본문바로가기

7월 둘째주 주초 힐링 수곡낚시터 붕어소식

IP 175.*.153.224 9591 2

 칠보산 기슭 해발 120미터 맑은 물과 청정한 공기,

반딧불이가 노니는 수려한 풍광속 힐링 낚시 아지트

 여름시즌 붕어낚시 힐링 양평 수곡낚시터

 

양평낚시터 수곡낚시터

  

7월1일부터 대물붕어 및 마릿수 시상을 시작하오니

 

 여름휴가철 힐링 피서 즐기세요

 

 

대물붕어 마릿수 시상.png

 

 

 

[크기변환]그림1.png

 

 

 

KakaoTalk_20200705_125601069 - 복사본.jpg

 

 

 

KakaoTalk_20200705_125600924.jpg

 

 

 

 

 

 

애완동무.png 

 

 

양평낚시터 수곡낚시터

 

계속되는 오름수위로 

물맑고 깊은 수심을 유지하고 있으며

잔교와 노지 포인트도

 최적화를 이루고 있습니다

 

주말 및 주초 조황은 

아직까지는 포인트별 차이가 있으나

수심깊은곳 붕어들의

 짜릿한 손맛은 어느 포인트 

구분없이 느낄수 있습니다

  

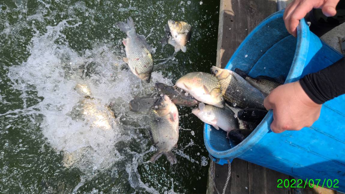
주말 붕어대량 방류 실시했습니다 

 

 

 

2 (1).jpg

 

 

2 (2).jpg

 

 

2 (3).jpg

 

 

2 (4).jpg

 

 

2 (5).jpg

 

 

2-6.jpg

 

 

3 (1).jpg

 

 

3 (2).jpg

 

 

4.jpg

 

 

6 (1).jpg

 

 

6 (2).jpg

 

 

6 (3).jpg

 

 

6 (4).jpg

 

 

7 (1).jpg

 

 

7 (2).jpg

 

 

8 (1).jpg

 

 

8 (2).jpg

 

 

8-3 (1).jpg

 

 

8-3 (2).jpg

 

 

8-5 (1).jpg

 

 

8-5 (2).jpg

 

 

9.jpg

 

 

9-1.jpg

 

 

10 (1).jpg

 

 

10 (2).jpg

 

 

10-3.jpg

 

 

15 (1).jpg

 

 

15 (2).jpg

 

 

16.jpg

 

 

꾸미_20220702_113136.jpg

 

 

꾸미_20220702_113300(0).jpg

 

 

꾸미_20220702_113300.jpg

 

 

꾸미_20220702_113301.jpg

 

 

꾸미_20220702_113443(0).jpg

 

 

꾸미_20220702_113443.jpg

 

 

꾸미_20220702_113444(0).jpg

 

 

꾸미_20220702_113446.jpg

 

 

꾸미_20220702_113642.jpg

 

 

꾸미_20220702_113643.jpg

 

 

꾸미_20220702_113918.jpg

 

 

꾸미_20220702_113919(0).jpg

 

 

꾸미_20220702_113921.jpg

 

 

이미지 1.png

 

8 (1).jpg

 

 

8 (2).jpg

 

 

8 (3).jpg

 

 

8 (4).jpg

 

 

8 (5).jpg

 

 

8 (6).jpg

 

 

8 (7).jpg

 

 

8 (8).jpg

 

 

8 (9).jpg

 

 

8 (10).jpg

 

 

8 (11).jpg

 

 

8 (12).jpg

 

 

8 (13).jpg

 

 

8 (14).jpg

 

 

8 (15).jpg

 

 

2022인상요금표 (2).png

 

 

 

 

 

 [ 수곡낚시터 펜션 ] 이용요금 및 시설 안내

 펜션 예약받습니다

 

애완동물은 동반입실 불가하오니 이용에 참고하시기 바랍니다

 

 

수세식화장실, 온수샤워장, 냉.난방, 침구, 식기일체, 인덕션렌지

숯불이용가능 야외 테이블등

가족,연인들과 함께 깨끗한 펜션 많은 이용바라며

낚시는 펜션앞 부교및 발판좌대 이용하시면 됩니다

 

 

자세한 사항은 아래 홈페이지 클릭하세요

 

 

 

★★펜션시설 및 이용안내 클릭!★★

 

 

사진 설명을 입력하세요.

 

 

 

 

 

KakaoTalk_20200705_125601069 - 복사본.jpg

이전글 없음
다음글 없음

댓글 2

page 1
  • 수심쨩 · 07-05 16:36 · IP 115.*.23.54
    잘보고갑니다 정보감사합니다
  • 살모사 · 07-05 19:22 · IP 223.*.150.150
    조황 잘보고 갑니다 대박나세요
댓글 작성은 로그인 후 가능합니다.

내용 하단 목록

전체 목록