이용요금표.png

 

 

 


KakaoTalk_20200705_125601069 - 복사본.jpg

이전글 없음
다음글 없음

댓글 1

page 1
  • 살모사 · 06-04 13:07 · IP 223.*.249.191
    잘보고 갑니다
댓글 작성은 로그인 후 가능합니다.

내용 하단 목록

전체 목록